2022年 2月の記事

のんびりフォトダイブ(*^^*)

2022年02月27日  [ ファンダイビング

こんにちは!

昨日と同様晴天!!とはいきませんでしたが、
寒さも厳しいものでは無く、島陰でのんびり('◇')ゞ
写真大好きなゲストさんとマンツーだったので
のんびりフォトダイブを楽しんできました~♬

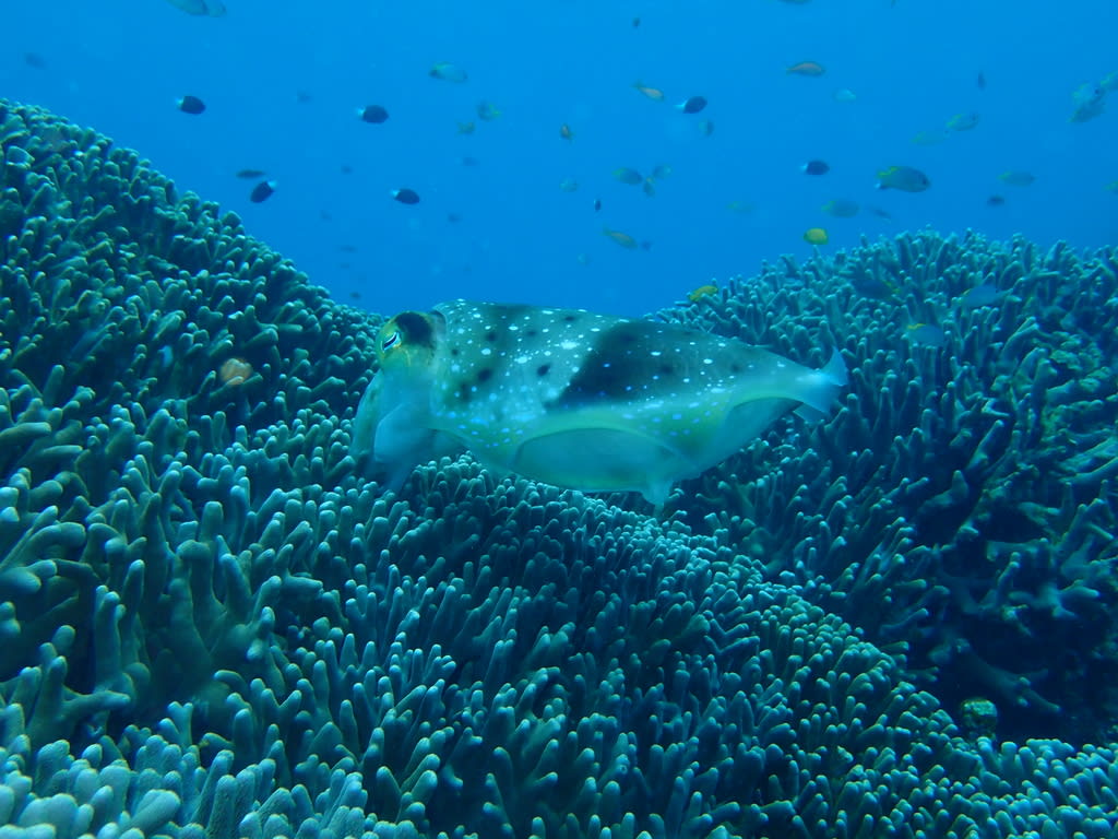
1本目 大崎ハナゴイリーフ

まずはコブシメです! 前回潜った時と同様、
メスはサンゴに卵を産み付けていましたよ(^^)

よいっしょっと!



オスも立ち合いでの産卵です。
見守るオス。


邪魔だー!どっか行けー-!!
と、パートナーに近づくコブシメ達を追い払っていました。


私達が観察していたときは、2ペアが成立し♡
産卵している様子を観察することが出来ました!
コブシメ劇場、楽しいです!!(⋈◍>◡<◍)。✧♡

カメちゃんもペア成立♡
いや、ツバメウオの片思いか!?
カメちゃんが寝ている時も、泳いでる時も
後ろをぴたっとキープ。ストーカー……。


小さい子は色が淡くて可愛いですね~


アカネハナゴイやキンギョハナダイの群れている根は、
相変わらずスカスカしていたので、キンギョハナダイのオスをパシャリ。
正面で、キレイな胸鰭を撮りたいなあ~(; ・`д・´)



2本目も大崎です。 アカククリの根



頂上まであと少し!険しい道のりもあと少し!


