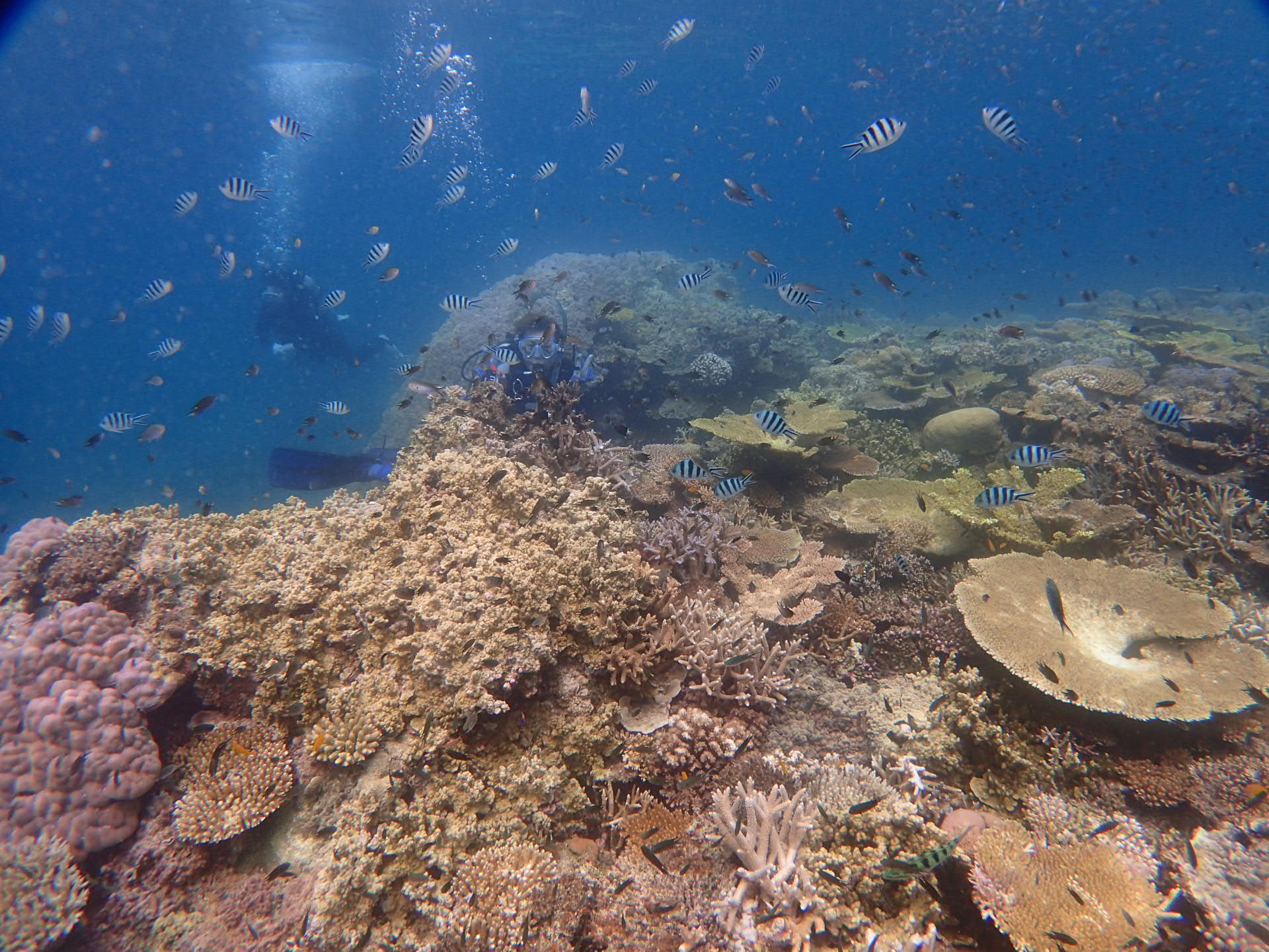
2015年08月26日 [ ファンダイビング ]
ポイント:竹富×3
コンディション:曇り/晴れ 気温31℃ 水温28℃ 透明度10~15m
はいさーーーい!のタクオです★
少しづつ透明度も回復してきましたよ~♪
でもまだ北風で行ける所が限られてしまいますが・・・(^_^;)
楽しい楽しい竹富南の砂地で3ダイブしてきました!
1本目ではウツボ界のアイドル、ウツボofウツボの
ハナヒゲウツボにご挨拶~♪台風を乗り切って
元気にスカシテンジクダイを食べようとパクパクしてました(*^_^*)
大きなカイメンをかぶった可愛いヤツや、ちょっと大きめのウミウシも!
ミナミハコフグの幼魚もカワイイ~☆

