2009年04月02日 [ 体験ダイビング ]
ポイント:大崎×2
コンディション:北東の風 気温19℃ 水温22℃ 透明度15~20m
今日もヒジョーに寒い石垣になっちゃいました(((p(>◇<)q))) サムイー!!
一気に冬に戻った感じですねぇ・・・・
4月になったとゆーのに、なんでこんなに寒くなっちゃうんでしょうね(T_T)
そんなお天気ですけど、今日の体験チームも元気いっぱいのファミリーです♪
大崎はちょっとうねりは入ってましたが、
ダイビングするには問題なしですv(*’-^*)b
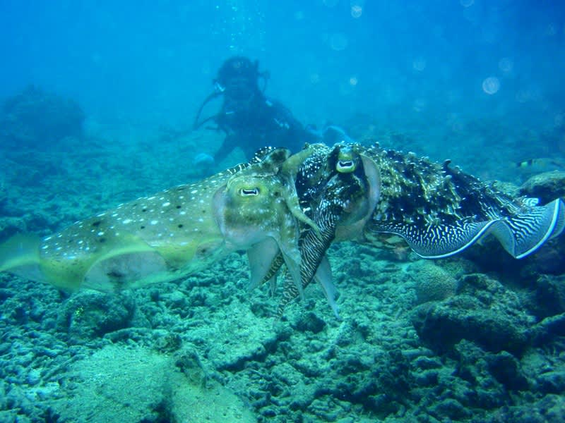
最初、スノーケルで入った時はコブシメ達は見えなかったんですけど、
ダイビングで入った時はバッチリ♪♪♪戻ってきてました!
ちょうど他に潜ってるチームも無くて、独占状態でじっくりコブシメ見れちゃいました♪
しかもみんなの目の前で交尾シーンも展開されてるし(*’▽’*)
見ごたえたっぷりでしたよ!!!
ちょっと寒さにはやられましたが、たくさん魚に囲まれて海を満喫でしたーo(*^▽^*)o
明日はもう少し気温も上がりそうですし、
また張り切って行ってきまーす!
とっきーでした(o^-^o)
▲ページトップへ戻る