2020年10月13日 [ ファンダイビング ]
こんにちわ、昨日からマンタに会えてますけど、今日まで行けるのかな???
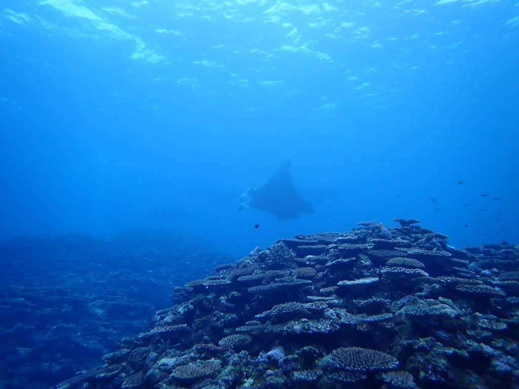
じゃーんマンタに会えました!!!!!!!!!!!!!!!!!!!!!!!!
その数6枚(^^)/
自然とこんなポーズもでちゃいますよね!(^^)!
今の時期は行ければマンタがフィーバーなのですが・・・・・・・・
北風が強くふくとマンタポイントには行けません(´;ω;`)ウッ…
サンゴも白化現象を乗り越えたみたいで一安心です♪
他には大崎や桜口でのんびり潜って来ましたよ。
2mmくらいのキマダラウミコチョウ
ぼけてますけど、栄養袋をもったイカの幼体です。
ミヤケテグリ今日はペアーで登場してくれました。
アーチも楽しんで来ました!(^^)!
明日はどこに行けるのかな???
それでは、またあした(^^)
2020年10月13日 [ 体験ダイビング ]














▲ページトップへ戻る
コメント