なんか、笑ってるように見えるのは私だけかな?
ダイアナウミウシがせっせと歩いてました。


クマノミーズ達は正面から♡



イソギンチャクモエビ、イソギンチャクエビ。




アマミスズメダイの幼魚ちん。正面から撮りたいのに、撃沈。 
しっかり両サイド見せてくれました。ありがとう( ノД`)シクシク…




今度は粋なデザイン。 頭のV 見せてね。


お昼を食べて、
3本目は名蔵 ロコロック

サンゴ畑は何度行ってもたまらなく気持ちイイ!
離れたくなくなる空間でした(≧▽≦)


見ると、つい撮ってしまいます。。


おさまりきってないよ。。。↓


ニセアカホシカクレエビはよく見たら卵もってますね。
スケスケなんで、見えちゃいます(*ノωノ)



いつも見ている子より色が地味だったので、
本当にセンテンイロウミウシか不安になりましたが、、
センテンイロウミウシもなかなかの速度で移動中!


のんびりフォトダイブ、私も楽しかったです(*^^)v
ありがとうございました!!

今日のログ↓




今日もマンタ

2022年02月26日  [ ファンダイビング


そろそろ2月が終わりますね。
今月は、雨が多かった気がします。
風も強く、寒い日が続きましたし、
ダイビングでは、マンタに会えない日が続きました。

今日は、ひさびさの南風。
空は高く、お天道様が顔を出してくれました。
気温25℃
ちょっぴり冷たい風が心地よい気候です。

イイ感じです。
特に昨日は、「クマドリ」と「ブラック」!!

今日もブラック!?






いえ、ホワイトでした。
~ふつうのマンタです。

いえ、お目当てのマンタでした。

ふつうと言ってしまっては、バチが当たりそうですよね。
(゚Д゚;)






黒島に来てよかった~~~!!






朝イチの温泉も良かったね☆













遂に導入!!
シーフレンズ公式LINE始めました♪
最終確認のご連絡やご質問は、こちらへどうぞ♬








レア中のレア

2022年02月25日  [ ファンダイビング






本日午前11時半ごろ、黒島の仲本ケーブ入口付近のガレ場にて。





レア中のレア
【クマドリカエルアンコウ】

大ニュースです!!
言葉に表せられない、偶然の出会い。
速攻ダイバーに囲まれました。

年に一度、会えるか会えないか、
そんな宝くじ並みの確率の出会いがもう一つ・・・











この二日間おあずけだった、
マンタがフィーバー!!

(たぶん10枚くらいいたのかな)

その中に・・・!!

ブラックマンタ!!









「クマドリ」「ブラック」が、一日で見れるなんて、
一生に一度あるかないかでしょう~~~


と言ってしまっては、今後は見れないと宣言してしまうようなものですが・・・
石垣では起こりえることでしょう!
(*^-^*)

また会いたいですね~~~
(≧▽≦)



















遂に導入!!
シーフレンズ公式LINE始めました♪
最終確認のご連絡やご質問は、こちらへどうぞ♬



イルカ様のご登場!

2022年02月24日  [ ファンダイビング

こんにちは(^○^)

昨日は時化て2ダイブで終了となりましたが、
本日は何とか3本無事潜って帰港('◇')ゞ
ポイントは絞られてしまいましたが、
安全第一で、、海は繋がっているので、、
どこに何が出るのかは分かりません!!


1本目、出来るだけ水の綺麗なポイントを選んで。

わくわく!ドキドキ!いい笑顔(*^^)v




いざエントリー。
マンタ、来ないかなぁ~なんて思いながら泳ぐものの
そう簡単には現れてくれません。( ;∀;)




地形も楽しみつつ冒険していたら
カクレクマノミファミリーがいました。
上手に撮ってあげられなくてごめんね( ゚Д゚)




潮当たりの良い所にはグルクンがたくさん!
ダイバーを気にすることなくモリモリご飯食べてました!!
プランクトンってそんなに美味しいのね。。


2本目は宮良 クマノミ城です。

エントリーしてすぐに目に入ってきました。
米粒サイズのウミウシちゃん。
うねりに負けじと、頑張っていました!!(^O^)





私はうねりに負けてポンコツ写真になりましたが、
ゲストさんもしっかり見て、撮っていたし!いいか!(*'▽')




おめめがキレイに撮れました。
可愛い(⋈◍>◡<◍)。✧♡


クマノミ城はうねりでハマクマノミたちもゆーらゆーら。
ダイバーもゆーらゆーら。( *´艸`)

イソギンチャクを堂々とおうちにしていた
オランウータンクラブ(ミナミクモガニ)
ばっちり目、合ってます!!





少し前にコブシメがいたみたいなので探してみましたが、
見つからず、アオリイカがいました(*'▽')



3本目は宮良 トカキンリーフへ

大物を求めてエントリーしましたが、流れが強く
なかなか前に進みません(; ・`д・´)

可愛いイソギンチャクに
可愛いハマクマノミが住んでいたので思わず♡




流れがきつい中、ものすごい勢いで泳いでいる
別のチームがいたのでこれはマンタか!?
と、ついていくとなんとまさかのイルカちゃん!

