2010年 9月の記事

嵐の来る前に

2010年09月17日  [ ファンダイビング

ポイント:大崎 大崎
コンディション:北の風 水温30℃ 透明度15~20m 

はいさーい★台風が来ちゃいます石垣島からみんなのタクオ
シーフレブログ更新しちゃいますよ(^_^)/
今日までは何とか出航出来そうなので、午前中2ダイブで潜ってきちゃいました♪
風・うねりを避けて穏やかな大崎でEntry↓
台風前とは思えない位、生物達がフィーバーしてましたよ!!
ハナミノカサゴやハダカハオコゼ、定番のアカククリにロボコンエビ(アナモリチュウコシオリエビ)
ニセアカホシカクレエビにニシキフウライウオなどなど(^_^)v
カメラ派ダイバーも大満足の1本でした!!

P9170008 P9170012
少し休憩をとってからは大崎の別ポイントへ→
キンギョハナダイとアカネハナゴイがサンゴの上に群れ群れでキレイでしたね(^^♪
ヤマブキハゼや珍しいタツウミヤッコもゲットンです!(^^)!

P9170014 P9170015
そんな感じで、2ダイブで戻ってきた後は船とお店の台風対策に!!
対岸までロープを張るのに、わたくしタクオと青年ことかづやが港の中を
何往復も頑張って泳いできちゃいました→←→←
さぁて、いよいよ明日から暴風域に入ります・・・orz
当初の予定よりも少し進路が南にそれましたが、それでもガンガン暴風域の中(ToT)/~~~
停電でなければ青年の台風ブログ更新か!!??
乞うご期待!!
と言う事で、以上嵐の前にみんなのタクオがお送り致しましたー(^_-)-☆

初ダイビング♪

2010年09月16日  [ 体験ダイビング

ポイント:竹富南×2
コンディション:北の風 気温32℃ 水温30℃ 透明度15m

本日の石垣島は、晴れです(^_-)
しかし、台風接近中で、今後の天気・風が気になるところです(-_-;)
今日は、北の風が吹いておりましたので、
竹富南で遊んできましたよー(^o^)
まずは、スノーケルで、海そして口での呼吸に慣れてきました(^O^)
初めてとは思えないくらい、
あっという間に1人でスイスイと泳ぎだして、
いろんな魚を水面から見てきました(^○^)
P9160022_2 P9160024

ポイントを少し移動して、
いよいよ体験ダイビングです!!
ゆっくりゆっくりと水底に降りて行くと、
そこには、可愛いクマノミやハマクマノミ、
おもしろい生物や、笑っているホヤで遊び、
キレイなんだか、気持ち悪いのか、
良くわからないウミウシなんかも見て、
水中の世界を楽しんできちゃいました(^0_0^)
P9160045 P9160046

今後の台風の状況が気になりますが、
そんなこんなで、今日も無事に終了です!
以上、本日は信でした♪

とうとう直撃です…

2010年09月16日  [ ファンダイビング

ポイント:竹富 竹富 名蔵
コンディション:北の風 気温32℃ 水温30℃ 透明度15~20m

はいさーい★ピーカンな青空が広がってる石垣島から本日も
みんなのタクオ今日もシーフレファンブログ綴っちゃいますよ(^○^)
きてます、来てます、キテマス、台風が…(-_-;)
いやー今年はこのまま1個も来ないままかと思ったんですが、そんなに
甘くはなかったですね(;_;)久しぶりの直撃大型台風デス…orz
でも、潜れるまで潜っちゃおーという事で今日も元気に行ってきましたよっ!!
朝は、無風状態でしたが段々と北風が強まって来ちゃいましたので
出来るだけ穏やかな竹富でゴーダイブ↓
1本目は、この季節のパッチリーフは外せないでしょーという事で
砂地に根が点在しているポイントへ♪
やっぱりキレイですねー★真っ白い砂地にキラキラと太陽の光に反射する
スカシテンジクダイの群れ・群れ・群れ!そっとくぼみから顔を出す
モンハナシャコ。根の中には番人(番魚??)のように泳ぎ回るユカタハタ。
それをクリーニングしようとしているアカシマシラヒゲエビ…etc
たっくさんの生物達に見とれてきちゃいましたよ(^O^)

P9160017 P9160018 P9160020 P9160022
2本目は、豪快な地形と大物狙いでエントリー↓
ドロップ沿いでは、グルクンの群れ・群れ・群れ(2回目)!青と黄色が
映えるキレイなウメイロ、悠然と目の前を通りすぎるテングハギモドキ。
ガレ場では、オレンジの縁取りがまぶしいアカフチリュウグウウミウシや
個人的に大好きな美味しそうな名前の、キスジカンテンウミウシ…etc
まったり&じっくり癒されてきましたね(^o^)♪

