石垣島ダイビング・体験ダイビング・シュノーケリング・ライセンス取得講習!最高の思い出作りをシーフレンズがお手伝い!
ご予約
お問い合わせ
ホーム
ショップ案内
ファンダイビング
体験ダイビング
ライセンス講習
ポイントMAP
よくある質問
< 石垣島シーフレンズの海情報/日記 >
HOMEへ戻る
2025年05月16日の記事
もう夏かな?
2025年05月16日 [
ファンダイビング
]
はいたい!
暑い日が続いていますね🌞最高気温30℃!
梅雨を通り越してもう夏です🌞
しっかり水分を取って楽しんでいきましょう!
天気が良いと気分も最高ですね!
マクロチームはちっちゃいもの探し!
まったりチームは地形や大きいもの探し
カメやイソマグロも見れました
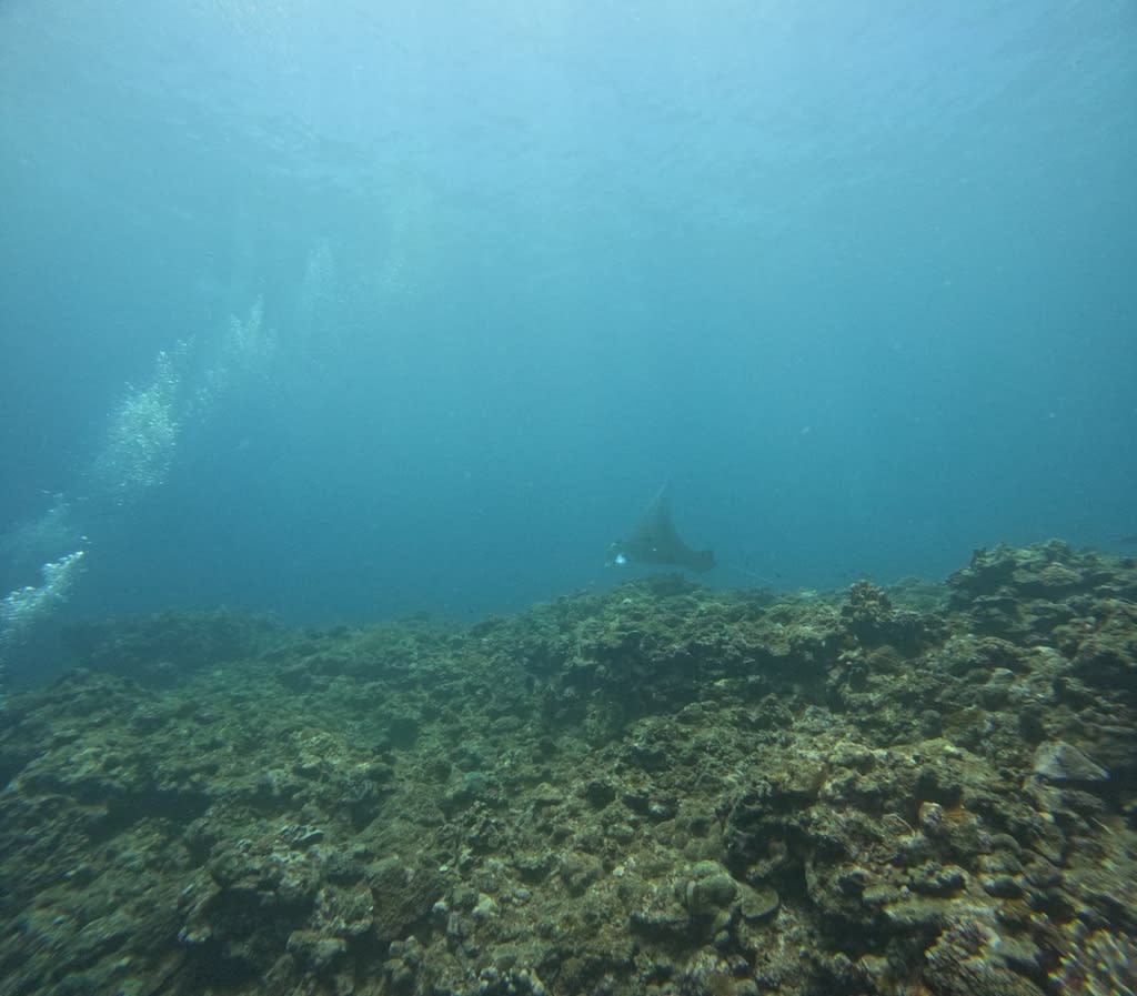
最後はみんなでマンタを探しに行きましょう!
