2017年10月31日 [ ファンダイビング ]
W台風乗り越え今月もナイスダイブぅ(^ム^)
writer:てるぽん
ポイント:桜口 竹富南シャークホーム じゃがいも
コンディション:北東の風やや強く 波4から2.5m 気温27℃ 水温25℃ 透明度~30m
ハイサイ みなさんどうもどうもっ(^^ゞ
10月はまぁまぁの台風月刊となりましたが、最終日の本日です!!!
数日間東海岸の限られたエリアしか行けませんでしたが、
今日は風も波もだいぶ落ち、竹富島の南エリアまで足をのばして潜れましたよ(^_-)♪
到着後途中から参加の方もいましたので、まずは桜口の1ダイブ
ちっこすぎるぜ~アオセンミノウミウシさん
お腹にたっぷり黄色の幸せたまごっ♪オオアカホシサンゴガニまま(^◇^)
大事そうにだっこして守っております❤
わほほ~ っと僕お気に入りのワライホヤもかわいかったですね♪
お次は竹富南~☆☆☆砂地でのんびりいきました~~♨♨
2匹でぴよぴよ遊んでるナンヨウハギ幼魚♪
左の子っ! ハッ!!見られた!!??みたいな顔してますカワイイ~~(>_<)
1円玉サイズのタテジマキンチャクダイ幼魚もキュートだったなぁ❤❤
コモンシコロサンゴに群れる魚たち~ 気になるのはウケグチイットウダイたち・・・
みぃ~~~んな同じ向き!というか 同じ角度でピシィッ!!!!っと並んどりますっ!!!(^0_0^)
これはMJのゼロ・グラビティっ!!!??? なんか面白い光景ですねっ♪♪
そして ナイススナップ♪ 「「 ホラ吹きおじさん 」」 もGETでーーーす(*^^)v
3ダイブ目のシャークホーム透明度サッイコーーーーでっすでっす30m(^O^)/
グルクンの大群も目の前をわわわ~~~~っっと通りすぎ賑やかっ❀✿
ブルーの海バックにクマノミトリプル~ずも にゅっとポーズ♪♪
サンゴの中ではパンダダルマハゼのお母さんが育児中~~(●^o^●)
卵の横につきっきりでお世話してました~ 素敵だね♪♪
ここから日ごとに海況も良くなりそうですね!楽しみだっ
そんなこんなで行ってきた本日のシーフレチームでした(#^.^#)
2017年10月30日 [ ファンダイビング ]
ブルーなうみが気持ち良かったよ~☀☀
writer:てるぽん
ポイント:桜口コーラルパラダイス 桜口1丁目 桜口コーラルパーク
コンディション:北の風強く 波4m 気温26℃ 水温25℃ 透明度~30m
は~~~いさい!!!!!
2日間海に入っていなかった ブランクダイバーのテルですコンニチワ!(^^)!
台風明けの海!透明度がババババッッッチリじゃないですかーー!!!!!
波風で島ではできない海況ですが、近場透明度マル~な3ダイブサイコーでした☆
1本目!青い!!!
ブルーで太陽もきらりと輝く海に、皆様テンションあがってるーーー
ばっびゅ~~~んポーズで喜びを表現しておりまする!!!
たっぷりのソフトコーラルと 秘密の抜け道♪(^v^)♪

かわいいウミウシの数も増えてますね~!!たまらんぜ~(●^o^●)
お次は青いッ青いっ!!!
浅瀬のプールにビュンビュン飛び交うイスズミの群れ~

(o|o)ウルトラマンのようなお顔をしたホヤや~
そして今日イチの透明度で楽しんできました~~~(☆O☆)
ラストはまたまた青いッ!!
撮れなかったケドホワイトチップシャークと何度もあっちゃったり~
かわいいクマノミ~ずがみんなこっちを見ていたり~
もじゃっとしたソフトコーラルから覗くそらがまた素敵っ☆
最後までぴかっと天気が良くて、ルンルン気分で楽しめちゃいました!(^^)!
明日から徐々に風も落ちて海況も好転していきそうですね!楽しみだっ(V)o¥o(V)
2017年10月29日 [ ファンダイビング ]
ポイント:①石垣東・桜口 ②大浜・マルベ石 ③宮良水路
コンディション:晴れ(台風一過) 北の風 波3m 気温27℃ 水温26℃ 透明度~20m

