2023年 6月の記事

No.Manta…

2023年06月09日  [ ファンダイビング


はいさい!

イシガキカエルウオで癒され
本日もスタート~!!


なんとなんと
昨日あんなにいたマンタが、、、


チーン・・・。


ひたすら待って、ひたすら探しました・・・。

そんな日もある!生き物だから!(笑)


警戒心の強いオドリハゼ~
今日も舞ってました♡


たまごを世話する父さん!
ガンバレ!!



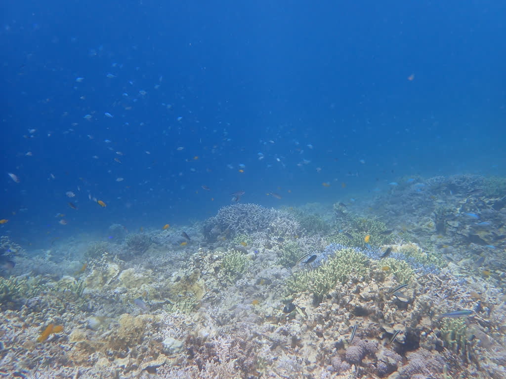
名蔵のサンゴは癒されるなぁ~~~~~
浅いっていうのもあり
太陽の光がキラキラ~~~~



【本日のログ】

明日はマンタに会えるかなぁ~~~?(*´з`)

本日もありがとうございました!

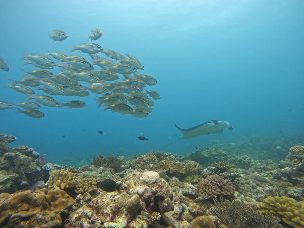
朝マンタ

2023年06月08日  [ ファンダイビング



ハイサイ\(^o^)/

今日もドーンッ!!

最高のスタート~!


4枚のマンタが
クリーニングしたり
あっち行ったりこっち来たり

グルグル


コブシメとマンタのコラボも♡

2,3本目は竹富で

天気が最高なんですよぉ・・・


チンアナゴの数、、、増えたよね??





こちらのデバスズメダイずーっと見てられる
癒されますねぇ(*´ω`*)






【本日のログ】


今日も良き良き1日でした\(^o^)/

またあした~

密すぎ!

2023年06月07日  [ ファンダイビング

はいさい~(o^―^o)ニコ

石垣島は毎日良い天気が続いております♬
が、台風3号が発生しましたね。。(;'∀')
こちらに影響が無いことを願います!

今日は、南の離島!パナリまで行ってきました~~☆
まずは竹富の砂地で1ダイブ(*^▽^*)


なんだか久しぶり~?なビタローの根。
流れがありましたが、透明度は昨日に比べて上がっていてキレイでしたね♪


スカシテンジクダイとキンメモドキがすさまじい数!
イイ感じに流れていたのでまとまりよく写真映えします☆彡



いざ、パナリへ。

はい。すごい数!!密すぎ!!(笑)
飛び込みた~~~くなっちゃいますね~(*^▽^*)






マンタも、のんびり、ゆっくり見れました!
天気もいいし!!最高のダイビング(*^▽^*)










本日のログ


ありがとうございました(≧▽≦)

竹富で3本~(*^▽^*)

2023年06月06日  [ ファンダイビング

こんにちは(≧▽≦)

連日あつ~~い日が続いております!!
水温も27℃以上と暖かく、夏が始まったな~と!!♬

今日は竹富3本コース!
じゃがりこ、じゃがいも、海底温泉へ!



なかなか見る機会の少なくなってしまったテングカワハギですが、
今日はちびっこに出会えました~~(*^▽^*)
可愛すぎる~~~!!


太陽に照らされてキラキラ輝くスズメダイ達。


ここでネムリブカを見つけたのは今日が初めてでした!
証拠写真程度ですが載せておきましょう!


スカシテンジクダイは、今日はなんだか
ペアがはっきり分かれていて見ていて面白かったです(o^―^o)ニコ
ちびがキラッキラ可愛い~~!





3本目は海底温泉へ入浴~~♬





水温がだいぶ違うのでぼや~~んとしてますね(笑)





今日のゲストは3名様だったので、
超のんびり潜ることが出来ました~(*^▽^*)



本日のログ


ありがとうございました(≧▽≦)

カメと穴とマンタ

2023年06月05日  [ ファンダイビング






台風一過から数日が経ちますが、イイ天気が続いてます。
しばらくは、南国らしいお天気です。
海の中、気持ちいいですよ~~~








今日の予定は、石垣島周りです。
最終的にはマンタシティに行くとして、「大崎」「御神崎」エリアへ。

まずは大崎の、通称・カメパラに。








じーっと動かないカメもいれば、もぞもぞ動くカメも。
のんびりゆっくり前を横切っては、お気に入りの場所でひと休み。
たくさんいましたね。
まさに、カメの楽園、カメパラダイスでした。

2カ所目は、御神崎で地形のダイビング。










2本目ともなると、水にも慣れてきて、浮力のコントロールも磨きがかかってきます。
海との一体感が増して、それもダイビングの面白さの一つですよね。

さてランチをはさんで、マンタシティへ。




激混み予想で、早めに休憩を切り上げてやってきた「マンタシティ」
思いのほか、船が少なくて、すんなりとマンタが見れまんた。








3枚のマンタがグルグル。
たっぷり見れました👍




明日も天気は良さそうですよ!!


ひつじのショーン

2023年06月04日  [ ファンダイビング



ハイサイ\(^o^)/

台風明け、いいお天気が続いてます!
立ってるだけで汗ダラダラ~(;・∀・)

早く海入りたーいと思う毎朝です(笑)

今日も楽しんで行って参りました

1本目:竹富南じゃがいもの根

うわぁぁぁぁ♡♡♡
何回見てもカワイイなぁ君は
この大海原でこんな小さい子と
出会えるなんて奇跡だねッ

ビタロー増えてるな??
もっと増えろもっと増えろー٩( ''ω'' )و


お客様に頂いた写真使わせてもーらおっと♬
太陽がキラッキラ

2、3本目:パナリビックコーナー

昨日より透明度が落ちましたが、
今日も出会えたマンタたちに\(^o^)/




【本日のログ】

本日もありがとうございました\(^o^)/

台風明けマンタ

2023年06月03日  [ ファンダイビング


ハイサーイ\(^o^)/


皆さんお久しぶりでーす♬
台風の被害もなく、普段の石垣島に戻りました~

日差しが強すぎる・・・
最高の日焼け日和が続いてます(≧▽≦)


本日は
離島コース!
台風明けの海!ドキドキ!



エントリーしてすぐマンター!!


MAX5枚のマンタが一緒にクリーニングしてて
興奮!!!!

近くに来てくれる
いつものチビマンタ♡

ピーカンの太陽が眩しいぐらいです!

午後は地形ポイント!




いつもいっぱいいるカメが全然いなくて💦(笑)

最後、船に戻る途中お見送りしてくれました(≧▽≦)



すこーし、透明度が落ちた海でしたが、
楽しい海でした(*^-^*)


明日もよろしくお願いしまーす\(^o^)/

【本日のログ】




ファンダイビング日記

体験ダイビング日記

日記カレンダー

2023年6月
 1234
567891011
12131415161718
19202122232425
2627282930  

カテゴリー

コメント

アーカイブ

▲ページトップへ戻る▲ページトップへ戻る