2018年02月27日 [ ファンダイビング ]
しかも好天をマンツーマンで🎵🎵
writer:てるぽん
ポイント:大崎ハナゴイリーフ 屋良部スペシャルマンタ 屋良部崎
コンディション:東の風 波:1.5m 気温:24℃ 水温:22℃ 透明度~20m
はいはいどもどもこんにちわーーっ(* ̄∇ ̄)ノ☀️
今日はっ!朝から素敵なお天気模様っ!!!
朝焼けからキラリっと気持ちの良い石垣島となりましたよー(^_^)v
ゲストさまは2人!スタッフそれぞれマンツーマンで水中へお連れしてきました~p(^-^)q♨️
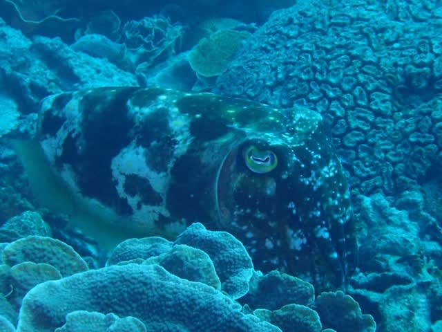
1本目っコブシメがたっくさんだぁーーー🦑🦑
ふよふよUFOのようなコブシメの泳ぎ、おもしろいでねぇ〜〜☆☆
もりもり過ぎるサンゴも、太陽のシャワーをあびめキラキラと輝いて嬉しそうですね~(о´∀`о)🎵

2本目っ、屋良部へ向かうと、岸よりの浅瀬にマンタがいっぱいいっっっぱい水面に浮いているのを発見ッ( ☆∀☆)‼️‼️
これはチャーーーンスっ✨っとすぐさま船を留めすかさずエントリー\(>_<)/
水深3メートルのエリアへ行くと、狙い通りばっちり現れましたっ👀‼️
水深が浅いお陰で、頭のすぐ上を行ったりきたりと、最高の距離感で堪能できちゃいました(@ ̄□ ̄@)🎶


全部で5個体程のマンタに出会えて、ムフフな1本となりましたぁ〜(^人^)♥️
<ムフフ顔でしょ??ムフフ・・♪♪
ラストはマグロ🐟🐟🌊🌊
撮れなかったけれどバラクーダの群れも!大物GETゲットできました!!
もじゃもじゃもさっとオランウータンクラブや、

ちぃ~~~いちゃいカンムリベラの幼魚も、そばかすがキュートでなんともたまらん可愛さでしたねぇ〜(。・ω・。)🎵


そぉ~んな感じです3ダイブお日様浴びながら気持ち良く潜ってきたシーフレンズでしでしたっ(゜◇゜)ゞ

2018年02月26日 [ 体験ダイビング ]
大所帯で離島ダイブぅ~(ФωФ)☆














2018年02月26日 [ ファンダイビング ]
ポイント:黒島・黒島・パナリ
コンディション:北東の風 波:2.5m 気温:18℃ 水温:21℃ 透明度~15m
はいさい、よっしーです(=゚ω゚)ノ
本日はファンダイビングのゲストお二人だけでのんびり潜ってきました(;^ω^)
OW取得後初のファンダイビングのわりにはお二人とも上手に潜ってましたよ♪


一本目にはカメさんをゲットして、二本目には地形を楽しんで、三本目には
すこし波はありましたがパナマンでマンタゲットです!!!!!!!!!!!
最初はマンタの姿がなくて焦りましたが、マンタが出てくるのを信じてあっち行ったり
こっち行ったり、それでもいなくて・・・・・・・・・・・・


諦める前にもう一回メインの根に行ってみると、なんともまぁ~~~~普通に2枚ホバリング
してるじゃないですか!!!!!!!!!!!!!!!!!!!!!!!!!
探して、さがしてからのマンタ登場でしたのでゲストの二人も僕も興奮はMAXでしたよ!!
そのあとはみんなで撮影会です\(^o^)/
そんな感じでマンタも見れて大満足な一日でしたよ♪
2018年02月24日 [ ファンダイビング ]
少人数1チームでいってきました~🎵🎵
writer:てるぽん
ポイント:屋良部コーナー 大崎ハナゴイリーフ 大崎アカククリ
コンディション:東南東の風 波:2.5m 気温:23℃ 水温:21℃ 透明度~15m
は~いさいさ~い(*‘∀‘)
本日はすこ~し東、南寄りの風になり、寒さも軽減の石垣島です♨
北うねりも収まってきたので、屋良部&大崎方面へと行ってきました
1本目は屋良部コーナー 潮流もありグルクンやアマミスズメダイがたっぷりです🐟🐟
ぐぅ~るぐる なヤギ類が面白いですね~🌀🌀
ヤギの檻に囲まれたクマノミも なんだか面白い景色でしたね~
深場に行ったチームは3mくらいの怖いサメにもあったとか・・・ 怖いけど見たかった~(;´∀`)
2本目は大崎でコブシメ~~~くコ:彡旬を楽しみましょう~くコ:彡
せっせと卵を産み付けるシーンも感動ですね~(#^^#)
ドロップ沿いのテラスにはハゼやらハナダイやらがいっぱいでした~ が!
まさかのここで会うとはっ!!??ピカチュウウミウシ(@_@)☆☆
潮にのって上から降ってきたんです~\(^o^)/2日連続で会えてラッキーでしたっ🎵🎵🎵
ラストはアカククリの根での~んびりと♨♨
写真はな~いですが、深場でヤシャハゼの1cmほどの幼魚やヒレナガネジリンボウと会いました!
ロボットアニメの人気者☆ロボコンにそっくりなアナモリチュウコシオリエビもかわいかったな~❤
にっこにっこにー なミナミギンポやウミヘビアカククリなどなど


