2013年03月05日 [ ファンダイビング ]
ポイント:大崎 屋良部崎
コンディション: 北東の風 気温20℃ 水温22℃ 透明度:15m
今日もぴかぴか快晴のいーいお天気(*^_^*)
気温も上がってきましたし、まぁったり潜るにはサイコー♪♪
マンツーでサトウさんと潜ってきましたよん(^_-)-☆
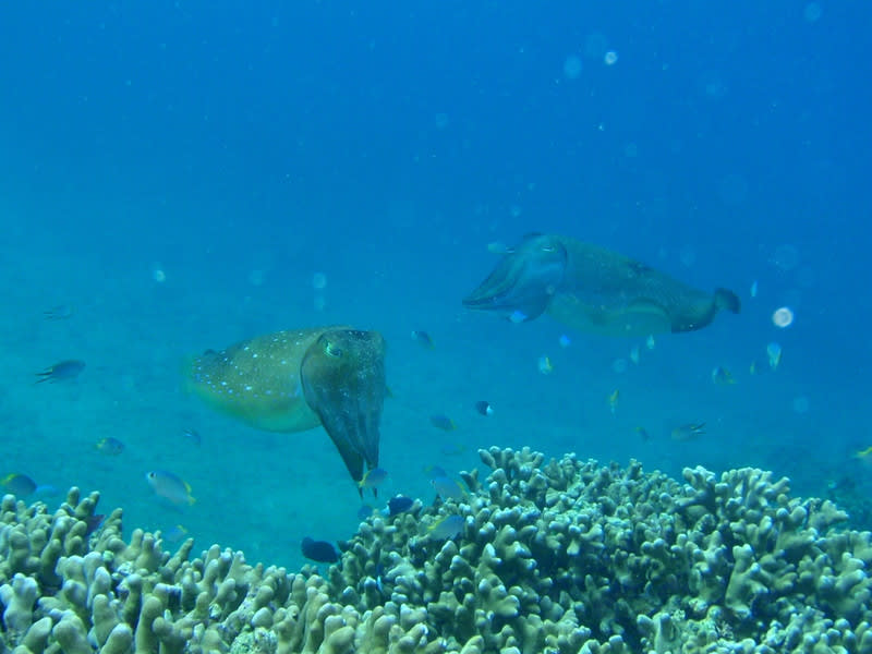
まずは大崎でコブシメさんとご対面!
ちょっとずつコブシメの数も増えてる気がしますね♪
卵を産んでるのもいれば!生まれたばかりの赤ちゃんもいて!(^^)!
ハッチアウトの瞬間を見れたのはラッキーでしたね(^^)v
二本目は大物狙ってエントリー!
でっかいイソマグロがドーンと泳いでるのは、やっぱり迫力!
本日じっくりの2本で終了です(^_^)/
とっきーでした♪
2013年03月05日 [ 体験ダイビング ]
ポイント:桜口
コンディション:北東の風 気温22℃ 水温23℃ 透明度15m
はいどうもてるです!
今日は総勢6名の半日体験チームで行ってきましたよ!
太陽も出ててスッキリ気持ちのいいなか
頑張って潜って来ました!(^^)!


船の上から底がくっきり見えちゃうとこでダイビング☆彡
説明を受け~ 器材を背負って~ いざ!ブクブクブク・・・
ゆっくり潜れば簡単です(>_<)
水中はカラフルなお魚ちゃんたちがいっぱい!!!
目の前が見えないくらいのお魚に囲まれちゃいました♪
まさにお魚トルネードです!!!


そのあともおいしそうなシャコガイを発見したり
よっしーの一発芸や、テルの必殺奥義をくらったりと
たくさん楽しんで来ましたよ(●^o^●)
水中の素敵で楽しい時間はあっと言う間に感じちゃうくらい!
まだ遊ぶのじゃっ! って感じで船の上でも
大ジャンプ大会もしてきました??

い~っぱい海を味わってきた
体験チ~~ムでしたよ(^_-)-☆
それではみなさんまた次回===
ポイント:大崎 屋良部崎 名蔵
コンディション:北東の風 気温20℃ 水温22℃ 透明度15m
本日は快晴!絶好のダイビング日和!潜らなきゃ損ですよ。
ゲストは来月から新社会人のお二人。
ダイバーの彼と今回初体験ダイビングの彼女。
彼の不安をよそに難なくエントリー↓
水中世界を満喫!
1ダイブでは満足せず、続けて2ダイブ目、そして3ダイブ目。
体験ダイバーでしかも一日で3ダイブするなんて強者です。
次回、お会いするときはダイバーになっていることでしょう。
スタッフ一同お待ちしております(^_^)/
来月からは新社会人!日本を背負って頑張ってください!
▲ページトップへ戻る
コメント