2013年09月13日 [ 体験ダイビング ]
ポイント:大崎 御神崎 石崎
コンディション:東の風 気温31℃ 水温29℃ 透明度15m
こんばんは体験ブログですねっ(^_^)/
今日はたあくさんの方とうみへ遊びに行きましたよん
東のぬくくて湿った風であったかいなか
お魚たちに囲まれて楽しんで来ちゃいました
1本目からダイビング班出動でいってきました
かわいいコブシメの子供もこっそりいて

とってもラブリーチャーミーですよん(*^。^*)
顔の前にはピラニアが如くロクセンの大群でした@@
お次は光射すガレ場でカエルちゃんや
スズメダイやカラフルなベラの幼魚ちゃんたち

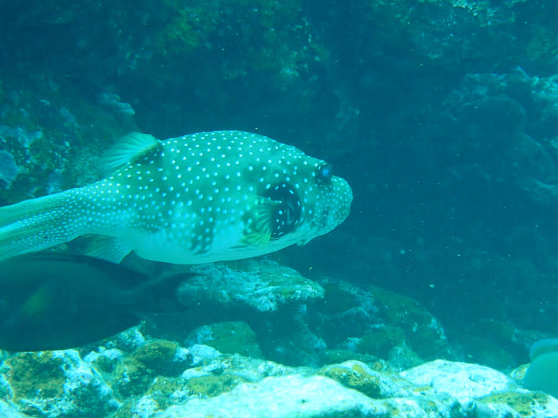
お昼寝&お散歩中のサザナミフグ子ちゃんといっしょに
のんびり散策してきました(●^o^●)

最後はマンタちんを見に行ったのですっ☆がぁ~
待てども待てども本日マンタの姿が見当たらず・・・
最近調子が良さ気だったので期待してたんですが

疲れが出てるのかな?休養日でした(=_=)
いつマンタに再開できるかどきどきしてまする
明日はどこに行こうかな(^ム^)
2013年09月13日 [ ファンダイビング ]
ポイント:大崎 御神崎 石崎
コンディション:東の風 気温31℃ 水温29℃ 透明度15m
良好な海況の石垣島♪
今日は2隻で海に行ってきました~(*^_^*)

サンゴをじっくり堪能したり、ハナヒゲ君の子供にあったり♪
2隻ともにじっくりのダイビングを楽しんでこれましたね(^_-)-☆
しかし、今日は大物運の残念な日となっちゃいました・・・・・
カメ狙って行けども会えず(~_~;)
マンタを狙えども会えず(~_~;)(~_~;)
2隻ともにマンタを狙っていったんですが、撃沈・・・・・((+_+))
まぁ、こんな日もありますよね(^_^;)
でも、可愛いウミウシはたくさん見れたなぁ♪
大物はまた次回狙って行って来たいと思います!
とっきーでした(^_^)/
▲ページトップへ戻る
コメント