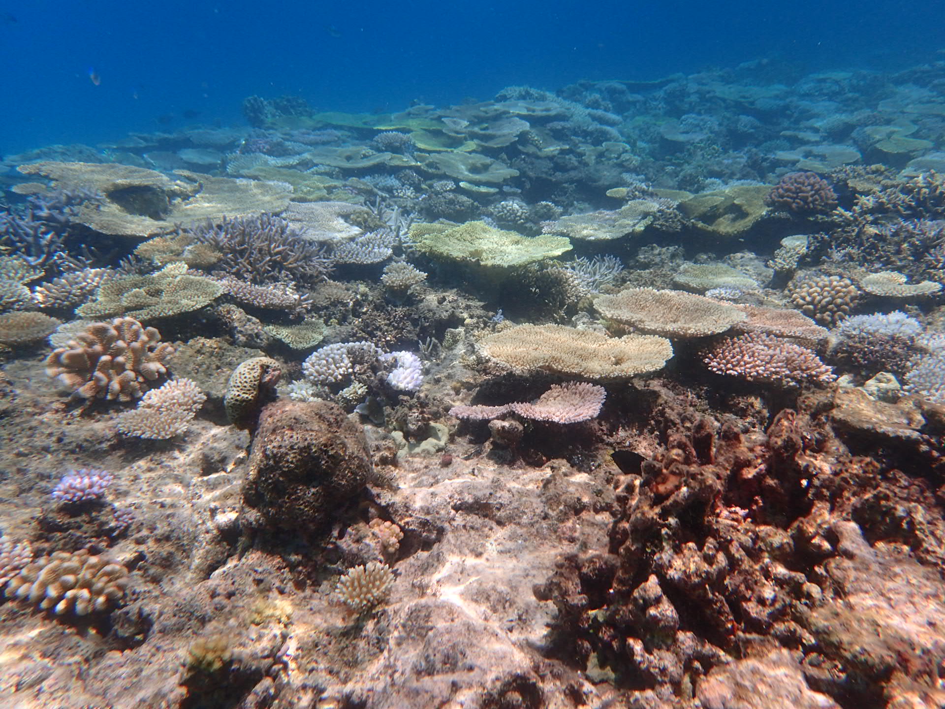
2016年07月26日 [ ファンダイビング ]
ポイント:大崎ハナゴイ 崎枝ビッグアーチ 石崎MCP
コンディション:南西~西の風 気温33℃ 水温30℃ 透明度~20m
今日もベッタベタのナッギナギの石垣島ですよ~~~♪
船がスイスイーと滑るようにすすんでいくので、とおっても気持ちよいです(*^_^*)

本日はハナゴイリーフからのスタート☆
カメさんは、、、「頭かくして尻隠さず」状態。
いつもサービス精神旺盛のカメさんは、今日はご機嫌ナナメなのかな((+_+))

ステキなアーチの中は、ハタンポの群れがどんどん大きくなってますよ♪♪
海況が穏やかなので、浅場散策も気持ち良いですねぇ(^ム^)

お子さまスノーケル部隊も海へ出動!!
石垣島のキラキラの海を、全身で遊んで大きくなっていってね~~~

そ~し~て~~~!昨日のうっ憤をはらすべく、
本日はマンタシティへGOGO!!
メインの根には、お目当てのマンタロウ\(◎o◎)/
透明度がイマイチで、写真撮影はてこずりましたが、
皆さんの目と心にはしっかりマンタが焼きついたでしょう(^_-)-☆

しっかり元気に3本潜った後は、お口がしょっぱくなってるので、
最近 定番のパイナップルタイ~ム!(^^)!
今日もおいしくいただきました☆☆
2016年07月25日 [ 体験ダイビング ]
ポイント:宮良アウトリーフ 大浜マルべ石 石崎
コンディション:南東から東北東の風 気温33℃ 水温30℃ 透明度~25m
はい!はい!!
本日の体験は~ メンズオンリー編成でウホウホ楽しんできましたよーう( ・∇・)
スーパーブルーのポイントでスノーケル開始ッ☆☆
心がけ洗われるような青さにウホウホ感動しちゃいましたねぇ(“⌒∇⌒”)