P9160030 P9160035
そして、休憩をはさんでは穏やかな名蔵湾に船をとめて潜ってきましたー↓↓
一言で言うと、『THE 癒』!!
浅い水深なので、じっくり潜れちゃいます★まさに、沖縄といった感じの
サンゴの上に数えきれない程のデバスズメダイ達、ハマサンゴの下には
お尻の赤いネオンテンジクダイ、上にはオレンジ色のアカネハナゴイ達の
乱舞・乱舞・乱舞(1回目)、船の下にはサイケデリックな模様の
ミアミラウミウシ…etc 3本目も癒されちゃいましたー)^o^(

P9160047 P9160055 P9160057 P9160062 P9160063
そんな感じで、今日も無事に終了です♪
明日の午前中までは何とか大丈夫そうです。。。
早く買い出しに行かないと(^^ゞ 以上、みんなのタクオでしたー(^_-)★

皆さん、今日のタクオフルパワーでの臨場感あふれる表現を
お楽しみ頂けましたでしょうか!?ちょっと無理ありましたかねー(^_^;)

カメフィーバー♪

2010年09月15日  [ ファンダイビング

ポイント:大崎 石崎 御神崎
コンディション:北の風 気温32℃ 水温30℃ 透明度15~20m

今日も石垣島は、快晴です(^o^)
まだまだ夏真っ盛りですよ(^_-)
そんな中、今日はまず大崎へ!
アカククリのクリーニングをのんびりと観察し、
小さいエビとか、ハゼとか、細かいものも探して、
まったりダイビングです(^^)
そしてここで、ニシキフウライウオも見てきちゃいました(^○^)
P9150010 P9140114

続いては、マンタスクランブルへ!!
最近、3本目で不発が多かったので、
今日は2本目に入って、マンタを狙ってきました(^o^)
結果は・・・
2本目に入って大正解です(^0_0^)
あっさりと見れちゃいました(^^)
あんまりゆっくりとホバリングはしてくれませんでしたが、
けっこう近くで、バッチリとマンタ見れちゃいました(^_-)
P9140132 P9140094_2 P1010029

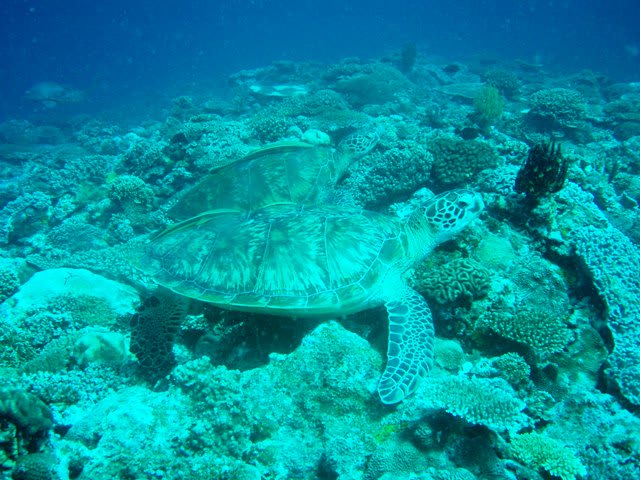
最後は、カメを狙って御神崎へ!!!
こちらは、カメフィーバーです(^o^)
一体、ここには何匹のカメがいるのか??
あっちにも、こっちにもカメカメカメでした(^_^)
そして、サンゴの美しさに癒され、
今日も無事に終了です!
P1010044 P1010072

以上、本日は信でした♪

1日&半日でぇ~す♪

2010年09月15日  [ 体験ダイビング

ポイント:大崎 石崎 御神崎
コンディション:北の風 気温32℃ 水温30℃ 透明度15~20m

どぉ~もぉ~
最近、耳の抜けにくいカズヤです(-_-;)ワラ
っとそんな事を言いたいのではなくて
はい!!今日の体験ダイビングブログです♪
今日は関西から来たゲストとマンツーマンで
体験ダイビングしてきました(^_^)
まず、1本目は大崎で朝一から潜っちゃいました(^○^)
呼吸に少し苦戦するものの、無事に水中へ!!
クマノミと遊んだり、変わった形の魚をみたり
と水中の生き物観察してきました(^_^)
そのあともバブルリングや水中遊泳を楽しんできましたよぉ(^0_0^)

P9150002 P9150018

続いては
石崎へ行ってきました(^○^)
今日はマンタ居るのかなぁ~っと
少し不安でしたが、そんな不安もすぐになくなる事になりました(^^)
先日から続いていたマンタの無断欠席事件も無事に解決です♪ワラ
今日は合計2枚のマンタと遭遇してきました(^_-)
まったりマンタを眺めたり、マンタとツーショットを
撮ったりと本日2回目のダイビングを
ガッツリ楽しんじゃいました(^o^)

船に戻ってからは
昼食&マッタリタイムと
島な感じを満喫して
3本目は御神崎に!!

