2026年04月28日 [ ファンダイビング ]
ハイサイ、穏やかで良い天気の石垣島です😊今朝の新聞で石垣島でも本マグロ春マグロ一番セリが開催されたそうです‼️石垣島の居酒屋でも安く提供されるといいな〜😆


1本目は、食べるマグロじゃなく、観て楽しむイソマグロをみに久しぶりに屋良部崎にエントリーです。


しかし、どこを探してもイソマグロの姿はなく撃沈😭昨日の僕のリサーチと今朝の電話での確認はなんだったんだ、、、

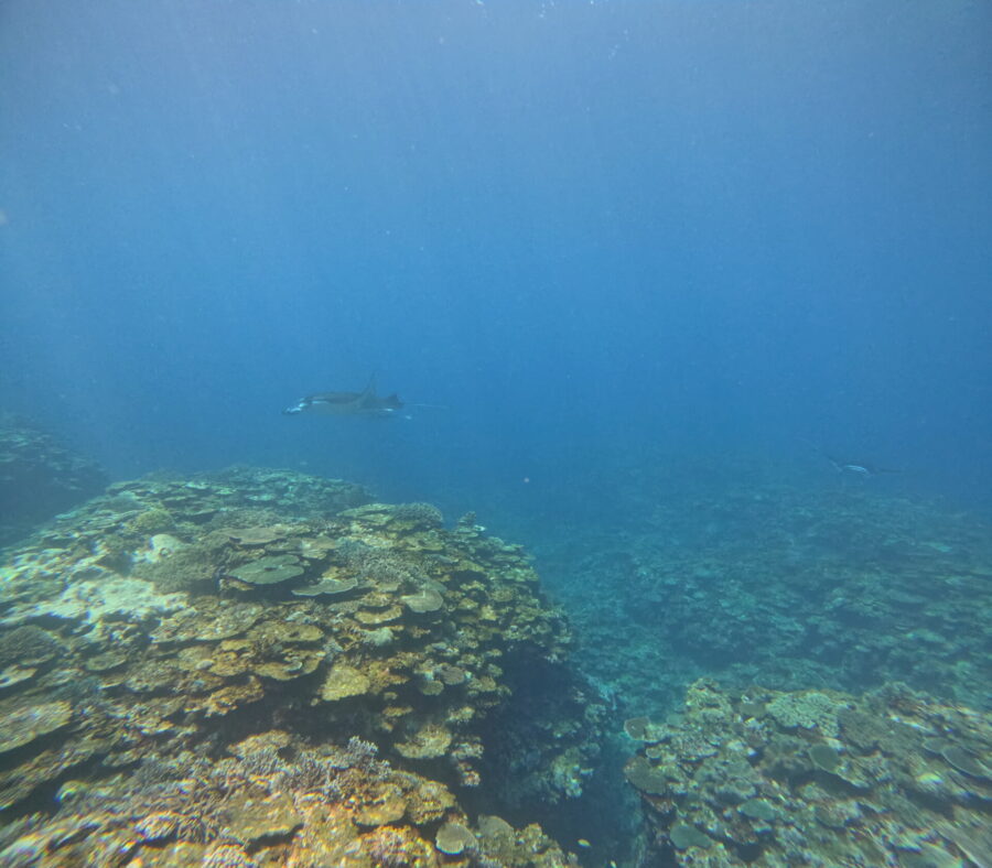
回遊魚を観るには情報収集が大切なんです😅2、3本目は、マンタスクランブルとマンタシティーで潜って来ました‼️スクランブルマンタ2枚、シティーノーマンタ😱



スクランブルでは、マンタも居ましたけど、珊瑚がとっても綺麗でビックリしました‼️‼️‼️

浅い場所はさんご完全復活です。そんな感じで本日も無事に終了です😊
▲ページトップへ戻る
コメント