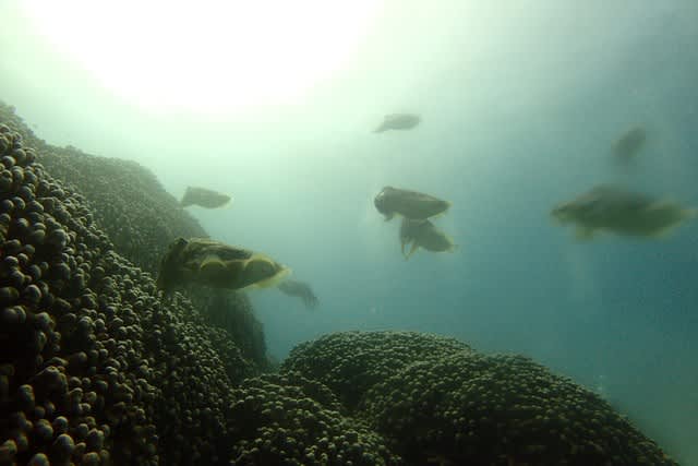
2018年04月30日 [ ファンダイビング ]
行っちゃいました!波照間島!
ポイント:パナリビッグコーナー 波照間北ドリフト 波照間ニシバマ
コンディション:南の風 波:1.5m 気温:28℃ 水温25℃ 透明度~30オーバー
はいさい!
そうなんです!いっちゃったんです波照間島!!!

いつぶりですかね~シーフレンズの波照間遠征っ!!
いや~良かったなぁ~~🎵
と!その前に まずはパナリでマンタを狙ってきましたよ!
最近フィーバーしているこのポイント
今日は数こそ少なめでしたが、ばっちりとマンタさん登場してくれました!(^^)!
マンタでテンション上げて、 さらにアゲるために波照間へGOGOです\(^o^)✨✨
向かう道中から海の青さが違いますねっ(≧▽≦)
さらにオキゴンドウの群れも登場っ!!写真はないっすすいませんm(__)m
皆さんテンション上がりすぎでしたよ~
超楽しそう!みんな最高の笑顔でございます(*´ω`*)
到着した先では、まずドリフトダイビングしてきましたっ!
潮当たりの良いリーフで待ち伏せをしていると
大きなイソマグロがドドドーーっと通り
ホワイトチップシャークがしゅるりと泳いでいたり
なにより透明度がめっちゃ良くて!は~~たまらなかったですね(V)o¥o(V)



最後は砂地でのんびりハーフフリーダイビングでした~
ラストはみんなで集まって集合写真をパチリ📷
キレイな波照間島の海で 皆さんの心も体も笑顔もリフレッシュ(^^)/
楽しい楽しい遠征ダイブとなったのでした!!!
明日もゲスト様がたくさん遊びに来てくれます!
たっぷり楽しんでいきましょ~~~(#^^#)
~今日の1枚📷~
「 つぶれたヒキガエルポーズのまっちゃん❤ 」

アデュー
2018年04月30日 [ 体験ダイビング ]
波照間島マンツーマンスペシャル体験コース(*^▽^)/★*☆♪
writer:てるぽん
ポイント:パナリマンタポイント 波照間ニシバマ
コンディション:南の風 波:1.5m 気温:28℃ 水温:24~25℃ 透明度~30mオーバーっ✨✨
はーいはいはいはーーっい( ☆∀☆)( ☆∀☆)
今日はまさかまさかーーの波照間島っ‼️‼️‼️
しかも体験チームマンツーマンのスーパーハッピーラッキーday v(o´ з`o)♪
しかーも!人生初ダイビングのゲストさま!
こんな日に遊びに来ていただくなんて、強運すぎますぞーーーっ(≧∇≦)♥️♥️
まずは行きがけに パナリ島周辺へいきましたよっ!
天気も最高!早く海に入りたくなっちゃったので、
レクチャーをしっかり受けて、朝イチから潜っちゃいましたよー(°▽°)🎵
初のダイビング器材に呼吸器での呼吸に はじめはちょっとドキドキもしました が!
そんな心配最初だけでしたっ(^o^;)🎵
気がつけば スイスイィ~~っと泳いでるじゃあーりませんかっ!?(>_<)

ソフトコーラルを枕にようとしてみたり
いぇいっナイスピース( *´艸`)
海との相性がバツグンですねーー💡💡
ファーストダイブっ なかなかの潜りっぷりにびっくらぽんでした(*^¬^*)🎵
その後はあの島!
日本最南端の有人島、波照間島でございます!!(*⌒3⌒*)
はいっ!!なーんぞーこれーーっ!!スーパーブルぅーー(@ ̄□ ̄@)♥️♥️
これまた上手に泳ぐゲストさま✨

