石垣島ダイビング・体験ダイビング・シュノーケリング・ライセンス取得講習!最高の思い出作りをシーフレンズがお手伝い!
ご予約
お問い合わせ
ホーム
ショップ案内
ファンダイビング
体験ダイビング
ライセンス講習
ポイントMAP
よくある質問
< 石垣島シーフレンズの海情報/日記 >
HOMEへ戻る
2021年12月03日の記事
今日も安全に
2021年12月03日 [
ファンダイビング
]
今日は、マンタにチャレンジするタイミングが、
朝イチ
しかなく・・・
攻めてみました!
ヨナラへ!
しかし、NOマンタでした。
大きなイソマグロが、真横を素通りしたくらいで・・・
そして、一旦港に戻り、ランチをとって再出航です。
今日は、北風が強くて、
もう『ノーマンタチャンス』ですが、安全にダイビングをしましょう!!
水中トンネルをくぐる地形のダイビングと
生き物をじっくり観察する、まったりダイビングです。
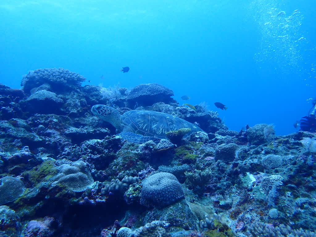
今日の主役は、
カメさん
でした。
明日も安全に。
コメント(0)
ファンダイビング日記
サプライズ!!
2026年5月1日
イソマグロフィーバー
2026年4月30日
あなたのために
2026年4月29日
本マグロ?イソマグロ?
2026年4月28日
絶好調です😊
2026年4月27日
体験ダイビング日記
頑張ります(ง •̀_•́)ง
2026年4月14日
親子での思い出
2026年4月1日
主役は彼女
2026年3月24日
全クリ
2026年3月18日
チャレンジ精神
2026年3月13日
日記カレンダー
2021年12月
月
火
水
木
金
土
日
1
2
3
4
5
6
7
8
9
10
11
12
13
14
15
16
17
18
19
20
21
22
23
24
25
26
27
28
29
30
31
« 11月
1月 »
カテゴリー
ファンダイビング
(7,161)
体験ダイビング
(2,213)
コメント
国際交流
に
non.
より
ひと安心
に
seafriends
より
ひと安心
に
hiro
より
透明度さいっこー☆彡
に
SEAFRIENDS
より
賑やかに(o^―^o)
に
SEAFRIENDS
より
アーカイブ
アーカイブ
月を選択
2026年5月 (1)
2026年4月 (31)
2026年3月 (28)
2026年2月 (17)
2026年1月 (23)
2025年12月 (30)
2025年11月 (32)
2025年10月 (33)
2025年9月 (30)
2025年8月 (32)
2025年7月 (33)
2025年6月 (33)
2025年5月 (28)
2025年4月 (32)
2025年3月 (35)
2025年2月 (27)
2025年1月 (29)
2024年12月 (27)
2024年11月 (31)
2024年10月 (32)
2024年9月 (35)
2024年8月 (40)
2024年7月 (29)
2024年6月 (32)
2024年5月 (34)
2024年4月 (30)
2024年3月 (31)
2024年2月 (25)
2024年1月 (28)
2023年12月 (33)
2023年11月 (33)
2023年10月 (36)
2023年9月 (38)
2023年8月 (33)
2023年7月 (42)
2023年6月 (37)
2023年5月 (32)
2023年4月 (31)
2023年3月 (32)
2023年2月 (29)
2023年1月 (33)
2022年12月 (30)
2022年11月 (36)
2022年10月 (38)
2022年9月 (26)
2022年8月 (40)
2022年7月 (43)
2022年6月 (38)
2022年5月 (33)
2022年4月 (37)
2022年3月 (36)
2022年2月 (22)
2022年1月 (28)
2021年12月 (33)
2021年11月 (32)
2021年10月 (31)
2021年9月 (30)
2021年8月 (36)
2021年7月 (32)
2021年6月 (12)
2021年5月 (32)
2021年4月 (32)
2021年3月 (29)
2021年2月 (22)
2021年1月 (29)
2020年12月 (32)
2020年11月 (36)
2020年10月 (42)
2020年9月 (29)
2020年8月 (38)
2020年7月 (39)
2020年6月 (32)
2020年5月 (25)
2020年4月 (24)
2020年3月 (36)
2020年2月 (31)
2020年1月 (28)
2019年12月 (35)
2019年11月 (28)
2019年10月 (37)
2019年9月 (34)
2019年8月 (33)
2019年7月 (48)
2019年6月 (38)
2019年5月 (36)
2019年4月 (35)
2019年3月 (36)
2019年2月 (31)
2019年1月 (34)
2018年12月 (34)
2018年11月 (36)
