2025年 9月の記事

『RA』

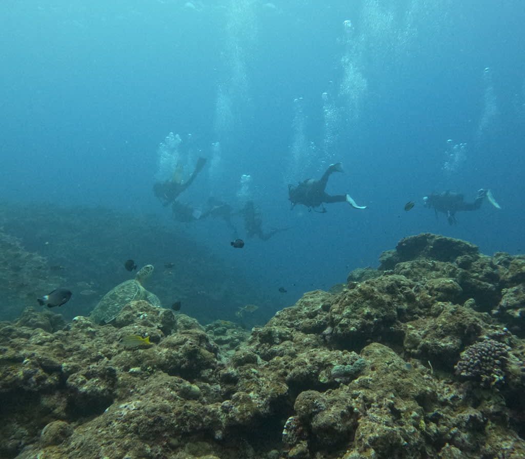
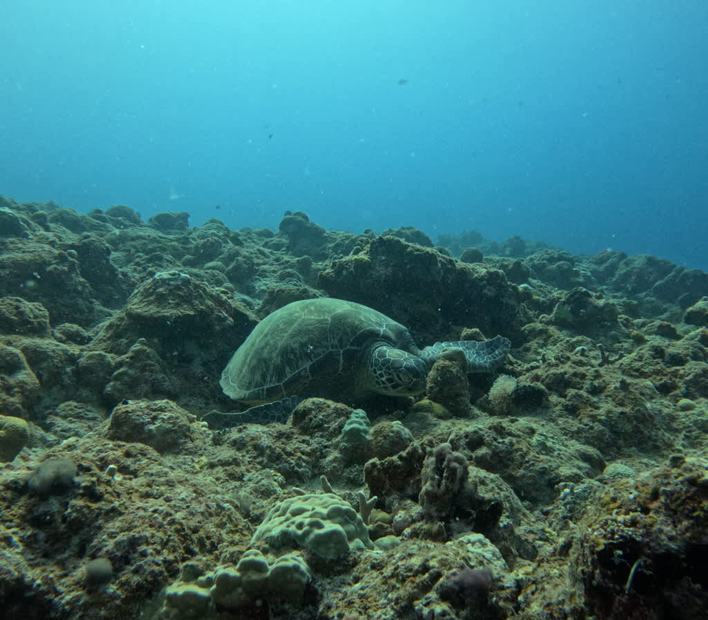
2025年09月10日  [ ファンダイビング




カラフルなTシャツが似合う、若い面々。

最高の思い出にして欲しいから、
石垣にまた来てほしいから、
マンタを見てほしいから、
【マンタシティ】に2回チャレンジしました!!










とりあえず、1本目は、チェックダイビングも兼ねて。

人気のウミガメを抑えておいて、
2本目にマンタをサクッと見る予定が、そうはいかず。
(全員は見れず)


3本目も、【マンタシティ】へ!






潜降直後に、大きな大きなマンタが登場〜
ホントに居たんだと、感動〜





石垣の海のすべてではないですが、満足していただけたでしょうか。
世の中、まだまだ不思議な生き物、場所がたくさんあります。
いろんな海、場所、景色を楽しんでくださいね。










今日は、ダイビングサークル『RA』の皆さんでした。


またいつかお会いしましょう〜👋







~毎日更新してます~
↓↓シーフレンズのインスタも見てね☆




大潮

2025年09月09日  [ ファンダイビング


今日は、どこ行っても、流れが強かったです。
昨日が満月だったんですね〜。

普段穏やかな【大崎・タートルリーフ】でも、
マンタがいなかったけど、【マンタスクランブル】でも、
最後のチャンス【マンタシティ】でも。

一日中、どの場所も流れが強かったです。











ダイバーの吐いた息の泡が、水面にむかって斜めに上がってます。
まるで、煙突から出る煙が風で流されてるかのように。

こういう時は、最初こそ、ガンバって流れに逆らって泳ぎます。
そうすると帰りが楽だから。
途中、移動に疲れたら岩につかまって、止まればいいんです。







こんなに流れが強いと、昨日のヨナラを思い出します。
だったら、ドリフトダイビングのほうが「楽じゃん」と思いがちですが、
船の往来が多い、【マンタシティ】では、そうはいかないんです。