たっくさんのお魚たち✨
かわいい〜 カクレクマノミちゃんとの記念撮影✨
どこを撮ってもブルーでクリアーで素敵すぎますっ( ☆∀☆)
もはやファンダイバー??ってくらい余裕のよっちゃんで、
最高の海を堪能できちゃったのでしたっ(≧∇≦)☆☆
そーんな感じでテンション高く 波照間島を満喫しちゃった体験チームなのでしたーー(* ^ー゜)ノ🎵🎵
初波照間ダイブにテンション上がっちゃったテルでした💓
自❤撮
2018年04月29日 [ ファンダイビング ]
ポイント:黒島マンタランチ・パナリ竜宮の根・パナリマンタポイント
コンディション:東南東の風 波:1.5m 気温:28℃ 水温:23℃ 透明度15~25m
はいさい、ヨッシーです(^^)/


今日の石垣島朝は雲も多かったのですが、午後からはピーカンで最高のお天気になりました♪
今年のGWは風が穏やかな時はできる限りパナリ方面でマンタを狙いながら離島も楽しんじゃいますよ!(^^)!
一本目の黒島は水面こそは濁りがありましたが、水深を下げると青い海が広がってましたよ。


カメさんも本日は5~6匹登場です!!マンタランチポイントからカメパラに夏は名前を変更しない
とダメすね(;´∀`)
2本目は久しぶりにパナリ竜宮の根です!!!!!!!!!!!!!!!!!!!!!!!!
青いぜぇ~~~~~~~~~~~~~~~~~~~~~~~~~~パナリの海青すぎてテンションは
スタッフの方がアゲアゲでした(;^ω^)水中も流れもなくのんびりゲストの皆様はバディー潜水
でオールフリータイムで楽しんでもらいましたよ(^○^)


ランチタイム後は、お子様乗船のあかりちゃんとあきと君とたつき君もパナリブルーの海を満喫
しちゃいましたよ(≧▽≦)
ラストは、お待ちかねのパナマンです!!水深5㍍と浅い場所で優雅にホバリングしててくれましたよ♪
マンタ以外にもグルクンの群れが今日は凄かったですよ(*´ω`*)
そんな感じで本日は、パナリ&黒島の海が最高でしたよ!!!!!!!!!!!
明日も天気がよさそうですけど、どこに行きましょうかね???
——————————————————————————————————
こちらからチビ船チームのブログで~~~っす(=゚ω゚)ノ✨
writer:てるぽん
ポイント:竹富南ウミウシ谷 竹富南フカノヤー
コンディション:南東の風 波:1m 気温:27℃ 水温:24℃ 透明度~25m
はいは~っい(≧▽≦)🎵🎵
本日は午前到着のゲスト様と一緒に 到着後ダイブっ
しかもアリサⅤ号貸し切りのマンツーマン2ダイブしてきましたよ~ん☆☆
まず野郎2人で何を見て来たのかというと・・・
海の宝石!ラブリージュエリーなウミウシでございます(V)o¥o(V)
野郎だってかわいいのが好きなんだいやいっ!!!!\(^o^)/❤
かわゆい子たちが続々とお目見えですよぉ~♪♪


うねりに負けじと踏ん張る姿!好きなんですけど、
なんか 「うぬぬぬ~~~っ」って声が聞こえてきますよね~(*´▽`*)♨
↓ ↓ ↓
おぉっ!!レアキャラ コンシボリガイっΣ(・ω・ノ)ノ!
しか~もペア~じゃないですか~~ん❤
透き通るボディと お耳がかわいいかったです~~(≧▽≦)🎵🎵
ちびっ子でぬくぬくほっこりしましたので、2本目は泳いで回遊魚狙いっ☆
30センチくらいのかわいいイソマグロチビ群れ!🐟🐟
1mくらいの大きなナポレオンフィッシュ!!
は 会えたけど写真は撮れませんでした~~~(^^;
で~もっ!思わぬところでコブシメちゃん登場っ☆
たまらんジト目でこっちを見つめてくれましたよっ(∩´∀`)∩🎵🎵
2本通じてすっきりぴっかりナイスブルーの海でしたっ!
はぁ~~~~っ気持ちのいい1日でした(^^)v☀☀
2018年04月28日 [ 体験ダイビング ]
本日は、還暦を迎えられたご夫婦とその子供たち。












2018年04月28日 [ ファンダイビング ]
海神様絶好調\(^o^)/!!
writer:てるぽん
ポイント:竹富北じゃがりこ 竹富南シャークホーム パナリマンタポイント
コンディション:東の風 波:1.5m 気温:28℃ 水温:23℃ 透明度~20m
どもどもーっ!
なんですかーっこのいいお天気はっ!毎日最高だー( ☆∀☆)☀️☀️

