2024年09月07日の記事

相変わらず(*^^*)

2024年09月07日  [ ファンダイビング

はいさい(^^)
 
今日ものんびり3ダイブ〜♫
みんな大好き大崎!






相変わらず、アカククリいっぱいいます\(^o^)/
大崎エリアはウツボも本当によく見る。


傘の下も、相変わらずテンジクダイで溢れています。
が、今日は傘の外まで溢れかえっていました\(^o^)/


こちらも相変わらず、ここにいてくれる。
みんな大好きハダカハオコゼ♡
今日も、赤、白、黒の3色見れました♡





相変わらず、生物大量で楽しい大崎











さあ、今日もいきましょう!
マンタシティ☆

。。

こちらも相変わらず、マンタみれてまーーす♫





こうして見れることに感謝の気持ちを忘れずに
明日も、明後日も、相変わらずマンタいるねって言いたいなっ(*^^*)

強運

2024年09月07日  [ 体験ダイビング

こんにちは〜(^^)
今日も、体験ダイビング行ってきました!!

初めてのダイビングということで、
緊張されたかと思いますが、それ以上に楽しめたのでは!?\(^o^)/



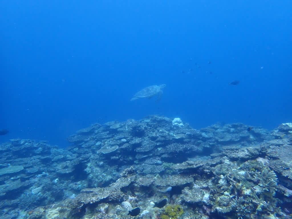
スムーズに潜行し、水中を散歩していると早速カメに遭遇!
次はナポレオンにも遭遇!!
といった、強運をお持ちのお方。











ということは。。。




はい!強運の持ち主はさすがです!(笑)
マンタが目の前からやってくる〜〜(^^)











最後はおひとりで泳いで、目一杯、石垣島の海を感じて頂きました!



石垣、サイコーー!!!です☆
またいつでも遊びに来てください(*^^*)

ファンダイビング日記

体験ダイビング日記

日記カレンダー

2024年9月
 1
2345678
9101112131415
16171819202122
23242526272829
30  

カテゴリー

コメント

アーカイブ

▲ページトップへ戻る▲ページトップへ戻る