3本目もたっぷり生物を堪能してきました~~~~(∩´∀`)∩
さぁ明日はノーゲストっ!まっちゃんはお休みを利用して 黒島牛祭り に行くようです!
抽選で1等がなんと 牛一頭🐄!!!!! 頑張って当ててきてちょ~だいな~🎯
そ~んなこんなのシーフレンズでした(^_^)/
2018年02月23日 [ ファンダイビング ]
竹富で3本っで~~っす(*’▽’)♬♬
writer:てるぽん
ポイント:竹富南シャークホーム 竹富南トカキンの根 竹富南ビタロー
コンディション:北東の風やや強く 波:2.5m 気温:21℃ 水温:21℃ 透明度~20m
はぁ~~~~いこんばんはぁ~~(*´з`)☆
なんだか寒さが弱まってきたような、そうでもないような~・・・
徐々に春になりつつある石垣島でございます🌸🌸
数日前からのやや強めの北風が継続中ですので、竹富南で3ダイブとなりましたっ🚢
1本目はこの時期ならではのあの子っ!知らない人はいない人気者!!
ピカチュウ!!に会ってきましたよっ(*´▽`*)♡♡
といっても ピカチュウっぽく見える ウデフリツノザヤウミウシちゃんですけどね(^^♪
ウミウシの大好物、ワライホヤも ぶっちゅ~っと つぶれた笑顔が面白いぞ~~
ちっこかわいかったのがトサカリュウグウウミウシのおチビちゃん!(^^)!
一緒に写っているペン先が3mmくらいなのです・・・ 極小ですけどとってもきれいな子ですねっ❤❤
こちらも今人気のパンダ!!?? によく似た パンダダルマハゼ🐼🐼
アンド!目の周りがパンダな クラカケチョウチョウウオ🐼などなど会えましたよ~ん♪
ちびちび攻めで目頭も疲れてきたので、お次はトカキンで大物っ!!マグロGETしてきました~!
大振りなイソマグロが悠々と泳ぐ姿は迫力あってカッコ良かったですね~~~(‘ω’)!!
しか~し・・・・ カメラハプニング!!??フリーズして一枚も写真を撮ることができなかったのです(´;ω;`)
っま!しっかりマグロ堪能できたので良しとしましょぉ~~~~(;´∀`)♬
ラ~ストは景観を変え砂地で潜りましたよん\(^o^)/
クマノミの幼魚だけ集まった クマノミ保育園 に授業参観しに行って~🐣📷
砂に潜むトゲダルマガレイ👀!! 体が花柄ですね~🌼🌼
正面から見るとこれまた面白い味わいのある顔だ~な~(*´Д`)
ハナヒゲウツボもキレイでしたけど~ 今日はこっちっ!!
真っ黄色の幸せボディっ☆ヒメウツボちゃんがかわいかった~🎵
お目めの模様と淡いブルーな感じも素敵ですね~☆☆
そして~ヤシャハゼ(*‘∀‘) 時たまこのポイントに出現してくれるんですよね~素敵(≧▽≦)
以上!3ダイブ竹富を楽しんできた本日のシーフレチームで~~~~っした(∩´∀`)∩🎵🎵🎵
<今日はまっちゃんテルの合作で~す
2018年02月22日 [ ファンダイビング ]
2艇出航でらんらんるー\(^o^)/
デカ船アリサⅣ号
ガイド:まっちゃん
ポイント:パナリ周辺2本 黒島仲本ケーブ
コンディション:北北東の風 波:3m 気温:20℃ 水温:21℃ 透明度~20m
はい!こんにちは~
今日は2艇出航!アリサⅣ号はパナリ黒島エリアで潜ってきました♪
北風がやや吹いていましたが、パナリマンタ狙えそうな海況でしたので
朝1本目から頑張ってマンタポイントまでいっちゃいました♪
見事2匹のマンタをゲット&ネムリブカなども見れちゃいましたよ(^_^)