大型連休中もずっとこんなコンディションならうれしいな〜〜っ(´ 3`)💡
はてさて、そんな本日
1本目は 竹富北じゃがりこ!
まだまだコブシメのピークが終わりません!!
オス同士の喧嘩 ラブラブの交接シーン 産卵シーンなど

コブシメをフルコースで堪能できちゃいますね!(≧▽≦)
連休中に来られる方にはぜひ見ていただきたいですね~くコ:彡くコ:彡
2本目はほいっ 竹富南シャークホーム!!
見つけるとメロメロになっちゃうかわいさ、ピカチュウウミウシ!
探しはじめて2分くらいで見つけちゃいましたっラッキーv(o´ з`o)♪
むほほと笑い顔のワライホヤも嬉しそうに笑ってました~~♪
ラストは一気にパナリまで移動! パナリマンタポイントでマンタを狙いますっ!!
ポイント到着☆
!!??っというか すでに水面からマンタの影があっちこっちに確認できるじゃあーりませんか!!(*^¬^*)
いざ大きな期待でエントリー・・・

はい。最高です(///∇///)♥️♥️


なんて素敵なんだまんたちん!!
最高のマンタフィナーレを飾ってきた本日のシーフレンズだったのでした〜〜(^3^)/
2018年04月27日 [ ファンダイビング ]
ポイント:黒島・パナリ・竹富南
コンディション:北東の風 波:1.5m 気温:25℃ 水温:23℃ 透明度15~20m
はいさいっ、ヨッシーです!(^^)!
風も穏やかで天気もいいので一本目から黒島までゴーゴーです!!!!!!!!
スーパーエメラルドグリンの青い海を期待してたのに透明度はチーン・・・
一本目は、透明度は悪かったですけど大きなカメさんと本日のゲストみなさんで
カメと集合を写真を撮っ
てきましたよ(=゚ω゚)ノ



アーチもくぐったりして楽しかったですね♪
カメさんと集合写真も撮りましたので、次はマンタと集合写真を撮りにパナマンに
行ってきましたよ(#^^#)


ここまで来ると透明度もアップしていい感じです。
肝心のマンタさんも本日は、3~4枚登場してくれましたよ(^^)/

ここでもばっちりマンタと集合写真をとってきましたよ♪
ラストは、マグロと記念撮影するつもりでしたが、
2018年04月26日 [ ファンダイビング ]
海も空もたまらぬ青でっ(∩´∀`)∩💓💓
writer:てるぽん
ポイント:竹富南じゃがいも 大崎ハナゴイリーフ 名蔵ロコロック
コンディション:北東の風 波:1.5m 気温:25℃ 水温:23℃ 透明度~20m
はぁ~いさい!(^^)!
みてくださいみてください~~~っ✨
今日はこぉ~~~んなに素敵な海&空っだったんですよ~~(≧▽≦)🎵
ゴンちゃんもうれしそう~~~🐶💓
照りつける太陽は強烈でしたが、気温が25℃と涼し目で
トータルするととっても過ごしやすい気候の1日となりました!サイコ~☆
午前到着後のゲスト様がいたので 1本で1度帰港のコースです!
1本目 竹富南じゃがいも!
水面も穏やかでナイスですね~!(^^)!
砂地エリアだけ 透明度がもやっと感ありましたが
逆にそれが幻想的ですてき~~☆
そんな砂の上でもぞもぞ 朝ごはん中のヤッコエイ!!ぜんぜん逃げません~(#^^#)
スカシテンジクダイのチビもぷやぷやかわいくメダカの学校ですね~
夏に大爆発してくれるのが楽しみだ~(^^♪
さて! ゲスト様を港でお迎えして
2本目 大崎ハナゴイ・カメ!!
カメさんリクエストいただいた居たので のほほんアオウミガメに会ってきましたよ♪
日向ぼっこカメさんとかしまし3人娘でハイチーズ📷✨
水面近くで遊んでいるカメさんも発見👀!
天気がいいのでシルエットも素敵になりますね~🎵🎵
ぬらぬら光るウコンハネガイ
ものっそいエビ反りのイソギンチャクモエビ
居ついてくれてるタツノイトコなんかもゲットでした~(^○^)
お昼休憩もナイス晴天っ☀
釣り~もしてたのしみました~~~ 
がっ!
根掛かりしてチーンなお顔のゲスト様でした~(*´з`)笑
<地球が釣れちゃったっ🌍
ラストは 透明度の良しっ☆ 名蔵ロコロック!!!
透明度ばっちり!浅い水深!天気よしっ!サンゴいっぱい!スズメダイ星の数っ!!!
こんだけコンディションそろえば そりゃ~~極上のリラックスダイブになりましょう!!
ふわふわ~ のほほんのびのびぃ~~~ん~~ ♨♨♨
OW講習のゲスト様も飛びきりのサンゴ畑の上を
上手に気持ちよさそうにお散歩してました~~ ナイス~(^○^)🎵

