解放

2025年07月14日  [ ファンダイビング


今日は、《マンタシティ》の呪縛から解放です。




誤解しないでください。

《マンタシティシティ》に、行きたくないわけではありません。
たまには、違うところに行きたいな〜と。


マンタに会うためには、やはり《マンタシティ》が確率が高いので、どうしても石垣島周辺でのダイビングになりがち。

今日は、《マンタシティ》とは反対方向の離島コースへ、舵をとります。


ひとまずマンタのことは忘れて、お気楽なダイビングの旅へ。
とりあえず、軽やかに南の遠いところへ。

波照間まで行っちゃおうかな〜と思ったけど、それは無理でしたね。


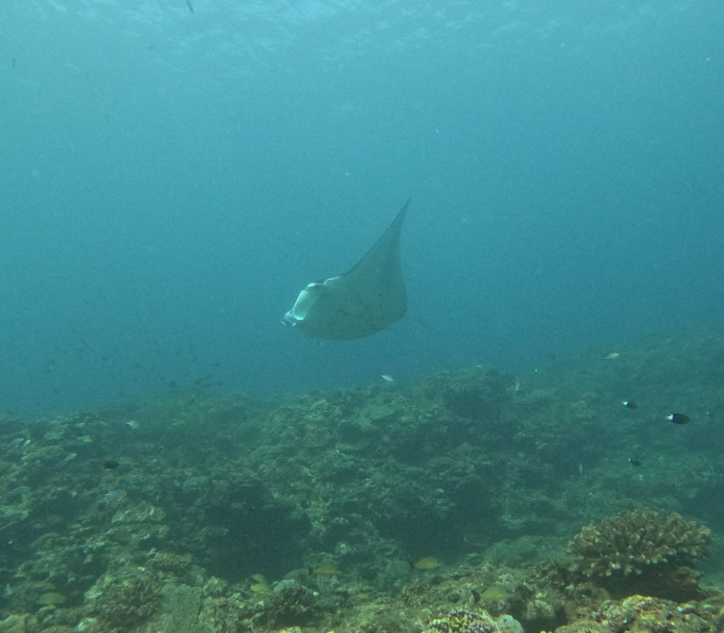
ひとまず本日1本目は、パナリで。
呪縛も、マンタへの使命感も責任感も緊張感もなく、
潮に逆らって泳いでたら・・・











ここでもマンタと出会ったのでした。

《マンタシティ》からは、解放されたけど、
マンタからは解放されないみたい(笑)

棚ぼた的なダイビングのあとは、石垣島周辺にない景色を楽しみます!









2本目も3本目も、とにかく砂地。

↑↑2本目は、【黒島・テラピー】で↑↑

↓↓3本目は、【竹富島・ビタロー】で↓↓






どちらのポイントも、癒しの白い砂地に、魚サカナ魚でした。
たまには、離島もイイですね!

今日もいい感じてした!!








~毎日更新してます~
↓↓シーフレンズのインスタも見てね☆





コメントを書く

コメントを書くには名前とメールアドレスが必要です。
が付いている欄は必須項目です。

CAPTCHA


ファンダイビング日記

体験ダイビング日記

日記カレンダー

2026年4月
 12345
6789101112
13141516171819
20212223242526
27282930  

カテゴリー

コメント

アーカイブ

▲ページトップへ戻る▲ページトップへ戻る