2025年05月20日の記事

贅沢に

2025年05月20日  [ ファンダイビング


定員35名の船に、たったの5人!?
(ゲスト3名と船長・乗組員を合わせて、5名)






少人数ですし、皆さん明日もあるので、今日は近場でサクッと3ダイブして
早めの帰港。

ってのも一つの手ですがっ!!

それぞれ顔なじみの人たちですし、日頃の感謝も込めて、あまり行ったことがない場所へ!
こういう時こそ、むしろ行ったことない場所へ!!

(早く帰ったしても、石垣の島内観光に全く興味のない人たちですしね。)








ということで、プチ遠征で米原方面に行くわけですが。
遠い遠い米原へ行く前に【石崎マンタシティ】で、贅沢にチェックダイブ。

とりあえず、マンタをGET!

2本目は、『こういう時こそ』の場所へ。
行ったことないエリアへ。

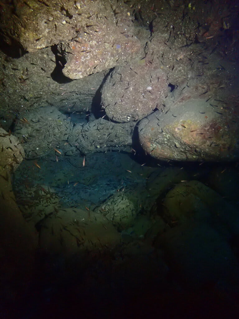
石崎と米原の間にあるエリア【吉原・荒川】で。










水中にアーチがたくさんあるのが、このエリアの特徴。
そして、キンメモドキなどの小さい魚が、暗がりにたくさん集まるのが見どころ。

ひとまず今日は、時期尚早だったようです。
これから水温が上がるにつれて、びっしりと埋め尽くされるようになるはず。
この夏のために、今後のために、ポイントのストックが出来ました。


そして、米原へ移動。









3本目は、【米原・樹下美人】

ひさびさ過ぎて、道に迷いましたが、なんとかこの大きな樹のような岩に到着。
キンギョハナダイ、アカネハナゴイなどの熱帯魚をみて引き返しします。
そして、船の下でヨッシーと合流。



別隊で、フリソデエビを発見してました。
みんなで囲んで、写真大会。







今日は、船も人も時間も贅沢に使えましたね。

明日も!?
贅沢できるとイイですね!?







~毎日更新してます~
↓↓シーフレンズのインスタも見てね☆




ファンダイビング日記

体験ダイビング日記

日記カレンダー

2025年5月
 1234
567891011
12131415161718
19202122232425
262728293031  

カテゴリー

コメント

アーカイブ

▲ページトップへ戻る▲ページトップへ戻る