最近、【マンタシティ】は好調です。
たくさんのダイバーを楽しませてくれます。
マンタも居心地がいいのかもしれません。

一人一人がマナーを守った結果かもしれません。

マンタを見る時は、岩につかまって整列。







明日も見れるとイイですね。
ちなみに明日も「大潮」です。





~毎日更新してます~
↓↓シーフレンズのインスタも見てね☆




刺激を求めて

2025年09月08日  [ ファンダイビング



今日で、4日目の方が多数いらっしゃいますので、
大潮ですし、ヨナラへ行こうかな~と。

よりエキサイティングなダイビングをしましょう!









初日の方もいらっしゃるので、
1本目は、【竹富島のじゃがりこ】で準備運動。

2本目に、【のばるぞね】

3本目に、【ヨナラ水道】 の予定で。





のばるぞねでは、透明度が悪いなか、
なんとか【ギンガメアジ】の群れGET。

残念ながら、NOマンタでしたが、
ドリフトダイビングの要領が分かってきました。

チームワークが良くなったところで、
【ヨナラ水道】へ!!





ヨナラの潮流は、思いのほか強かったようで、より興奮度が増した模様。
さらに、マンタも見れたもんだから、言う事なし!!







この4日間、すべてでマンタが見れたし、
いろんな景色が見れたし、
なにも言うことはありませんね。

また遊びに来てください。











~毎日更新してます~
↓↓シーフレンズのインスタも見てね☆





見るものいっぱい

2025年09月07日  [ ファンダイビング



今日も、凝縮3ダイビング。

見るものいっぱい!やることいっぱい!



まずは、
「ジヨン」「ソンヒョン」夫婦の100記念からSTART‼️

異国の海での、記念ダイビングがより色濃いものとなりますように!

朝イチは、名蔵湾の浅瀬【ロコロック】から。







船の下、即サンゴ。

じっくり写真を撮るというより、止まらずゆっくり泳ぎましょう。
サンゴそれぞれに住み着く魚が違うので、場所が変われば色とりどりの景色が楽しめます。

サンゴを壊さないように、中性浮力を維持して、ゆったり過ごします。

あっという間の50分。
浅いので、空気の減りが遅く、残圧がたくさん残ってますが、
新しいタンクを変えて、御神崎へ。

【コーラルウェーブ】
ここでは、夏ならではの景色。







太陽でキラキラの水面にも、
洞窟の暗がりにも、






[ちりめんじゃこ]みたいな小魚。

ホントにいっぱい。
数えてないけど、三億匹はいるかもしれない(笑)