エントリーしてすぐに会えました😊
最近マンタの調子が良くなりつつあります😊
このまま頼みますよぉ!
ご参加いただきありがとうございました!
【本日のLOG】
コメント(0)
ファンダイビング日記
本マグロ?イソマグロ?
2026年4月28日
絶好調です😊
2026年4月27日
電波がない!
2026年4月26日
まさかの、、、、
2026年4月25日
たまにはね
2026年4月24日
体験ダイビング日記
頑張ります(ง •̀_•́)ง
2026年4月14日
親子での思い出
2026年4月1日
主役は彼女
2026年3月24日
全クリ
2026年3月18日
チャレンジ精神
2026年3月13日
日記カレンダー
2025年5月
月
火
水
木
金
土
日
1
2
3
4
5
6
7
8
9
10
11
12
13
14
15
16
17
18
19
20
21
22
23
24
25
26
27
28
29
30
31
« 4月
6月 »
カテゴリー
ファンダイビング
(7,158)
体験ダイビング
(2,213)
コメント
国際交流
に
non.
より
ひと安心
に
seafriends
より
ひと安心
に
hiro
より
透明度さいっこー☆彡
に
SEAFRIENDS
より
賑やかに(o^―^o)
に
SEAFRIENDS
より
アーカイブ
アーカイブ
月を選択
2026年4月 (29)
2026年3月 (28)
2026年2月 (17)
2026年1月 (23)
2025年12月 (30)
2025年11月 (32)
2025年10月 (33)
2025年9月 (30)
2025年8月 (32)
2025年7月 (33)
2025年6月 (33)
2025年5月 (28)
2025年4月 (32)
2025年3月 (35)
2025年2月 (27)
2025年1月 (29)
2024年12月 (27)
2024年11月 (31)
2024年10月 (32)
2024年9月 (35)
2024年8月 (40)
2024年7月 (29)
2024年6月 (32)
2024年5月 (34)
2024年4月 (30)
2024年3月 (31)
2024年2月 (25)
2024年1月 (28)
2023年12月 (33)
2023年11月 (33)
2023年10月 (36)
2023年9月 (38)
2023年8月 (33)
2023年7月 (42)
2023年6月 (37)
2023年5月 (32)
2023年4月 (31)
2023年3月 (32)
2023年2月 (29)
2023年1月 (33)
2022年12月 (30)
2022年11月 (36)
2022年10月 (38)
2022年9月 (26)
2022年8月 (40)
2022年7月 (43)
2022年6月 (38)
2022年5月 (33)
2022年4月 (37)
2022年3月 (36)
2022年2月 (22)
2022年1月 (28)
2021年12月 (33)
2021年11月 (32)
2021年10月 (31)
2021年9月 (30)
2021年8月 (36)
2021年7月 (32)
2021年6月 (12)
2021年5月 (32)
2021年4月 (32)
2021年3月 (29)
2021年2月 (22)
2021年1月 (29)
2020年12月 (32)
2020年11月 (36)
2020年10月 (42)
2020年9月 (29)
2020年8月 (38)
2020年7月 (39)
2020年6月 (32)
2020年5月 (25)
2020年4月 (24)
2020年3月 (36)
2020年2月 (31)
2020年1月 (28)
2019年12月 (35)
2019年11月 (28)
2019年10月 (37)
2019年9月 (34)
2019年8月 (33)
2019年7月 (48)
2019年6月 (38)
2019年5月 (36)
2019年4月 (35)
2019年3月 (36)
2019年2月 (31)
2019年1月 (34)
2018年12月 (34)
2018年11月 (36)
2018年10月 (41)
2018年9月 (38)
2018年8月 (50)
2018年7月 (48)
2018年6月 (40)
2018年5月 (38)
2018年4月 (38)
2018年3月 (35)
2018年2月 (24)
2018年1月 (35)
2017年12月 (32)
2017年11月 (42)
2017年10月 (43)
2017年9月 (46)
2017年8月 (56)