一瞬の出会いで、その後も探しましたが出会えず。
水中で響くイルカの声に癒されました(≧▽≦)


そしてエキジット後に再アタック!



なんとかカメラで写すことが出来ました!
マンタには出会えませんでしたが、イルカに出会えるという。
最高な一日になりました。

今日も一日ありがとうございました!!

今日のログです。


明日もよろしくお願いします!!






遂に導入!!
シーフレンズ公式LINE始めました♪
最終確認のご連絡やご質問は、こちらへどうぞ♬



モーニングダイブ

2022年02月23日  [ ファンダイビング


今日は変則で、早めの出航。
最初のエントリーが朝8時前。
いつもより、1時間前倒しのスケジュールです。




なぜかって??
天気が大荒れになる予報だからなんです。


正午には、風速20m/sと台風並みの風が吹くようです。
用心しながらのダイビング。














予報どおり、2ダイブ後の10時半には、海は大荒れ、急いで港に帰りました。

本日は、
【1本目】竹富海底温泉
【2本目】じゃがりこ
でした。






遂に導入!!
シーフレンズ公式LINE始めました♪
最終確認のご連絡やご質問は、こちらへどうぞ♬



マンタで、お腹いっぱい♡

2022年02月22日  [ ファンダイビング


こんにちは!
今日は最高気温22℃で、昨日、一昨日のような
震える寒さは無く、快適なダイビング日和だったように感じます!

離島方面。まずは竹富島で周辺で1本!
少し前に潜った時にいた可愛い子ちゃんはまだいるのか!?
と、確認せずにはいられなかったので直行です!!


以前と同じところに、いたぁ~~(⋈◍>◡<◍)。✧♡
写真はボロボロでしたが、ゲストさんも水中で悶絶♡♡
一生見ていられる可愛い子ちゃん!!

同じ根にタテジマキンチャクダイの幼魚も♬
今日は奥に隠れる事無く観察しやすかったですね!


いつ見ても目を引かれる模様です!

他にも




そして、藻に負けじと今日もお口全開で!
アイドル、ハナヒゲウツボ(*^▽^*)





水は相変わらず冷たかったですが、
それを忘れる癒しがいー-っぱい(^○^)


そして南へ!黒島で水面マンタ発見!
近くにいる事は確かですが、見れたらいいな~
とエントリーすると、すぐに一枚のマンタがすー-っと!

その後も二枚のマンタが前から目の前を通過してくれたりと、
チームによって見れる見れないありましたが、
見れたチームはラッキーでしたね!!

小さき物にも癒しを求めて!(^^)!
表情が良く見えますが、何を考えているかは分かりません!


こちらは、俺に気づいてくれるなよ、という気持ちが
ひしひしと伝わってきました!!可愛いなあ!♡


沢山の生物に癒され、地形と共に楽しめました!

でもでも、今日はここからです!!
マンタ。いっぱい見てきましたー--(≧▽≦)

船の上から1、2、3、4、、、
何匹いるんだ!?とにかくマンタ
あっちも、こっちも、マンタ!マンタ!マンタ!!






あっちにマンタ発見!でも真上にもマンタ!
という贅沢なダイビングになりました( *´艸`)
最高の一言です。
あー-!お腹いっぱい(≧▽≦)

今日も一日ありがとうございました!!


本日のログ↓









遂に導入!!
シーフレンズ公式LINE始めました♪
最終確認のご連絡やご質問は、こちらへどうぞ♬



昨日ほどでは…

2022年02月21日  [ ファンダイビング

こんにちは!
昨日はビュービュー風に吹かれて極寒でしたが、
気温も少し上がり、風もおだやかで
昨日ほど寒さは感じませんでした。

今日は石垣島周辺で3本です!!
リクエストのマンタは本日も見れるのか!?
1本目はゆったり行きましょう。

名蔵ロコロックへ


迫力のコモンシコロサンゴ!
動かずともオーーラがありますね!!


キレイなサンゴ畑の癒し空間♬
いくらでも見ていられます♡

思わずピーース(*^▽^*)


黄色い身体に黒のストライプが目を引く
ヒレナガスズメダイもたくさんいました!
よくみるとホクロついてるんですね!


ギョロッ(; ・`д・´)


チラッ(; ・`д・´)


透明度も良かったので気持ちイイ1本目でした!

2本目のポイントへ向かう途中に水面マンタを発見!
これは期待がフくらみます!!

