海神祭

2025年05月30日  [ ファンダイビング

はいたーい!

今日はマンツーマンで乗り合いに行ってきました!

ゆいマーレさんにお邪魔させていただきました!

そして今日5月30日石垣島では海神祭が行われています!

石垣島の海神祭(ハーリー)は、航海の安全と豊漁を祈願する沖縄の伝統行事です。

朝8時開始の鐘がなると同時にわたし達も出港です!

まずは竹富の砂地で!




強めに流れていたのであまり動かずお魚さんとにらめっこ





お次は一気にパナリまで行ってきます!

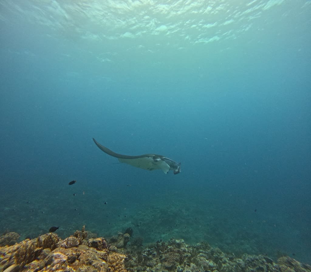
マンタいるかなぁ〜





!?!?




エントリーして移動しようとしてすぐでした!

目の前からマンタが向かってくるではありませんか!

5分程姿を消しましたがまたすぐに戻ってきてくれてました!




その後は最後までずっとぐるぐる回っていてくれました

ラストは黒島でのんびり行きます!


ダイバーの泡カーテンを横目に壁沿いを泳ぎます!





ランチ後のゆったりダイビング最高でした!

ご参加いただきありがとうございました!

明日も乗り合いでゆいマーレさんにお世話になります!

【本日のLOG】





↓↓シーフレンズのインスタも見てね☆



コメントを書く

コメントを書くには名前とメールアドレスが必要です。
が付いている欄は必須項目です。

CAPTCHA


ファンダイビング日記

体験ダイビング日記

日記カレンダー

2026年4月
 12345
6789101112
13141516171819
20212223242526
27282930  

カテゴリー

コメント

アーカイブ

▲ページトップへ戻る▲ページトップへ戻る