2017年7月 (48)
2017年6月 (50)
2017年5月 (46)
2017年4月 (34)
2017年3月 (33)
2017年2月 (24)
2017年1月 (30)
2016年12月 (31)
2016年11月 (40)
2016年10月 (52)
2016年9月 (44)
2016年8月 (57)
2016年7月 (52)
2016年6月 (49)
2016年5月 (45)
2016年4月 (46)
2016年3月 (49)
2016年2月 (35)
2016年1月 (37)
2015年12月 (35)
2015年11月 (45)
2015年10月 (52)
2015年9月 (53)
2015年8月 (44)
2015年7月 (50)
2015年6月 (55)
2015年5月 (40)
2015年4月 (43)
2015年3月 (39)
2015年2月 (28)
2015年1月 (34)
2014年12月 (31)
2014年11月 (38)
2014年10月 (53)
2014年9月 (50)
2014年8月 (60)
2014年7月 (49)
2014年6月 (48)
2014年5月 (48)
2014年4月 (38)
2014年3月 (41)
2014年2月 (28)
2014年1月 (32)
2013年12月 (40)
2013年11月 (46)
2013年10月 (44)
2013年9月 (57)
2013年8月 (58)
2013年7月 (54)
2013年6月 (50)
2013年5月 (46)
2013年4月 (56)
2013年3月 (60)
2013年2月 (32)
2013年1月 (31)
2012年12月 (31)
2012年11月 (32)
2012年10月 (41)
2012年9月 (53)
2012年8月 (46)
2012年7月 (52)
2012年6月 (45)
2012年5月 (46)
2012年4月 (43)
2012年3月 (42)
2012年2月 (27)
2012年1月 (30)
2011年12月 (29)
2011年11月 (37)
2011年10月 (53)
2011年9月 (60)
2011年8月 (54)
2011年7月 (60)
2011年6月 (46)
2011年5月 (41)
2011年4月 (38)
2011年3月 (44)
2011年2月 (31)
2011年1月 (26)
2010年12月 (30)
2010年11月 (38)
2010年10月 (54)
2010年9月 (53)
2010年8月 (59)
2010年7月 (50)
2010年6月 (55)
2010年5月 (51)
2010年4月 (38)
2010年3月 (33)
2010年2月 (7)
2010年1月 (27)
2009年12月 (31)
2009年11月 (35)
2009年10月 (49)
2009年9月 (57)
2009年8月 (57)
2009年7月 (60)
2009年6月 (53)
2009年5月 (45)
2009年4月 (44)
2009年3月 (43)
2009年2月 (29)
2009年1月 (28)
2008年12月 (41)
2008年11月 (46)
2008年10月 (59)
2008年9月 (45)
2008年8月 (62)
2008年7月 (46)
2008年6月 (42)
2008年5月 (31)
2008年4月 (30)
2008年3月 (30)
2008年2月 (18)
2008年1月 (28)
2007年12月 (28)
2007年11月 (28)
2007年10月 (29)
2007年9月 (30)
2007年8月 (31)
2007年7月 (31)
2007年6月 (28)
2007年5月 (29)
2007年4月 (30)
2007年3月 (31)
2007年2月 (22)
2007年1月 (24)
2006年12月 (26)
2006年11月 (27)
2006年10月 (31)
2006年9月 (27)
2006年8月 (32)
2006年7月 (31)
2006年6月 (30)
2006年5月 (31)
2006年4月 (30)
2006年3月 (31)
2006年2月 (27)
2006年1月 (31)
2005年12月 (31)
2005年11月 (30)
2005年10月 (30)
2005年9月 (27)
2005年8月 (28)
2005年7月 (29)
2005年6月 (29)
2005年5月 (31)
2005年4月 (15)
HOMEへ戻る
▲ページトップへ戻る
コメント