2018年10月 (41)
2018年9月 (38)
2018年8月 (50)
2018年7月 (48)
2018年6月 (40)
2018年5月 (38)
2018年4月 (38)
2018年3月 (35)
2018年2月 (24)
2018年1月 (35)
2017年12月 (32)
2017年11月 (42)
2017年10月 (43)
2017年9月 (46)
2017年8月 (56)
2017年7月 (48)
2017年6月 (50)
2017年5月 (46)
2017年4月 (34)
2017年3月 (33)
2017年2月 (24)
2017年1月 (30)
2016年12月 (31)
2016年11月 (40)
2016年10月 (52)
2016年9月 (44)
2016年8月 (57)
2016年7月 (52)
2016年6月 (49)
2016年5月 (45)
2016年4月 (46)
2016年3月 (49)
2016年2月 (35)
2016年1月 (37)
2015年12月 (35)
2015年11月 (45)
2015年10月 (52)
2015年9月 (53)
2015年8月 (44)
2015年7月 (50)
2015年6月 (55)
2015年5月 (40)
2015年4月 (43)
2015年3月 (39)
2015年2月 (28)
2015年1月 (34)
2014年12月 (31)
2014年11月 (38)
2014年10月 (53)
2014年9月 (50)
2014年8月 (60)
2014年7月 (49)
2014年6月 (48)
2014年5月 (48)
2014年4月 (38)
2014年3月 (41)
2014年2月 (28)
2014年1月 (32)
2013年12月 (40)
2013年11月 (46)
2013年10月 (44)
2013年9月 (57)
2013年8月 (58)
2013年7月 (54)
2013年6月 (50)
2013年5月 (46)
2013年4月 (56)
2013年3月 (60)
2013年2月 (32)
2013年1月 (31)
2012年12月 (31)
2012年11月 (32)
2012年10月 (41)
2012年9月 (53)
2012年8月 (46)
2012年7月 (52)
2012年6月 (45)
2012年5月 (46)
2012年4月 (43)
2012年3月 (42)
2012年2月 (27)
2012年1月 (30)
2011年12月 (29)
2011年11月 (37)
2011年10月 (53)
2011年9月 (60)
2011年8月 (54)
2011年7月 (60)
2011年6月 (46)
2011年5月 (41)
2011年4月 (38)
2011年3月 (44)
2011年2月 (31)
2011年1月 (26)
2010年12月 (30)
2010年11月 (38)
2010年10月 (54)
2010年9月 (53)
2010年8月 (59)
2010年7月 (50)
2010年6月 (55)
2010年5月 (51)
2010年4月 (38)
2010年3月 (33)
2010年2月 (7)
2010年1月 (27)
2009年12月 (31)
2009年11月 (35)
2009年10月 (49)
2009年9月 (57)
2009年8月 (57)
2009年7月 (60)
2009年6月 (53)
2009年5月 (45)
2009年4月 (44)
2009年3月 (43)
2009年2月 (29)
2009年1月 (28)
2008年12月 (41)
2008年11月 (46)
2008年10月 (59)
2008年9月 (45)
2008年8月 (62)
2008年7月 (46)
2008年6月 (42)
2008年5月 (31)
2008年4月 (30)
2008年3月 (30)
2008年2月 (18)
2008年1月 (28)
2007年12月 (28)
2007年11月 (28)
2007年10月 (29)
2007年9月 (30)
2007年8月 (31)
2007年7月 (31)
2007年6月 (28)
2007年5月 (29)
2007年4月 (30)
2007年3月 (31)
2007年2月 (22)
2007年1月 (24)
2006年12月 (26)
2006年11月 (27)
2006年10月 (31)
2006年9月 (27)
2006年8月 (32)
2006年7月 (31)
2006年6月 (30)
2006年5月 (31)
2006年4月 (30)
2006年3月 (31)
2006年2月 (27)
2006年1月 (31)
2005年12月 (31)
2005年11月 (30)
2005年10月 (30)
2005年9月 (27)
2005年8月 (28)
2005年7月 (29)
2005年6月 (29)
2005年5月 (31)
2005年4月 (15)
HOMEへ戻る
▲ページトップへ戻る
コメント