2010年09月10日の記事

まさか!?!?

2010年09月10日  [ 体験ダイビング

ポイント:屋良部・御神崎・石崎
コンディション:南南東の風 気温33℃ 水温29℃ 透明度20~30m

本日の石垣島は、やや風が強いながらも、晴れ(^o^)
まだまだ日焼けに気をつけなきゃいけない時期ですね(^_^;)
今日はまず、屋良部へ!
ここではスノーケルをして、水に慣れてきました(^_-)
スノーケル経験者の方が多く、
みんなとっても上手に、スイスイと泳ぎ回って、
いっぱい魚をみてきました(^○^)
P1010001 P1010043

次の御神崎で、体験ダイビングをしてきました(^O^)
今日の御神崎は、とっても水がキレイで、
かなり遠くまで見渡すことができました(^o^)
船のすぐ下には、みんなのアイドル、カクレクマノミが(^_^)
可愛らしいクマノミに、緊張もすっかりほぐれ、
ややこしいエビに笑い、
一面のサンゴに感動して、
ここでもいっぱい泳ぎ回ってきました(^○^)
P1010008 P1010016

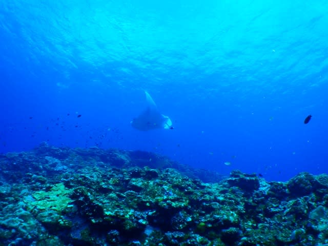
最後はマンタスクランブルへ!!!
ここでもカクレクマノミと遊び、
クマノミのたまごもみてきちゃいました(^^)
肝心のマンタは、なかなか出てきてくれず、
まさか撃沈!?!?!?!?
なんて、心配もしちゃいましたが、
ちゃんと、来てくれました、われらのマンタ(^0_0^)
ちょっと遠かったですが、ばっちりマンタをゲットして、
今日も無事に終了です!
P1010018 P1010048 P1010060

以上、本日は信でした♪

スーパーウルトラブルー★

2010年09月10日  [ ファンダイビング

ポイント:屋良部 御神崎 石崎
コンディション:南東の風 気温33℃ 水温30℃ 透明度20~30m

はいさーい★みんなのタクオひさびさ!?の登場ですっ(^_-)♪
みなさん、台風の影響はだいじょーぶですか??猛暑&大雨お気を付け下さい。
今日の石垣島は、早朝に雨が降りましたが太陽がサンサンと照り付ける1日となりました!!
でも、南風強しなので風を避けて穏やかなポイントで潜ってきましたよ↓
1本目は、ひさびさ!?に屋良部にエントリーです(^O^)
水面近くは少し白っぽくなってましたが、下に降りるととってもキレイ★
穴の中はキンメモドキとリュウキュウハタンポが群れて、光が差し込んでキレーイ!!
ハナミノカサゴが捕食しようと狙ってましたよっ!ガレ場には白とオレンジの
コントラストがキレイなハタタテハゼがたっくさん)^o^(
じっくりお好みの構図で撮影されてましたね♪

P1010017 P1010024
2本目は、癒しのスーパーサンゴを求めて御神崎へ→
今日は、今年1番と言っても良いくらいのスーパーブルー↑↑↑↑
スッコーーーーンとすい込まれそうなブルーな海が広がってましたよ(^○^)
キレイなサンゴとブルーの海を浮いてるだけで癒されちゃいました★★★
ここのカクレクマノミとイソギンチャクのコラボレーションも透明度が言い分
いつもよりも映えてましたね(^o^)みんながっつし激写しておりました!!

P1010028 P1010032 P1010041 P1010044
お昼休憩をはさんで、お待ちかねのマンタへゴーですっ!!
でも、ここ最近3本目には見れない事が多いマンタロウ(>_<)
しかも、今日も出ていないという情報が………(-_-;)
いつもより少し違う場所に船を留めて探そうと言う作戦に!!
今日のマンタスクランボーも2本目と同じくスーパーブルーでしたが
一向に見つかる気配ゼロ……(;_;)あきらめて一応メインの根まで行ってみようと
移動すると普通に1枚でしたが、ホバリングしてるじゃあーりませんかっ!!!!!!!
少し拍子抜けしましたが、ゆっくりまわるマンタロウをじーっくり観察&撮影でき
みんな大満足で終了ですっ(^O^)

P1010053 P1010057 P1010062
以上、漢字少な目!?写真多め、麺固め??なみんなのタクオがお送りしましたー(^_-)★

ファンダイビング日記

体験ダイビング日記

日記カレンダー

2010年9月
 12345
6789101112
13141516171819
20212223242526
27282930  

カテゴリー

コメント

アーカイブ

▲ページトップへ戻る▲ページトップへ戻る