2023年 6月の記事

満喫♬

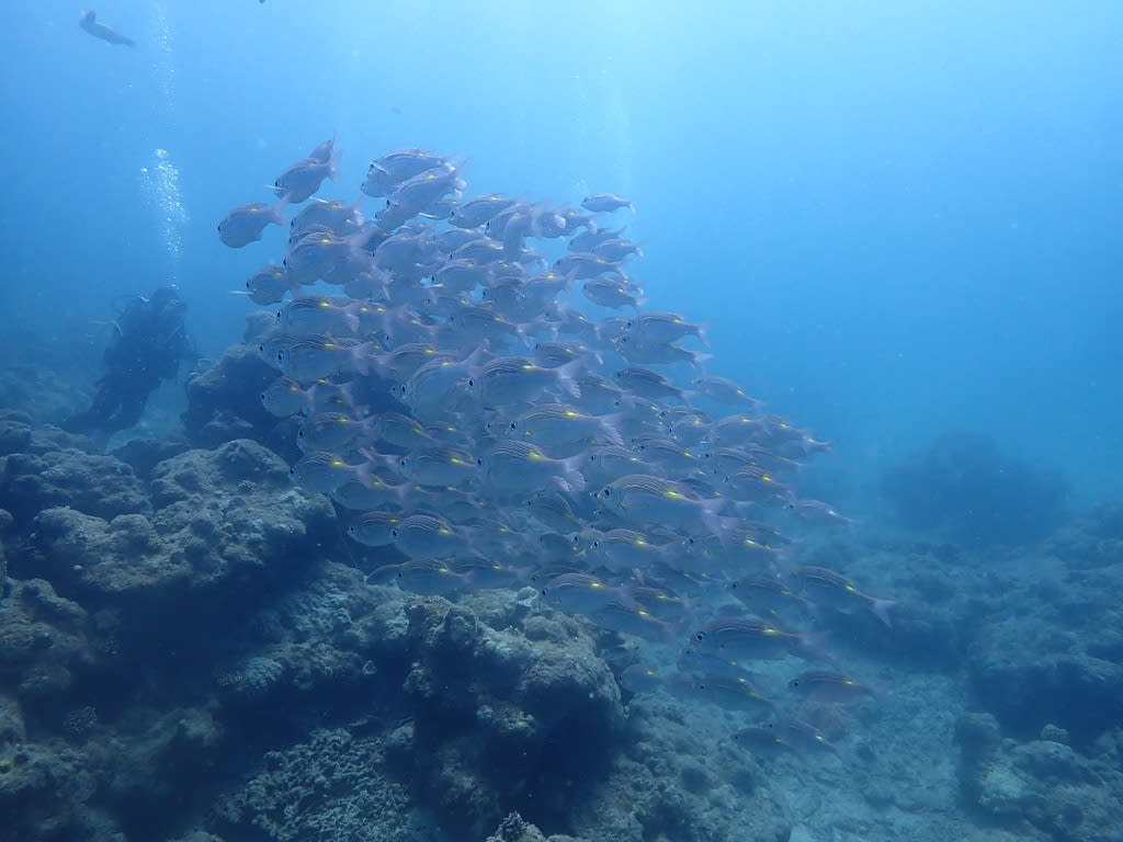
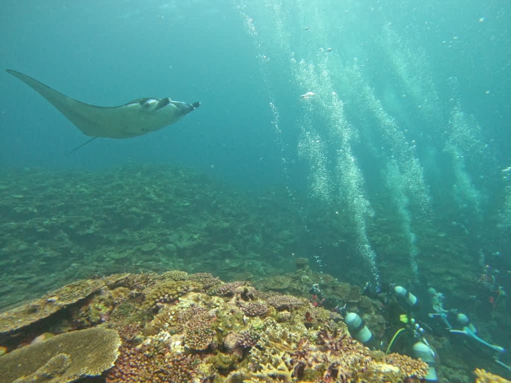
2023年06月24日  [ 体験ダイビング

はいさい(o^―^o)

今日は2名のゲスト様が
体験ダイビングコースに参加してくれましたよ~~♬

石垣島の海は満喫できましたでしょうか?
お写真で振り返っていきましょう!!

まずはシュノーケリングで水慣れ!!