ここではスノーケリングをしてきました(^○^)
カメと遭遇をするため水面を
泳ぎ回ってきました♪
結果から言うと見事にカメをゲットしましたよぉぉ(^^ゞ
キレイなサンゴもたっぷりで
サンゴに癒されて
今日もそんな感じで無事に終了です。

P9150021 P9150025
以上☆カズヤ☆でした。

ここからは半日です♪

ポイント:大崎
コンディション:北の風 気温32℃ 水温30℃ 透明度15m
今日もピーカンの石垣島です\(^o^)/
半日体験は大崎にいってきました(^_^)v
ポイント着いてまずはスノーケリングで水に慣れてきました♪
沢山のサンゴを見ながらのスノーケリングは
癒し効果バツグンですね(^^♪
そしてそして体験ダイビングでは
カクレクマノミのニモリンを初め
ニモリン一発芸やなんとなんとカッパまで
目撃しちゃいました(^_-)-☆
最後には水中で嬉しいコメントまで
頂いちゃいました(*^_^*)
また石垣の海に遊びに来て下さいね♪

P1010007 P1010008 P1010020
以上よっしぃーでした(^_^)/

今日の体験チーム♪

2010年09月14日  [ 体験ダイビング

ポイント:名蔵 御神崎 石崎
コンディション:南東の風 気温30℃ 水温30℃ 透明度15~20m

今日も晴れを予想して、洗濯物を干してきたカズヤです(^^)
そんな今日の1本目は、
名蔵で体験チームはスノーケルをしてきました(^_^)
2種類のナマコにビックリしながらも、
口呼吸に慣れるために、いっぱい泳いできました♪
P9140001 P9140008

続いては御神崎で、水中に入ってきました(^_-)
いっぱいのサンゴや、エビ、
そしてとってもカワイイ、カクレクマノミを見て、
まったりと遊んできましたよ(^○^)
P9140059 P9140063

お昼を食べた後は、
期待に胸を膨らませ、いざマンタスクランブルへ!!!!!
今日もマンタは来てくれませんでしたが、
とってもおもしろい貝を見たり、
いっぱい泳いで、ノンビリと遊んできました(^0_0^)

今日もそんな感じで今日も無事に終了です。
以上☆カズヤ☆でした。

幼魚フィーバー♪

2010年09月14日  [ ファンダイビング

ポイント:名蔵 御神崎 石崎
コンディション:南東の風 気温30℃ 水温30℃ 透明度15~20m

今日も石垣島は素晴らしいお天気でした(^O^)
これぞ石垣という感じの太陽が、輝いていました(^o^)
そんな今日はまず名蔵へ!
今日は幼魚フィーバーです(^_-)
ハナヒゲウツボに、ホホスジタルミ、アカククリ、
そしてイロブダイなど、可愛らしい幼魚がいっぱい(^○^)
他にも、オイランヨウジなど、
小さい感じのものを、まったりと探して、
のんびりとダイビングしてきました(^^)
続いては、サンゴで癒される御神崎へ!!
目の前一面に広がるサンゴは、絶景そのものです(^o^)
カメなんかも探しちゃったのですが、
こちらは撃沈(;_;)
逃げないサンゴをこころゆくまで堪能してきました(^_-)
最後は、マンタスクランブルへ!!!
どのチームもマンタを求めて、
ひたすらに泳ぎ回ってみたところ、
なんとカメを発見!(^_^)
しかも、チョービックサイズのカメ(^^)
あまりの大きさに一瞬マンタかと思ったくらいでした(^0_0^)
しかし、肝心のマンタは・・・
今日も不発でした(-_-;)
マンタは不発でしたが、今日はAOW講習を無事に終わらせ、
見事ステップアップされたゲストがいらっしゃいました(^_^)v
P9140024

そんなこんなで、今日も無事に終了です!
以上、本日は信でした♪

マンタはどこへ??

2010年09月13日  [ 体験ダイビング

ポイント:東海岸 大崎 石崎
コンディション:南の風 気温32℃ 水温30℃ 透明度15~30m

今日晴れると思い敷布団を干して来たカズヤです(^O^)
そんな今日は1本目東海岸で体験チームは
スノーケリングをしてきました(^o^)
少しうねりがありましたが、そんなものには負けずに
ガンガン泳いで口呼吸に慣れてきました♪

P1010003

そしてそして
そこから一旦、港に戻りゲストを迎えて再出港です(^^ゞ
続いては大崎で水中に入ってきました)^o^(
水はボチボチキレイで海況はグットコンディション★
水中も穏やかでした(^^ゞ
ハマクマノミやハナガササンゴ、ナマコなど
いろいろな生物を見てきました(^_-)
マッタリ泳いだりして
水中を楽しんできました(>_<)

