2025年12月22日 [ ファンダイビング ]
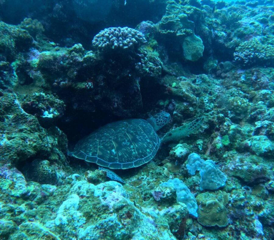
生き物相手に距離を縮めるのは難しいですね。
追いかけても、海の中だと相手に分があるわけですから。








息を潜めて、ゆっくり近づく。
これがわかってても、なかなかできない⋯
どうしても、お目当ての生き物が、登場すると夢中になっちゃいますもんね。
まわりが見えなくなるもんです。
ただ経験を積んでいくとわかってくるんですよね。




ちょっと遠いなと思っても、我慢。
キープ ディスタンス。
いずれ生き物も人間のことが気にならなくなるはず。
なが〜い棒なんて、必要ありません。
しっかり岩に掴まってれば、向こうからくるんですから。





ほ〜〜〜らね😛
冷静であることが一番。
そして、いい思い出になりましたね。
また来てね!!

▲ページトップへ戻る