2本目はパナリ上地島のリーフに止め 開拓ダイブでした
ウミウシ類が数多くいて、マクロ好きにはたまらないポイントでしたね☆
3本目は黒島へ移動し潜りましたよ♪

グルクンの群れや地形、青い世界に赤い貝などなど
まったりと3本目も楽しむことができました(#^^#)
そんな3ダイブのアリサⅣ号となりました~♪♪
ーーーーーーーーーーーーーーーーーーーーーーーーーーーーーーーーーーーーーーーーーーーーーーーーーーーーーーーーーーーーー
こちらからアリサⅤ号担当テルでございまする(*’ω’*)
ガイド:てるぽん
ポイント:宮良キンメ 大浜マルベ石
コンディション:北北東の風やや強く 波:2.5m 気温:20℃ 水温:20~21℃ 透明度~15m
はぁ~~~~いっっさぁ~~~い(V)o¥o(V)
本日アリサⅤ号は、午前石垣到着後ダイビングのゲスト様2名と
東海岸の2ダイブ、行ってきましたよ~~~~☆☆☆
所々風も波も結構あるみたいなので、北風に強い宮良湾へ向かいましょ~🚢🚢
思った通りの割と静かな海況でラッキー( *´艸`)
水中では、船のすぐ下にいたコブシメちゃまくコ:彡くコ:彡
模様が素敵すぎるぜトウモンウミコチョウなどなどのウミウシ類🐄🌊
いっぱいのアカヒメジパレードも素敵キイロでいいですね~🎶🎶
真っ赤な子 どこにいるかわかるかな~~??(V)o¥o(V)
そして おパンツ・・・うふふ(*’ω’*)💓
午後はマルベ石でアーチ


&ガレめくり &

浅場はうねりでゆらゆらと こんな写真も面白い?が撮れました~📷


そっして~~!!結婚記念日お祝いフラッグ撮影会~~~~✨✨✨✨
奥様の手作りフラッグスッテキだねぇ~~~~(#^^#)
末永くお幸せに~~~~(≧▽≦)❤❤❤
そ~んなかんじで2艇とも楽しんできたシーフレンズでした(^^)v
2018年02月21日 [ ファンダイビング ]
ポイント:黒島 ×3
コンディション:雨 北の風 波2m 気温21℃ 水温23℃ 透明度~15m
おめでとうございます!!

ハイサイ、まっちゃんデス。
暖かい日が続いていましたが、太陽が出ない少し肌寒い日となりました。
そんな今日は、黒島フルコースです。
今日の黒島は、魚影が濃かったですよ~~
グルクンの壁、壁、壁!!


特に、ウメイロモドキが色鮮やかできれいでしたーー

そのほか、大物では、定番のカメ、サメはもちろん


イソマグロやナポレオンまで見れましたよ。
(写真はありませんが、、、)
あと、ウツボをよく見かけましたね。


頭が2つ。
多分キングギドラみたいに、穴の中でつながってるはず!!(‘ω’)
出そうな雰囲気ではあったもののマンタは見れませんでした。
とはいえ、今日は、なんといっても『250本記念ダイブ』

水中でも。
改めて、サイトウさん、おめでとうございます!
今日は、こんな感じ~~~↓↓

2018年02月20日 [ ファンダイビング ]
パナリでマンタゲットでしたよ~~~(#^^#)
writer:てるぽん
ポイント:竹富南じゃがいも 黒島仲本ケーブ パナリマンタポイント
コンディション:東南東の風 波:1m 気温:25℃ 水温:22℃ 透明度~20m
はいっどもっですっ(^^)/
今日はくもり→☂予報もされていましたが~ なんやかやいい天気っ☀☀
南寄りのよわ~い風で波もなく、離島方面へと気持ちよ~く出航でーす🚢🎵
1本目は竹富の砂地で潜っていきましょ~~!!
いよいよ竹富のコブシメ時期も本格的になってきましたねくコ:彡
ユビエダハマサンゴに3個体集まっていて ゲストの皆様を楽しませてくれました(‘ω’)
白砂エリアではピクミンのように頭にかわいい葉をのせたコノハガニ
やたらとカメラ目線になってくるウズマキことタテジマキンチャクダイ幼魚🌀🌀
などなどと遊んできましたよ~(≧▽≦)
お次は黒島まで行ってダイビングです!!
ケーブの奥には、住み着いているチビホワイトチップシャークちゃん(*‘ω‘ *)♪
ちいちゃいお口をパクパク これまたちびっちゃい歯が見えていてかわいかったです❤
キラキラの泡とブルーの世界とアカククリのコラボレーションも素敵でした~☆☆
水深2mの浅瀬では まつ毛とハナ毛と水玉のかわいいモンツキカエルウオもゲットでしたよ~🐸
ラストはもひとつ向こうの離島、パナリでマンタチャレンジ~~~(^_^)/
大量っ!!っといかず、1匹でしたが、最初から最後までずぅ~~っとホバリングしてくれました
そのほかにも つぶらな瞳のかわいいヒオドシユビウミウシや~👀
うふふ・・ブダイの鱗もよく見ると素敵でございましょ~?? などなど