船で昼食を食べた後はみなさん
お待ちかねの石崎マンタスクランブルへ!!!!!!!!
水中でマンタを待ち伏せしてきたのですが
昨日続きマンタの姿を見る事ができませんでした(;_;)ざんねん↓
その代わり、エンマゴチを発見!!
じっくりじっくり観察しちゃいました(^_-)

P1010025 P9130018 P9130022

今日もそんな感じで今日も無事に終了です。
以上☆カズヤ☆でした。

願うしか・・・

2010年09月13日  [ ファンダイビング

ポイント:桜口 大崎 石崎
        石崎 米原 石崎
コンディション:南の風 気温30℃ 水温30℃ 透明度15~20m

はいさーい★みんなのタクオ本日も登場ですっっっ!!!!!!
今日の石垣島は、たまに所によってはスコールが降っていましたが
基本、ナイスな晴天が広がってましたよ♪
そんな本日は、2艇に分かれて出港です(^○^)
アリサⅣチームは、久しぶりに桜口本面へ→
少しうねりはあったものの、キレイな透明度でソフトコーラル達に
癒されちゃいましたよ!!沖の砂地でマダラエイやホワイトチップなどを
探しましたが見事撃沈デシタ…orz
でも、大きなハマサンゴの下にはネッタイミノカサゴのペアが居ましたよ)^o^(
その他、バサラカクレエビや沢山のノコギリダイ達にも見入っちゃいましたー!!
続いて、2本目は大崎へレッツゴーです♪♪♪
ここでは、キンギョハナダイとアカネハナゴイの今世紀最強のコラボレーションを
じっくり観察していましたよ(^o^)可愛らしいハナヒゲウツボの幼魚や
ミゾレウミウシ、ウコンハネガイ、バブルコーラルシュリンプなどなど。
たっくさんの生物達に癒されてきちゃいましたー★

P9130004 P9130011
続いて、昨日ミゴトニハズシタマンタロウポイントへ(カタカナ多すぎ!?)
の、前にチビ船チームは1本目からマンタロウポイントへ行ったみたいですが
ミゴトニハズシ、気を取り直して米原の絶品サンゴ&キンギョハナダイ、
ユキンコボウシガニ…etcみんな撮影の嵐だったようで満足顔で、3本目の
リベンジマンタポイントへ→→→

が、もう聞かないで下さい(;_;)(;_;)(;_;)
ものすごくショックで夜も寝れそうにアリマセン(-_-;)
2艇とも撃沈デシタ…orz

明日はもう3本目ともマンタロウポイントへ潜っちゃいます?????
以上、そーとー凹んでるタクオがお送りしました(>_<)
もう、願うしかありませんね(^O^)

P9130010 P9130014

愛しのマンタ♪

2010年09月12日  [ 体験ダイビング

ポイント:大崎 崎枝 石崎
コンディション:南の風 気温33℃ 水温30℃ 透明度15~30m

どぉ~もぉ~かずやです(^○^)
今日も太陽が出てて良い天気ですね(^^ゞ
1本目は大崎に!!
体験チームはスノーケルをしてきました(^O^)
海も穏やかでスノーケルをするにはバッチリのコンディション♪
太陽の光が海の中まで差しこんできて
めちゃめちゃキレイでしたよ(^^ゞ
サンゴも魚もいっぱいで海を楽しんできました(^o^)
続いては崎枝に移動して
いざ、水中へ!!
今日のゲストは体験ダイビング経験者で
潜降もラクラク、水中もスイスイな感じでしたよぉ♪
水中に入ってまず初めに会った生き物は
「カクレクマノミ」のニモちゃんでした(^^ゞ♪
ニモちゃんと記念写真を撮ったり、カクレクマノミ豆知識を
聞いたり、その他にも沢山の種類の魚がいたので
フィッシュウォッチングをしたりと
水中を満喫してきました(^○^)

船に戻ってからは
島弁当を食べて、マンタの出るポイントで
泳いだり&次のダイブに向けての休憩を
しました(^O^)
1時間ぐらい休憩をとり
いざ、水中へ♪
水もキレイで流れもほとんどなかったので
今日マンタに会えるとサイコーだなぁ~っとか思いながら
水中でマンタを探したのですが、今日もマンタの姿は
見る事ができませんでした(;_;)
昨日に続き今日も見れないなんて……
いったいマンタはどこへ??

P9120008 P9120020 P9120027

っな感じで
今日もそんな感じで今日も無事に終了です。
以上☆カズヤ☆でした。

ファンダイビング日記

体験ダイビング日記

日記カレンダー

2010年9月
 12345
6789101112
13141516171819
20212223242526
27282930  

カテゴリー

コメント

アーカイブ

▲ページトップへ戻る▲ページトップへ戻る