ダイビングも余裕のよっちゃんぶくぶく潜降して夢の世界♪♪
眼前に広がっていたのはあまりにもカラフルな景色☆
ソフトなサンゴが揺らめいてますねぇ♨

その上にはさらにカラフルな熱帯魚がいっぱい( ☆∀☆)
もうカラフルすぎて目がぐるぐるしちゃうくらいでしたー🎵
午後もダイビングに夢中になってきましたよ!
かな~り水中に慣れてきたようですねー♨

パクパクランチ中の美味しそうなグルクンや、背中の黄色ラインがイカすウメイロモドキなどなど
たくさんの魚に混ざって気持ちよく泳いできました(///∇///)
そーんな感じで無事終了でーす\(^_^)/
2016年07月25日 [ ファンダイビング ]
ポイント:宮良アウトリーフ 大浜マルべ石 石崎
コンディション:南東から東北東の風 気温33℃ 水温30℃ 透明度~25m
はいさーーい!今日も元気に出航のシーフレンズでーすぅ(。>д<)
午前中は東海岸にいってみましたよー♪♪

アウトリーフはなかなかの潮流!!おかげで透明度がよっしーですO(≧∇≦)O
忙しそうなアオウミガメや、グルクンの大群などに遊んでもらいましたよ♨
<こいのぼりになっちゃう~~~!!
次は地形!マルべ石でーす(^○^)
ここのソフトコーラルの群生はハンパないですね☆
アーチの中のハタンポもかなり大きくなって見応え十分!でしたねー

ラストは大移動して~ 石崎!マンタチャレンジでっすp(^^)q
今日もマンタうはうはだーッ!!っといくつもりでしたがァーーー???(・_・)???
結果マンタでなくカメさんGETで終了でしたぁ・・・( ´,_ゝ`)

今度はカメさんでなくマンタさん見に来てくださいねっ!
本日もこれにてコンプリートです(*^▽^*)
2016年07月24日 [ ファンダイビング ]
ポイント:名蔵ガーデン 御神崎エビ穴 石崎マンタスクランブル
コンディション:北東の風 気温34℃ 水温30℃ 透明度~20m
はいしゃいっ!!!(*_*)
今日は石垣周辺すべて、べたべた凪~~~の鏡のような海でしたよ~☆彡

朝はサンゴポイントでエントリ~~~♪
やはりモリモリサンゴが素晴らしいっ(>_<)❤❤
最近ちらほら見かけるミナミハコフグygもゲ~~~ット
カサゴちゃんたちもご馳走の小魚を前に気合むんむんすごかったですよ!

次は御神崎で~す♪♪
エビ穴の三つ窓、スーパーブルーで安らぎますね~~(^ム^)
船下ではカメさんとも遭遇☆☆
ガレ場では キンチャクガニの脱皮シーンも激写!!!(V)o¥o(V)
ぴたっと動かなくなったと思ったら もぞもぞし始めて 殻が脱げた!!!???
最初から終わってイソギンチャク挟みなおすまでゼ~んぶ見れちゃいました!!!すげ~
⇒
⇒
⇒
<イソギンチャクもゲット!!
お昼は子供たちが大はしゃぎ!泳いでイカ釣って元気になったら~
最後はマンタで〆てきました!!!!
マンタのにおいがぷんぷんしていたので目指してみると・・・
見事マンタホバリングはっけ~~~~ん(*^。^*)

昨日は粘りねばねばでゲットだったので 今日は速攻!素敵にゲットでしたね~
ココでMAKIさん100本でーした!フラッグでお祝いしましたよ~~✿✿
帰りはうとうと 船をこぎこぎ帰ってきたシーフレンズチームでした(#^.^#)
2016年07月23日 [ ファンダイビング ]
ポイント:大崎ハナゴイリーフ 御神崎コーラルウェーブ 石崎MCP
コンディション:南の風 気温34℃ 水温30℃ 透明度~20m
はいたーい!のシゲです*\(^o^)/*
本日から、夏休み最初の週末なので、ご家族連れで賑わってますよぉ〜〜〜(≧∇≦*)