なんとカメちゃんのご登場です☆彡


2ポイント目に移動して、いざ!ダイビング!!♬


潜降もばっちし!!オッケーサイン、ありがとうございます☆彡


余裕のピースサインも(o^―^o)




さあ、ラストはお待ちかね、マンタポイントへいきますよ~~!!

っと!!マンタいた―――!(^^)! 


体験ダイビングでもマンタが見れちゃうなんてっ
サイッコウ!!




またいつでも遊びにいらして下さいネ('◇')ゞ

↓本日のお写真はこちらからダウンロードいただけます

笑顔に囲まれて(o^―^o)

2023年06月24日  [ ファンダイビング

はいさい(o^―^o)ニコ

この土日はシーフレンズ、わいわい大盛況です(笑)
賑やかで楽しくって、夏って感じがします~~♬

たくさんの笑顔に囲まれて、船の上も海の中も
なんて楽しいんだろ~~~ッ!?
















今日は石垣島北上コースでした!
みんなの笑顔と、視線の先にいるのは、、、

。。



やっぱりMANTAでした~~(≧▽≦)







石垣島の海、太陽、みんなの笑顔に囲まれて、
今日も素敵な一日となりました(o^―^o)ニコ

本日のログ  お写真のデータ




↓こちらからダウンロードできます

アイランドホッピング(^O^)

2023年06月23日  [ ファンダイビング

はいさい(o^―^o)

沖縄は梅雨明け間近だそうですが、石垣島は完全に梅雨明け。
天気予報はずっと晴れマーク☆彡
海も陸も夏モード全開です(≧▽≦)





連日石崎のマンタ狙いで島周りコースだったので
たまには離島方面に足を延ばしましょう!

竹富、黒島、パナリの3島巡り。
アイランドホッピング(#^^#)


竹富のポイントは流れがきつかったですが、
お陰でスカシテンジクダイやキンメモドキ、ビタローなど
群れを成す魚たちはまとまりよく、見ごたえがありましたね!



黒島の水もキレイ☆彡
石垣島周りの水は、イマイチすっきりしない感じだったので
離島の水の青さを堪能♬


黒島ではカメと写真を撮ることもできますよ!(^^)!
他にもちょっと珍しい、タイマイとも出会えて、ラッキー☆





石崎のマンタばかりだったので、たまにはパナリのマンタに会いに。
パナマン!!(笑) いるかな!?





写真は遠いですが、目の前を通過してくれることも何度か。
落ち着いてホバリングしてくれぇ~!と期待しましたが、
今日はお散歩したい気分だったようで…('◇')ゞ

何度か登場してくれたので、それだけでも感謝です。
ありがとうマンタ~~(≧▽≦)




みんなで潜ると、もうそれだけで楽しいんです♬
ありがとうございました!!

本日のログとお写真



↓こちらからダウンロードできます♬

ハーリーの鐘が鳴ると・・・

2023年06月22日  [ ファンダイビング


去る6月21日は、「夏至」でした。
石垣では、ハーリーと言って豊漁祈願のお祭りがありました。
(海神祭)


『ハーリーの鐘が鳴ると梅雨が明ける』とも言われていて、本格的に夏突入です!!


海の中は気持ちいいですよ~~
海が、照り付ける太陽で焦げた肌を、ひんやりつつんでくれます。










海の中も賑やかです!!











我々ダイバーにとって、海の神様は、『マンタ』!!





今日も拝ませて頂きました。
👍
明日もよろしくお願いします。




夏模様♬

2023年06月21日  [ ファンダイビング

はいさい(o^―^o)

もう完全に梅雨明け感のある石垣島です♪
今日は晴天+穏やか な、超最高のコンディション!



船の上も、水中も、なんて最高なんだー!!



透明度が良かったロコロック☆彡
太陽で輝くスズメダイが最高に美しい(≧▽≦)




梅雨明けで、夏模様なのは水中も♬





名蔵、大崎でのんびりダイビングした後は
やっぱりマンタでしょ~~~!?

。。

。。

☆キターーーーー(≧▽≦)☆





仲良くハートマーク♡
間にはマンタ(笑)
楽しい1日終了でございます(o^―^o)


本日のログとお写真のデータ


↓ こちらからダウンロードできます(o^―^o)


ありがとうございました

マンタ絶好調!!