byまつい
2週連続で台風なんて・・・今年はこれで最後かな。。
最後の台風が過ぎて、一気に秋が深まった気がします。
今日も北風が強く、マンタポイントには行けませんでした。
ということで、東側3本コースです。
地形ダイビングをたのしんできましたよ。

透明度はかなりよかったです。
岩に囲まれた空間に差し込む光は、心を穏やかにしてくれますねー。
浅いところは、ソフトコーラルがフサフサでユラユラ~~
若干ウネリはあったものの気持ちよーく、の~んびり泳ぎました。

特に、大物を見つけることはできませんでしたが、定番のクマノミから

ウミウシやエビなどのちっちゃいやつも

明日も北風が強いけど、がんばるぞぉーー

2017年10月29日 [ 体験ダイビング ]
こんにちは~!
本日はリピーター様のお友達の方が体験ダイビングで遊びに来てくれました\(^o^)/
まずはシュノーケル~!

初めは少し緊張気味でしたが
最終的には浮き輪から手を離して
上手に泳いでおりましたね(^ ^)!
カラフルな魚もたくさんでとってもキレイでしたよ~!
お次はダイビングへ!!

初めでのダイビングということでしたが
何の問題もなくとってもお上手でしたよー(*^^*)
小さな魚たちもたくさんいて
とっても癒されましたね♪
そのまま元気に2本目もダイビングして
とっても楽しんできました\(^o^)/
2017年10月27日 [ ファンダイビング ]
竹富3ダイブいったったぜ!!!!!
writer:てるぽん
ポイント:竹富南シャークホーム じゃがいも 秘密のキンメ
コンディション:北の風強く 波4m 気温26℃ 水温26℃ 透明度~25m
はいさい!!!!

今年最後の台風(そう願いたい!!)が思ったより海を時化させております
シケシケバンバンジーの石垣島でございまする(>_<)
行先は近くの桜口か!?っと思いましたが、船長よっしー頑張って竹富南行ってくれました~☆
海上は多少揺れはありますが、水中はいたって穏やかっ♨♨
1本目のシャークホームは透明度もナイスで気持ち良かったですよっ♪
ここでは空も明るかったです!お客さんも光を背にウルトラマン ジュワッチポーズでーす(o|o)
それを見てニッコリわらう子たち~ げらげら~))))
ホヤの横を うんしょっこらしょっ と声が聞こえそうに歩くキカモヨウウミウシ=3
アメフラシと侮るなかれ!クロスジアメフラシのキレイな斑点とストライプ////

ちみっとくりっとお目目もかぁ~わいい~カッタデスネ~ん(●^o^●)
2本目は砂地へ移動しましたよ~♪♪
ペアで仲良しギンガハゼさん
ぐるぐる模様で目を回してくるタテジマキンチャクダイ幼魚@@
住み心地がいいのか、住み着いてくれているキイロハダカハオコゼ
ブルーの草原の上にはヒトデヤドリエビちゃんも素敵な感じでおりました(^v^)
ラストはキンメいっぱい秘密のポイント☆☆
今日もわらわらとキンメモドキがひしめいて蠢いていました~(^◇^)♪