朝イチは、寝坊助カメさん狙いでハナゴイリーフへ☆
定位置にいつもの子が爆睡状態、、、(-_-) zzz近づいたらグースカピースカ寝息が聞こえそうでした。
ファンチームが全員集まってもピクリともしないから、ゆっくり撮影ができました(*´∀`)

2本目は、まったりダイビングでっす!!
ソフトコーラル&スズメダイがいつ見ても癒してくれるのです(◦ˉ ˘ ˉ◦)
穴の中は、強烈な石垣島の陽射しが突き刺さっていて、スポットライトを浴びているようでした(#゚Д゚)

ラストはリクエストにお答えして、マンタポイントへGOGOーーー!
メインの根や、周辺の根を搜索するも、マンタの影なし、、、
諦めかけて船へ戻るも、諦めきれずに船下で粘り粘〜り粘〜〜〜り、、、
納豆よりもネバネバしたら、スーと怪しい影が、、、

そう!マンタ様のご降臨や〜〜〜\(^o^)/
しかも、しっかりグルグルして、ダイバーのスレスレを通ってくれたりもしちゃって、サービス満点な子でした♡
見事、サヨナラ逆転ホームランホームランで締めくくった、今日のシーフレンズチームでした(*^^)v
2016年07月23日 [ 体験ダイビング ]
ポイント:大崎ハナゴイリーフ 御神崎コーラルウェーブ 石崎MCP
コンディション:南の風 気温34℃ 水温30℃ 透明度~20m
はいはいさいっ♪♪
本日も良すぎるお天気で海遊びがたまらない石垣島でっす(///∇///)
体験チームは6名と大賑わい🌼🌼

先ずは大人もチビッ子も入り乱れっ!!のスノーケルから(*´∀`)
みなさま暑くてたまらなかったのか 海に飛び込むやいなやニッコニコにやにやしてenjoyしているもようっ☆☆

ダイビングのレクチャーもしっかりと聞いて いざダイビングへ~~(>д<)
慣れない水中、慣れない耳抜き・・・っと思いきや!!みなさま余裕で海のなかー(“⌒∇⌒”)

ソフトコーラルどっさりの世界☆色の多さにびっくりのワンダーランドでございますなぁ☀
ランチももぉりもり食べて、午後はダイビング班スノーケル班に分かれてさらに遊んで来ました( ´,_ゝ`)
2本目でコツを掴んだらしく、ぐいぐい泳ぐお二人!いやぁ素敵な泳ぎっプリでしたよぉ!
潜り終わったあとでしたが、 マンタが出たとの情報がっ!!???
すぐさま海に飛び込むと、居るではないですか!我らが神!!マンタの登場でっっすっっO(≧∇≦)O
大きな体をばさばさ動かし神々しい姿を楽しませてくれちゃいました(о´∀`о)

ぁあぁ~今日もたのしすな1日でぇ~した♪♪♪♪
2016年07月22日 [ ファンダイビング ]
ポイント:竹富南 黒島南 黒島北
コンディション:南西の風 気温34℃ 水温30℃ 透明度~20m
はいさい。今日は離島方面で楽しんできたシーフレンズです♪
一本目は大仏でもぐりました(°▽°)
流れが思ったよりありましたが、潮に誘われてデバスズメダイやリュウキュウスズメダイたちが散って、南国的な光景がひろがってましたよ(^○^)
次は黒島の南エリア。なかなか足を運ぶことの無いレアなエリアですよー♪
巨岩を縫うようにはしっている水路を 迷路気分でおよぐと、どこからともなくホワイトチップが泳いできましたよp(^^)q
警戒心もあまりなく、なかなかいい距離でみれました!