久々のパナリマンタに満足~な〆となりましたぁ~~(*´▽`*)♡❤
明日こそ雨が降っちゃうかな~~~??
雨でも楽しんでもぐってきっっま~~~~っす(‘◇’)ゞ!!!!!
2018年02月19日 [ ファンダイビング ]
ぽかぽかHOTな1日でーす(*≧∀≦*)
writer:てるぽん
ポイント:竹富北じゃがりこ 御神崎コーラルウェーブ
コンディション:東南東の風 波:2m 気温:25℃ 水温:21℃ 透明度~15m
はぁーーーいさいどもでございまーす(●^o^●)
<僕もちゃっかりピース✌
あまちゃんスタイルの父娘の笑顔もたまら~~~~ん(≧▽≦)❤❤
いぃぃ〜〜〜〜〜〜いお天気もう最高たまらん石垣島でーすっ☺️☺️
本日石垣到着後ダイブのゲストさまもいたので、まずは竹富じゃがりこで1本もぐりました🐟
先日産卵中だったコブシメは 今日もバリバリ産卵してましたよ🦑

卵を産み付ける、コモンシコロサンゴは 巨大でなかなか迫力があってステキです\(^-^)/
巨大サンゴの上で太陽バックにパシャリ📷✨
真っ赤なイソバナに真っ赤なイソバナガニも太陽バックにカッコつけておりましたv(´・∀・`*)v
隠れずにいいところにいた シモフリタナバタウオもド派手できれいだったな~🎵🎵
一度帰港、到着後の方を迎えて、御神崎まで走ります🚢🚢
ここではふわっふわのソフトコーラルのベッドに癒されました~♨( *´艸`)
<ふわもこ~🐑
そして近頃行くと必ずいる 食欲旺盛いつもご飯中のタイマイさん🐢🍴
こぉ~~~~んなに近寄っても逃げない 肝のすわったやつです☆
キャベツのようなリュウキュウキッカサンゴ畑も素敵でしたね!!
トラ柄ちゃんだったり ぷにぷりちびコクテンフグとも遊んできましたよっ🎵

ランチ食べて日向ぼっこして よっし~もうとうとお昼寝したあと
ラストは・・・・
なんとつい30分前にジンベイザメが出た との報告を受け急行!!!!!
まっさか~の御神崎灯台 水深も浅いところで出たらしく、
ここはチャンスっっとエントリー!(^^)!
泳いで~~~ 泳いで~~~およいで泳ぐ~~~~
泳ぎまくりんぐの1ダイブ!!!!!!結果は・・・
ちーーーーーーーーーーーーーーん(;´∀`)あははー
幻のジンベイ様 お会いしたかったな~
明日はなにか素敵な出会いがあるかしらっ!?
そんなこんなの今日のシーフレチームでした(*‘ω‘ *)
P.S.お店の床ちゃんがピッカピカなりました(*´ω`)✨✨
2018年02月18日 [ ファンダイビング ]
船の次はお店もキレイにしましょうネっ(^_-)-☆
writer:てるぽん
ポイント:シーフレンズのお店
コンディション:いいお天気っ☀
はいさっい(‘◇’)ゞ
今日は予定通り丘バンバンの1日となりました~🎵
先日船はピカピカにしましたので、本日はお店をピカピカに!(^^)!
長いことはげ禿だった床のワックスがけとカウンターの改造で~す
もはやワックスのほぼない状態の床さん・・・
<つるぴかに禿げてます~
朝からゴリゴリ専用の機械で削り削りけずり・・つるつるの状態にします✨
頑張ってお腹がすいたら お天気のいい中ランチ休憩も~🍴(#^^#)🎵
とけい台食堂 さんの ボリューミーなザンギ定食などなどでパワーチャージ🔥
・・・・そして真剣に記事読んでるまっちゃん・・・
読んでる特集が!笑 まっちゃんも集いたいのでしょうか(*´з`)??
そして夕方に2回のワックスがけ
とりあえずのつるりん感でてきましたね🎵🎵
そして夢中で塗っていた僕の爪も負けじとピカピカにっ(V)o¥o(V)
明日もう一度ぬりぬりして 床は完成でーす(^^)/
カウンターの改造も明日はりきって続けていきますよ~☆☆
明日はゲスト様もいますので、海、陸、とどっちも張り切っていってきまっす(∩´∀`)∩!!!
▲ページトップへ戻る
コメント