2013年07月17日 [ 体験ダイビング ]
ポイント:竹富南 御神崎 石崎
コンディション:南東の風 気温28℃ 水温28℃ 透明度15m
はいたい!(^^)!テルが体験ブログ更新デェス!!
今日も8名の方がシーフレンズの一員として
海へ出て来ましたよ(^_-)-☆
皆さんお若いさんでしたし「潜りたい」オーラひしひしだったので

早めにとっぷりちょ 潜って来ましたよ(*^_^*)
youngmen’sチームはアクティブにENJOYしてきました

男♂のギャグ連発でたのしんじゃいましたよ(^ム^)うぇひひ

一方キレイどころ!lady’sチームはほっこりダイブ??
キュートなクマノミと一緒に記念にパシャリ撮って来ました☆☆

次のポイントはみんなでスノーケルしてきましたよ(^_-)-☆
でぇ~~~~っかいナポレオンがするすると泳いでましたよ
ぐいぐい泳いで探索探索~~??

みんな泳ぎ過ぎじゃないっ!?ってくらい泳ぎましたが
全然へっちゃらへの河童みたい(+o+)!!
元気なまま最後も潜って来ましたよ■◆
かわい子ちゃんのハマクマと遊んでいると

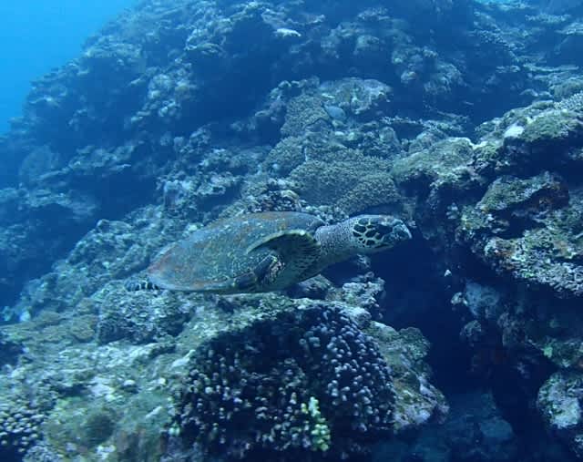
なんとカメさんが登場ッッ(@_@*)!!!!!!!!!
まさかぁ~~のサプライズにみんな目がクワっ(◎W◎)♪

いいもんみれたぁ(*^。^*)っとほっこりできましたよ
ちょっぴり雲の多めな一日になっちゃいましたがぁ
みんな明るく楽しく元気にいってきました

そぉんな体験チームでした(*_*)(-_-)/~~~ピシー!ピシー!

お~わりっ(^0_0^)おやすみなさいッッ
2013年07月17日 [ ファンダイビング ]
ポイント:竹富南 御神崎 石崎
コンディション:南東の風 気温28℃ 水温29℃ 透明度15m
今日は朝からくもり空。
気温も30℃切って、なんだか夏じゃないみたい(・_・;)
なんとなぁく肌寒い石垣でした。
さて、本日1本目は竹富南。
久しぶりに竹富の砂地でまったりです♪
オビテンスモドキの子供だったり、ツユベラの子供だったりで、
可愛らしい幼魚がそこかしこにいましたよ。
やっぱり子供は可愛いですねぇ(*^_^*)
二本目からは着後の方を迎えて御神崎へ!
カメさん探して泳ぎましたが、さっぱり出会わず。
穴の中にはテンジクダイがわさわさ群れてて、見応えアリでした(^^)v
もうすこーし、光が入ってくれるとソフトコーラルの癒され度は上がったんですけどね。
ラストはマンタさんに会いに石崎です!
今日は待てども待てども現れず・・・・・・
でも、カメさんがみんなの前をプラ~と泳いでくれてラッキーでしたね!(^^)!
ここで横山さんが150本のおめでとうダイブ!!!マンタと一緒にお祝いしたかったですけどね(^_^;)これからもまったりがっつり潜っていってくださいね~♪
とっきーでした(^_^)/
▲ページトップへ戻る
コメント