最後は黒島の北、極上の砂地で癒され癒され癒されまくってきました♨
点在する根には、どこもかしこもスカシテンジクダイが爆発してましたねー。
水深も浅いので無限に潜れそうです♪

砂に揺らめく光のネットに捕らわれた気分になっちゃいますー(^_^)
癒しの砂地で締めてきた本日でしたっ!!
2016年07月22日 [ 体験ダイビング ]
ポイント:竹富南 黒島南 黒島北
コンディション:南西の風 気温34℃ 水温30℃ 透明度~20m
はいた〜い!!のシゲです(*´∀`)
今日は何やら怪しいポージングの仲良しカップルさんが遊びにきてくれましたよ(*^ω^*)

お久しぶりの離島方面へ出発進行ーーー<(*^_^*<)
竹富では、浅いリーフの上に赤ちゃんサンゴがいっぱい♡
初めて見るサンゴにテンションすでにMAXな感じです。
そして初ダイビングは黒島でっす!!

運動神経がビンビンで、すぐに泳げるようになっちゃいました(*^_^*)
迫力満点の地形には、グルクンやカスミチョウチョウウオがワッサワサ♪♪
そして、相変わらずのポージング、、、(。-∀-)
午後も透明度抜群の海にGOGOーー!!

目に映るすべてが美しすぎて、日常を忘れて癒しのタイム(*´ω`*)
最後の砂地遊びも楽しかったなぁ〜(*≧∀≦*)

と言う事で、しっかり離島の海を遊び尽くした体験チームでした♡
2016年07月21日 [ 体験ダイビング ]
ポイント:名蔵ガーデン 屋良部アーチ 石垣MCP
コンディション:南南西の風 気温34℃ 水温30℃ 透明度~25m
はいふぁーーいっ(“⌒∇⌒”)最高最強の晴れ☀☀
素敵すぎる本日!元気いっぱいのみなさまと海へ旅立ってきましたよーp(^^)q

まぁずはお魚サンゴもぉりもりの名蔵でスノーケル♪
ハマサンゴに群れるスズメダイや朝ごはん中のグルクンチビさまたちが賑やかに迎えてくれましたっ☆☆
ダイビングは何度もしている!っとのことで、水中も余裕のサ~クサク( ´,_ゝ`)
ずいずい泳いでスペシャルゲスト!カメ先輩!&ワニ後輩とも遭遇☆☆
お気に入りのちくわ(生)なんかもGETして楽しすぎて忙しい!?1本でしたねぇ(*´∀`)

らぁーすと一本も元気にダイビングぅ!!です(^○^)
行く手を阻むように現れたのがバラクーダ!?
いや!カマスーだ!( ☆∀☆)
カマスウォールがダイナミックにお出迎え!その向こうには夢にまで見たマンタの姿☆☆

スーパーコラボレーションに超シビれさせられちゃいましたぁ(///∇///)
そぉーんなこんなで遊び尽くしてきた本日の体験チームでしたのたん(*^¬^*)
2016年07月21日 [ ファンダイビング ]
ポイント:名蔵ガーデン 屋良部アーチ 石崎MCP
コンディション:南南西の風 気温34℃ 水温30℃ 透明度~25m
はいた~い!のシゲです(*^ω^*)
穏やかな南風と夏らしい雲がステキな石垣島です!!
3連休後の週の真ん中なので、少数精鋭で和気あいあいと潜ってきましたよぉ~~~(*´∀`)

浅瀬のサンゴエリアはのんびりするには最適のポイント!!
まったーりとお散歩してるみたいです。
サンゴの根を覆い尽くすような、テンジクダイ各種&グルクン稚魚の群れが華やかですねぇ(*´∀`)(*´∀`)

2本目は雰囲気がガラリと変わり、地形ポイントでっす!!
ヒッソリと佇むアーチには、ハタンポたちがワッサワサ。
光の差し込みに照らされて幻想的でしたよーーー!

ラストのメインイベントは、お決まりのマンターーー!!
今日はメインの根で、すでに1~2匹がお出迎え♪♪
ゆったーりホバリングしてくれたので、ゆっくーり観察&撮影ができましたよぉ(*^ω^*)
周りにはカマスの団体さんが泳いでくれていて、なかなか見応えがあるのです!!
マンタとカマスのコラボも見れちゃって、石垣島の幅の広さを感じさせます(*≧∀≦*)

最後は3匹からなるマンタトレインに追っかけられ!?満足度120%のシーフレチームでした*\(^o^)/*
明日も穏やかなので、どんな出会いがあるか楽しみでっす(^_^)/~~
▲ページトップへ戻る
コメント