そぉ~んなかんじ~っで サイコーのお天気ダイブしてきたシーフレチームでしたっ(=゚ω゚)ノ❤
2018年04月25日 [ ファンダイビング ]













2018年04月24日 [ ファンダイビング ]
マンタもあえてハッピーv(´・∀・`*)v
writer:てるぽん
ポイント:大崎ハナゴイリーフ 石崎マンタシティポイント 屋良部崎
コンディション:南東の風 波2m 気温:28℃ 水温:23℃ 透明度~15m
はいさいどもども~~(^3^)/✨
前線の関係で、晴れたり曇ったり雨落ちたり忙しい天候の石垣島です(´ 3`)
風向きは南東とかなり蒸し暑い風ですので、寒さのストレス無く潜れるのはいいですね(о´∀`о)☀️
1本目は 大崎ハナゴイリーフ!
ここのアイドル、寝坊助アオウミガメに朝の挨拶からいってきましたよ🐢☀️
中国の犬 朕(チン) に顔が似ている チンアナゴ
そのよこで団子になっていた1匹のウミヘビさん!?

アナタナニガシタイノデス??(^^)??
海藻になりきっていたのは タツノイトコ ちっちぇ~ぜ
これまたチビサイズのヒレナガスズメダイ幼魚!
小さすぎて 名前になってる ヒレナガ がまだ長くないですね〜 かわいい(о´∀`о)♥️
水玉のスミツキベラ幼魚も素敵・・・ !?!?
志村うしろーーー!! オニダルマオコゼがすぐ下で捕食しようと狙ってました(; ・`д・´)あぶね~
お次は船を北に走らせ 石崎マンタシティポイント!!
丁度入れ違いのショップさんがいたので どうだった~??っと聞いてみたら
ぜんぜんアカン!! ですって(;^ω^)
いやだな~ こわいな~ っとエントリーしましたが・・・

あんれま~~~!!あっさりばっちり会えちゃった(●´ω`●)
やはりマンタへの愛が伝わったのでしょうか!いやそうに違いないっ❤❤

なぁ~いすマンタでウキウキハッピーになれました(#^^#)
最後は 屋良部崎!!
大物狙って泳いでいると なにやら先の方に群れている影が・・
!?バラクーダの群れかっっ!!! っと大急ぎで寄っていくと

って カマスか~~~~いっ(‘Д’)💦💦
似たようなフォルムにまんまと騙されてしまったのでした!
しかし!あまり逃げもせず遊んでくれたので楽しかったですよ(*´ω`*)
あとは可愛らしいウミウシたち~

ショートケーキのような子もいましたね🐄🐄
そぉ~んなこんなで楽しんできたシーフレチームでしたっ(^_-)-☆
2018年04月23日 [ ファンダイビング ]
ポイント:①竹富・じゃがいも ②竹富・トカキン ③竹富・サブマリン
コンディション:晴れ 南東の風 波1.5m 気温27℃ 水温24℃ 透明度~20m
昨日のマンタはすごかったーー!!
ヨッシーさんの執念がすごかったーー!!
皆さん昨日は、迫力あるダイビングをしましたので、今日は少人数ですし、のんびり、まったり行きましょ!

更に、天気がイイっ!!


竹富3本コースです。
(移動が少ないから、今日はお昼寝タイムがたくさん取れるな。(^_-)-☆)
まずは、砂地から。
透明度があまり良くないですけど、生き物はたくさんいましたね。
ハゼがいたみたいです。(ヤシャハゼ/ヒレナガネジリンボウ)


クマノミの子供たち

ハダカハオコゼ

ナマコに隠れてるのに、なぜか「ウミウシカクレエビ」

真上から、ど~~ん!!
ウナギの仲間なのに、「ミナミホタテウミヘビ」

お次は、深いところで、マグロ狙いで!!


潮の時間帯がバッチリだと、最近はかなりの確率で見れてます!!


ふっといすねーーー!
後ろにうっすら写るマグロと「ハイ、チーズ!」
ランチと昼寝を挟んで、ラストは地形ダイビング!
ポイント名の由来となる岩↓

皆さん、素直に「潜水艦」に見えたようです。
よかった。ひねくれた方がいなくて。(^○^)
あとは、水中トンネルをガンガン泳いで、くぐって、今日は終了っ!!



↑これ、なんかカッコいいですよね!?(≧▽≦)
BYまっちゃん

▲ページトップへ戻る
コメント