2023年06月20日  [ ファンダイビング



今日も朝からマンター!!

朝イチ、マンタシティに到着すると
ギリギリセーフの5艘目✨ラッキー


エントリ―したらすぐにマンタ登場!!

朝からたっぷりマンタを見れました!!

行ったり来たりしてくれたおかげで
マンタと写真も撮れちゃって♡


ラッキーでした!

2本目は崎枝へ

地形を楽しむぞー!!
と入ったら


グルクマがめちゃくちゃ群れてて
ビックリ!!


大きい口を開けて捕食中です

見応えありましたねぇ~!!!

昼食後は
みんな大好き大崎~♬

の~んびりダイビングを楽しみました








マンタに地形にカメ最高でした~!ヾ(≧▽≦)ノ
【本日のログ】


今日もありがとうございました☆
それではまた明日\(^o^)/

米原へ

2023年06月19日  [ ファンダイビング


ハイサーイ\(^o^)/

ジメジメ雨続きも終わり、
2日連続晴れてます!梅雨開けそうな~?

やっぱり晴れがイイヾ(≧▽≦)ノ

そんな今日も朝イチマンタ!!!


今日もいいスタートです!!



そしてプチ遠征で米原の方へ!
久しぶりの米原~楽しい~




キンギョハナダイ&アカネハナゴイ
がキレイでした✨


最後は地形ポイント♬





ハートに見えますか?(*´ω`*)


幼魚たちがチョロチョロ

癒されましたね~





【本日のログ】

明日もよろしくお願いします\(^o^)/


姉妹で♪

2023年06月18日  [ 体験ダイビング






妹さんは、初めてのダイビングでした。
耳抜きに苦戦するも、初めての水中世界は、とても楽しかったですね。





おっきなウミガメさんと、ちっちゃなニモちゃんにも会えました。






またダイビングしましょう~~!!

カメちゃんの甲羅には…

2023年06月18日  [ ファンダイビング

はいさい(*^▽^*)

今日は朝から石崎のマンタシティへ行ってきました!
急いで出港しましたが、すでに5艘あり。
少し待ってのエントリーになりました!!
今年はまだまだマンタが見れているので大変混み合います!!



今日もマンタゲット( *´艸`)

連日マンタを見ることが出来る事に
感謝を忘れてはいけませんね!
ありがとうございます(o^―^o)

徐々に南下しながら島周りを潜ります。


大崎は相変わらず濁りがありますが、楽しい。
今日出会ったカメ、3匹中 2匹、甲羅にペット付き♡


まずこの居眠りしているカメちゃんは。。。



そう。石垣島のアイドルこと、
イシガキカエルウオを甲羅に乗せて。(笑)
口ぽか~ん。なんとも可愛らしい~~(⋈◍>◡<◍)。✧♡


そしてそのすぐ隣には、コバンザメを甲羅に乗せているカメさん。
こっちのカメちゃんもリラックスして居眠り中~~♬
コバンザメの方は、私たちの気配でそわそわしていましたが。。(笑)


他のペットを乗せてる子にも会ってみたいものですね( *´艸`)

...

ほんわかした気持ちで新たな出会いを探していると、、、

ガブッ!!!



最後はまる飲み。。。(;'∀')




みんなで見入ってしまいました。。(◎_◎;)
生きるか、死ぬかの世界。。

チンアナゴに癒されて。


今日のダイビング終了です(o^―^o)

のんびり潜って楽しかった~~♬




本日のログ


ありがとうございました(#^^#)

2人仲良く(⌒∇⌒)

2023年06月17日  [ 体験ダイビング

ハイサーイ\(^o^)/

本日は2名の方が来てくれましたぁ!


とっても仲良し(*´ω`*)



一緒に潜って♬



クマノミ達と戯れて♪


海気持ちぃぃぃぃぃぃぃぃぃ!

そして会えちゃいました!
マンタァァ✌



マンタと一緒に撮れました☆

今日もいいダイビングでした(^^)/

ご参加いただきありがとうございました!

ファンダイビング日記

体験ダイビング日記

日記カレンダー

2023年6月
 1234
567891011
12131415161718
19202122232425
2627282930  

カテゴリー

コメント

アーカイブ

▲ページトップへ戻る▲ページトップへ戻る