コモンシコロサンゴのまわりには、デバスズメダイもいっぱいだ~!!
アップで見ると思っていたより素敵な体色スカイブルーが美しいですね☆
今日もたのしくダイビング!!潜ることが出来ました~ありがとうございます!!
明日は台風の影響で欠航となりました(>_<)
早く海にでれるといいなぁ(+o+)
2017年10月26日 [ ファンダイビング ]
みなさん記念フラッグでお祝いだーーー!(^^)!!(^^)!
writer:てるぽん
ポイント:宮良キンメの根 竹富南シャークホール 竹富南大仏の根
コンディション:北北東の風やや強く 波2.5~3m 気温28℃ 水温27℃ 透明度~30m
は~~~~い☆さ~~~~い(V)o¥o(V)
今日は節目の記念ダイブの方がたっくさん!!!!
みんなスペシャルフラッグでにっこにこお祝いしてきましたよ~ん✿✿✿
なかにはこんなハ~~~レムな記念写真の方も~イヤ~ン(❤ω❤)

台風前行けるうちに!っという事で、2本目からは竹富南方面で潜りました♪
1本目は着後に合うように東海岸 宮良キンメへ(^v^)透明度がとっても良いですね~☆☆
普段見えない30M下の水底がくっきり見えるほど!!!きもちいい!!
ム”ゥ~~~っと朝のクリーニングされるドクウツボ~やら
スケベピンクなイソギンチャクに住むハマクマノミ❤
まあるい模様の素敵なトウモンウミコチョウや
青いホヤの横にいたもじゃもじゃオランウータンクラブなんかと遊んできました(^O^)/
2本目の竹富も透明度ヨッシ!!
親子で擬態中のムチカラマツエビさん
黒チビクマちゃんもヒレを一生懸命ぱたぱたと愛らしいですね(^ム^)
見付けるとつい捕まえちゃうコクテンフグもGETぉ~☆☆
光も透明度もバッチリでスカッときもちよかったで~っす☀☀
ラストは砂地でのんびりぽん♨です
スカイブルーなデバスズメダイの稚魚が わそわそ~
海面のすき間にイシガキカエルウオみぃ~っけた☆(^v^)
サンゴの上にはちっこすぎるぜ!アシビロサンゴヤドリガニ
大仏の頭のようなコモンシコロサンゴのまわりも デバスズメダイいっぱいで素敵でした♪

そぉ~~~んな感じでダイブ行ってきたシーフレンズでした!!!!!!!
記念ダイブの方おめでとうございました~❀❀❀❀❀
2017年10月25日 [ ファンダイビング ]
いっちょ西表のはじまでいってみっかぁ~~~(*≧∀≦*)
writer:てるぽん
ポイント:竹富南ビタロー 鹿乃川アザミの根 鹿乃川沈船ポイント
コンディション:北北西の風やや強く 波:2.5m 気温:27℃ 水温:27℃ 透明度~30m
はーーーいさいさいっ!!☀☀(σ≧▽≦)σ
今日は竹富南からのばっびゅーーーん っと西表は鹿乃川まで遠征いっちゃいましたー ヘ(≧▽≦ヘ)♪
サイコーの青空ダァーーーーー☀☀☀
朝イチダイブは竹富南の砂地でのんびりと♪♪
水がとってもイイですよォ~~(^_^)v透明度30m☆☆
はしゃぎまわるドリーちゃん、
めっちゃ威嚇中ハナヒゲウツボ、
コモンシコロサンゴにスカシテンジクダイどっさり!
妖怪お目目ちゃんも居ましたよ~~~
台風で水温ちょいとちめたくなってましたが、まだまだ夏!南国!の風景🌴☀でしたねー(〃ω〃)
ここでたくさんの記念ダイブゲストが!!!フラッグでお祝いしてきました~ワーワーパチパチ☆❀☆❀
さぁー2本目はそこから1時間弱船をとばし 鹿乃川へっ!!!!
うーん、ここも透明度よし!
あわよくばーのマンタさんはいませんでしたが、
ツムブリの群れがぐるぐるーっと、回りを泳いで遊んでくれました(^∇^)

久々に潜って気付くことも、サンゴの白化~~
台風で水温も下がったので、どうにか白化が止まればいいんですがね・・・( ´_ゝ`)
なんか変な模様のセジロクマノミも発見~☆背中のラインが途切れてる~!!