数の上では、いっぱい見れましたが、残すところは【マンタ】






最後のピースを埋めてくれるがごとく、潜降すぐに現れてくれたけれども⋯

喜ぶのはまだ早い。
今日のは、まだ序の口。

1枚だけでなくて、複数。
遠くから見守るだけじゃなくて、目の前にも。











今日は、いっぱい写真を撮りましたね〜
また明日もいっぱい取りましょう〜









~毎日更新してます~
↓↓シーフレンズのインスタも見てね☆









今日もマンタ

2025年09月06日  [ ファンダイビング


昨日は、【野原ぞね】でマンタを見ました。
今日は、【石崎マンタシティ】の方へ。

どちらに行くにしても、ひとまず大崎でチェックダイブ。

器材の確認、体調の確認、気持ちの整理。
こういうことは、慎重に。









大崎は、イイですね。
海況が安定してて、リフレッシュにはもってこいです。
生き物をたくさん紹介することができるし、上級者であっても飽きないポイントです。





そして、2本目は、、、

記憶にございません。。。(笑)
というのも、マンタがいなかったので。

マンタを探すダイビングをしたわけですが、
ただ泳いだだけというか。
流れる景色を楽しんだというか。
スキルアップしたというか。

そんな冗談が言えるのも、

なにより3本目の【マンタシティ】でマンタが出たからなんですけどね✌








やはり【マンタシティ】

昨日の【野原ぞね】よりは、近くで、長い時間しっかりと見れます。
その分たっぷり写真も撮れます。





こんな感じで。







素敵な誕生日を迎えることができて、ヨカッターーーー!!

ありがとう!
おめでとう!







~毎日更新してます~
↓↓シーフレンズのインスタも見てね☆












ロープに手を添えて

2025年09月05日  [ ファンダイビング



初日の方がほとんどなので、まずは慣らしのダイビングを。
3日間、4日間もありますから、焦らず行きましょう!

ということで、大崎からスタートです。









生き物を見つつ、体も心も緊張がほぐれたところで、
2本目は【野原ぞね】へ。

最近、【マンタシティ】が振るわないので、より確率が良い場所へ。

とはいっても、上級者向けのマンタのポイントですから、万全な体制で。

一番浅い場所が25メートルを超えるので、
『フリー潜降』ではなくて『ロープ潜降』で。


ロープ一本を頼りに、水底が見えない暗い海の中をゆっくり進んでいくと、徐々に水底が見えてきます。

15メートル付近、インストラクターの差した指の先の先⋯

よーく目を凝らすと、黒い大きな影が複数現れてきました。






マンタが1枚、2枚、3枚⋯

一度に見えたのは、3枚。
たぶん5枚くらいが周辺をウロウロ。


深い場所なので、ダイビング時間は、30分と短め。
あっというまでしたが、内容は濃かったですね。

せっかくなので、もう一度【野原ぞね】にチャレンジしましょう。
ランチをとって、たっぷり休憩をとって。

先ほどと同じく、ロープ潜降をしつつ、2回目なのでより大胆に。
ロープから手を離して、ちょいと遠くへ。






マンタも探しつつ、お目当ては『ギンガメアジ』

2つの群れが重なり、大きな玉になり、また2つの群れに。
片割れの群れが、こちらに向かってきたり。
動きが多い群れでしたね。


本日のメインは、
野原ぞね、アンカーがけ 〜ロープに手を添えて。

次の機会があれば、もっと自由に泳いでみたいですね!!







~毎日更新してます~
↓↓シーフレンズのインスタも見てね☆







石垣のいいトコロ

2025年09月04日  [ ファンダイビング


今日は、ゲスト2名となりました。


ということで、今日は船もお休みして、『ゆいマーレ』さんの船へ。
人だけでなく、船もお休みを取らなければいけません。


ゲスト2名とスタッフ1人でお邪魔ます。





困った時は、お互い様。

石垣のダイビングショップは、お互い協力関係にあるので、
船のメンテナンスなどで、自社船を出さない時は、乗り合いをします。

シーフレンズよりいいトコロが見えてしまうのが少々難ですが⋯

こちらのリクエストも考慮していただいけるので、気兼ねなく、嬉しい限りです。

乗り合い先のランチが楽しみだったりもします😊







今日も3ダイビング、それぞれいいトコロへ行ってきました。
まずは大崎で、アオウミガメ。

そして、2本目はマンタ!!






マンタがいる海っていうのは、最大の魅力ですね。

しかし、水温が高くなってきて、マンタの出現率が悪くなってきてるのが気がかりです。

今日も、水中で30分経ってから、ようやく現れてくれましたから。

台風が来てくれると、水温が下がってくれるんだけど。
でも、巨大な勢力で来られても困るし。
石垣ダイビングならではの、この季節のジレンマです。

3本目は、洞窟へ。







石垣のいいトコロの紹介は、今日はここまで。
また明日!!