2本目 大崎アカククリの根

マンタ狙いで!!と中層を泳ぎ探してみたものの、
んー---。。簡単じゃないなあ。
少し休憩しつつ、アカククリやクマノミたちの元へ

おっと!水底を2匹のマンタ
スーーーーーーッと!!!
素通りなので写真にはおさめられませんでしたが…
みなさんみれたので一安心(*^▽^*)


視界どうなってるんだろうか…
とっても視野が狭そうに見えるけど。(笑)



お昼休み中に水面マンタを一枚確認!
シュノーケルしますかと尋ねると、やります!!
との事!(^^)! レッツゴー!!



カメラの調子が悪くこれが精一杯。(^▽^;)
見れて良かった♪ 

ランチを食べてぬくぬくしている時でしたが、
冷たいウエットスーツを着て海に入っていく気合いに
昨日も今日も感動しました( ;∀;)!!
毎日見ても飽きないマンタ。
初めてみるゲストさんは本当に感動するんだろうなぁ~


3本目は大崎ハナゴイリーフへ!


すぐ近くにいたのでカメちゃんにご挨拶を!
全然こっちに構ってくれなかったので、
また別の子を探しに…





ニモと(⋈◍>◡<◍)。✧♡



なまこと(⋈◍>◡<◍)。✧♡





そして、コブシメのメスは
サンゴの隙間に、卵を産み付けていました♡


あっちへ行って、こっちへ行って、サンゴの上に戻って~
と、メスがふらふら。
オスも周りをうろうろと…







マンタも見れたし!コブシメの産卵も見れたし!
今日も一日楽しく潜れました(^○^)

本日のログ↓



明日もよろしくお願いします!





遂に導入!!
シーフレンズ公式LINE始めました♪
最終確認のご連絡やご質問は、こちらへどうぞ♬



極寒

2022年02月20日  [ ファンダイビング


気温が、15℃を切りました。
北風が吹いて、雨がぱらつく曇天。
海の上は、激サブです⤵⤵







内地の人たちからしてみれば信じられないでしょうね。
(特に、雪国の方々には)

南の島にとっては、凍えるほどの今季イチの寒さなんです。

シーフレンズでは、お茶、コーヒーなどの温かい飲み物やカイロをご用意してます。
フードベスト、ボートコートも無料で貸し出し中。
ダイビングから上がった後に嬉しい、温水シャワーもありますよ。
特に大型船なので、揺れも少ないし、すきま風がありません!!
(それでも酔っちゃう人はいますけどね・・・)






しっかり防寒対策をして、穏やかな場所でスリーダイブ。
東3本コースです
海はつながってるので、いつどこでマンタは現れるか分かりません。
淡い期待を抱いてダイビングへ~~








本日も、安全にダイビングは終了~~~~
極寒のダイビングでマンタも見れませんでした。。。



と、思いきや

帰港の途中に水面でマンタを発見!!
乾いた服に着替えた後だけど、もう一度冷たいウェットスーツに袖を通して




さすがにこの寒さ。
全員では見れなかったのは残念ですが、
写真でどうぞ!!










今日もマンタを見れた(?)ってことで!?
次は、天気のいい日にダイビングしたいですね!!
(>_<)








遂に導入!!
シーフレンズ公式LINE始めました♪
最終確認のご連絡やご質問は、こちらへどうぞ♬



パナリ!!

2022年02月19日  [ ファンダイビング


今日は、黒島方面へ!

昨日の大崎ほどではなくても、マンタを期待しつつ・・・















今の黒島に、マンタはいないようですね。。。

こうなったら、最後は【パナリ】に賭けるしかありません。






1枚のマンタが目の前を優雅に舞いました。
(≧▽≦)

よかったーー-、今日も見れて♡








遂に導入!!
シーフレンズ公式LINE始めました♪
最終確認のご連絡やご質問は、こちらへどうぞ♬





マンタのいる方へ!?

2022年02月18日  [ ファンダイビング


そらぁ、黒島にマンタがいないわけだ。






大崎にいっぱいいるじゃない!?
気が付けば水面にマンタがいっぱいいるじゃない!?






昨日は、張り切って黒島に行ったものの、マンタはスカ。
そのかわり、大崎にいたとの情報で今日は来ました。
一時期の黒島のようで・・・






大崎はいいよね~~~
マンタに飽きたら、休憩しながら、のんびりダイビングができるし。










体力をリチャージできたら、またマンタにいけばいいし!

「飽きたら」って、贅沢な悩みです。
昨日までそんなに見れてないなかったのに。
(≧▽≦)








明日も大崎にいるかなぁ~





遂に導入!!
シーフレンズ公式LINE始めました♪
最終確認のご連絡やご質問は、こちらへどうぞ♬



ファンダイビング日記

体験ダイビング日記

日記カレンダー

2022年2月
 123456
78910111213
14151617181920
21222324252627
28  

カテゴリー

コメント

アーカイブ

▲ページトップへ戻る▲ページトップへ戻る