むほほ なホヤも~
浮き球ですくすく育つサンゴも~♪♪
そーしーてー!最後は沈船ポイントです!!
朽ちた巨大船が水底に鎮座しており、水底も10メートルちょっとと浅くて楽チン♪(^◇^)
船の鉄骨を通り抜けくぐりぬけ、探検気分でわくわくしますねっ☆☆


沈船内に降りる光景がなんだか神々しいわっ!光を浴びておりる神様みたいやーん(* ̄ー ̄)

別の穴からは顔がっっ!?!?(;´Д`)心霊写真!
っかと思ったらひょっこりゲストさんでしたーあははー(。-∀-)
<ばぁ!
ば~ぁ!!
滅多にこれない鹿乃川エリアでエンジョイしてきた本日のシーフレでしたっ(@^▽゜@)ゞ


2017年10月24日 [ ファンダイビング ]
石垣もすっかり秋モードかっ!?
writer:てるぽん
ポイント:桜口 黒島マンタランチポイント パナリマンタポイント
コンディション:北北東の風やや強く 波:2.5m 気温:28℃ 水温:27℃ 透明度~25m
はいさぁい🍂🍂
吹き付ける風が スースーする今日(°▽°)秋ですなっ
食欲の秋。芸術の秋。スポーツの秋。ダイビングの秋。やしろあき・・・-
陽射しもカッカしてない、午後からは秋晴れの石垣となりました☀
到着後参加の方もいたので、1本目は桜口で潜りましたよー
ソフトコーラルがふわりふわりして癒されますね♪♪
サンゴの隙間には キミドリが可愛いカスリフサカサゴもいましたねー(///∇///)
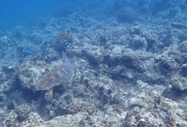
2本目は黒島へ!!
アオウミガメ、タイマイがあっちへこっちへいっぱいいましたよっ!!
ラッキータートル☆☆でしたねー(o≧▽゜)o
アーチの中のハタンポわしゃわしゃ、いっぱいでナイスでしたー(* ̄∇ ̄*)
ラストはパナリのマンタポイント!!
でマンタ キメたかったのですが、結果は敗戦(´・ω・`)
◎な透明度と、いっぱいパタパタ可愛くおよぐアカモンガラでたのしんできました♪♪
そんなかんじーのシーフレチームでしたとさっΨ( ̄∇ ̄)Ψ
2017年10月24日 [ 体験ダイビング ]
2017年10月23日 [ ファンダイビング ]
ポイント:①宮良・キンメの根 ②宮良・トカキンの根 ③大浜・マルベ石
コンディション:晴れ(台風一過) 北の風 波・3m 気温28℃ 水温27℃ 透明度~15m
石垣島は直撃はしませんでしたが、日本各地に大きな爪痕を残した超大型の台風の影響で、シーフレンズは2日間欠航しておりました。
おかげ様で十分過ぎるほど、充電をさせていただきましたよ。
(この2日間ご予約いただいた皆様、申し訳ありませんでした。)
ということで、3日ぶりのダイビングへ出かけましょう!!


BY まっちゃん
今日は、石垣東3本コース。
マンタは残念ながら行けませんでしたが・・・水中は、とってもキレイでしたよ!
気持ちよーーく、泳いで、

カメさんも一緒にスイスイっと。意外と泳ぐの早いんですね(゜o゜)

洞窟の中もスイスイっと

クマノミたちと触れ合って、楽しい一日でした。

やっぱ、家の中より、海の中がいいですね!!(^v^)
村上さん、記念ダイビング『50本』、おめでとう!!
次は、『100本』目指しましょう!!

▲ページトップへ戻る
コメント