明日は、大人数で賑やかにいきます!







~毎日更新してます~
↓↓シーフレンズのインスタも見てね☆





まったり

2025年09月03日  [ ファンダイビング

昨日と打って変わって今日は少人数でスタート!

風も弱く、とーっても穏やか!


まったりダイビングしていきましょ〜


竹富北エリアで巨大なコモンシコロサンゴを見て


お次はヨナラへ



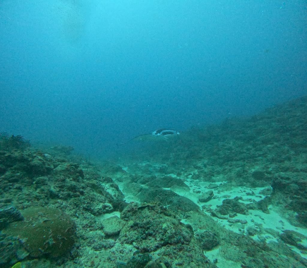
残念ながらマンタには会えませんでしたが


代わりにとっても大きいマダラエイに遭遇!


ラストは西表島の地形ポイント


天気がいいのでよく光が入ります✨️



テンジクダイも沢山!



船の上も海もまったりの1日でした(*^^*)

ご参加いただきありがとうございました!

【本日のLOG】

テンジクダイと⋯

2025年09月02日  [ ファンダイビング


今日は小魚、小魚、小魚⋯










まず朝イチは、
竹富島の砂地の【ビタローの根】から。

ビタロー(ヨスジフエダイ)のお株を奪うほどの、
数で圧倒するスカシテンジクダイが、見どころ。

岩に近づけば、キンメモドキも圧倒。






竹富島をあとにして、次は御神崎へ。
ここでも、小魚、小魚、小魚⋯





【御神崎・コーラルウェーブ】では、
洞窟などの暗がりを好むウスモモテンジクダイが、いっぱい。

いっぱい過ぎて、洞窟から溢れてしまってます。
見上げたら、壁いっぱい。







捕食者にとっても、絶好の場所のようですね。
カスミアジがウロウロしていました。

さて、小魚、小魚、小魚と続いたので、
もちろん3本目は、大物を狙いましょう!







ただし、マンタが見れたのは全員ではありません。

一瞬で通り過ぎてしまいました。
クリーニングステーションにも目もくれず、直進。





ということで、

今日は、
【テンジクダイと⋯一部の人がマンタを見ることができました】

でした。








~毎日更新してます~
↓↓シーフレンズのインスタも見てね☆




『夏』のパナリ

2025年09月01日  [ ファンダイビング



8月が終われば、夏休みが終わりの人も多いでしょう。
9月になれば、新学期が始まりますよね。


もう『夏』は終わったのかもしれませんが、
石垣は、まだまだ秋の気配は感じません。

まだまだダイビングを求めて来られるお客さんがたくさんいます。





そして、とてもいい天気です。

まだまだ安定した海況なのですがッッッ!!


マンタを求めると毎日同じ方向になってしまうので、
今日は、離島方面に行きます。


いつもとは違う景色を求めて。

まずは、【竹富島】の沖合いから。
魚影を求めて。







グルクンやカスミチョウチョウウオなどの魚影は濃いのですが、
大物のイソマグロは見れずじまい。


2本目は、【黒島】へ






ウミガメに会って、地形を楽しんで、

黒島の沿岸で、ランチをとって、

お昼寝をして。


3本目は、【パナリ】へ。
パナリの本番は、水温が低い冬の時期ですが。





結局、ここでもマンタを期待しちゃうわけですが、
もちろん、というか、残念ながら、
NOマンタです。



行き先がたくさんあると、
悩ましい部分がありますが、
それも魅力のひとつとして。

明日は、違う魅力を求めて〜






~毎日更新してます~
↓↓シーフレンズのインスタも見てね☆


ファンダイビング日記

体験ダイビング日記

日記カレンダー

2025年9月
1234567
891011121314
15161718192021
22232425262728
2930  

カテゴリー

コメント

アーカイブ

▲ページトップへ戻る▲ページトップへ戻る