2本目では根を覆い尽くす程のスカシとキンメモドキ!(^^)!
岩になりきったオニダルマオコゼもじーっと身を潜めていましたよ~。
デバスズメダイもキレイで絵になりますねっ☆彡

3本目は少し濁っていましたが、ヨスジフエダイの群れに
目が鏡みたい!ペラペラな体のハダカハオコゼもっ!
砂地3本でしたがゆっくりじっくり楽しめちゃいました(^O^)/

そういえば海水に濡れて飛べなくなった小鳥を
レスキューしちゃいましたよっ!
羽が乾いたら元気に飛んでいきましたとさ(^^♪
明日も新しい出会いを求めいっぱい遊んできますね~★
2015年08月25日 [ ファンダイビング ]
ポイント:大崎 名蔵 名蔵
コンディション:南→東→北の風 曇り 気温31℃ 水温28℃ 透明度5~15m
はいさーーーい!のタクオです(笑)
やっと台風の過ぎ去った石垣島ですっ。
いやー。今回の台風はホントにすごかった(*_*)
最大瞬間風速71m・・・
至る所で停電。駐車してある車は横転。
信号や電柱はバキバキに折れ曲がり。
しかしシーフレンズのお店・スタッフは無事でした~!
(船の操船席の屋根が飛んで行ったくらいで(+o+))
そして今日から元気に出航ですっ!
濁っている所も多いですが水温はそんなに下がってない!?
可愛い生物達に会ってきましたよっ♪
1本目は大崎のカメさんにご挨拶!台風の影響で水底の地形も
岩がゴロゴロしていて大きく様変わり・・・
あれ?こんな所に大きな岩が。台風でゴロリンです(@_@)
でもでも最近流行の恋仲な2匹のカメさんや、人懐っこいカメさんとハイチーズV

2本目はアカククリのクリーニングシーンを観察ですっ!
パンダ柄のマダラタルミの若魚もウロウロ~。

最後は1番透明度の良かったサンゴ畑でスズメダイと
サンゴに癒されてきました~(^_^)/

明日からどんどん透明度が良くなる事を期待しつつ
明日も120%で遊んできまーす☆彡
2015年08月20日 [ ファンダイビング ]
ポイント: 名蔵湾センターリーフ 名蔵湾ガーデン
コンディション:東の風 気温:32℃ 水温:28℃ 透明度:15m
ついに、台風15号が石垣島に近づいてきてしまいました、、、(+o+)
なので、午前中にサクッと2DIVEしてきましたよ!!
ジリジリと背中が焦げるような暑さと、爽やかな青空でした(^v^)
水面はパシャついていましたが、エントリーしてしまえば穏やかな海が広がっていまーす!!
センターリーフでは、豪快なドロップオフを泳いで 浮遊感を楽しみながら、
壁際のマクロネタも充実していましたよ。

2本目は、ザ☆サンゴモリモリポイントで、心も身体もサンゴ&お魚たちに癒してもらいました。
何千、いやいや何万匹もいるであろう、スズメダイやグルクン、テンジクダイに囲まれて、
お魚になった気持ちで海中散歩をしましたよ。

今日は、スノーケルチーム&チビッ子チームも出陣です!!
石垣のスーパーサンゴ&色とりどりの熱帯魚に、ヘロヘロになるまで泳いできましたよ☆

明日は、台風のため、泣く泣く欠航となりました。。。(*_*)
今からスタッフ総出で台風対策頑張ります!!
2015年08月19日 [ ファンダイビング ]
ポイント:竹富北ジャガリコ 大崎ハナゴイリーフ 石崎MCP
コンディション:東の風 気温33℃ 水温28℃ 透明度20m
はぁ~今日もあっつい日差しの石垣です~~

着後がいたので1本目は近場の竹富ヘ
じゃがりこ透明度は濁り気味でしたけどサンゴが綺麗でしたね
べらやスズメダイの種類も豊富で幼魚探しなんかも楽しいです(^<^)
ここでリピーターのヤマダさん!大台3ケタ100ダイブでぇ~~す!!!

おめでとうございますのスペシャルフラッグやってきました(゜_゜>)☆
2本目は大崎で潜りました
船下では大量のアオヤガラがクリーニング中@@
砂地のガーデンイールとそのさきのカメ
のんびりダイブで行ってきましたよ(#^.^#)
お昼はイカたくさん釣ってみんなでおいしく食べちゃいましたよ!
最後はマンタポイントへ行っちゃいました☆

今日は絶好調で最大6~7枚のマンタが同時に見れました(^◇^)
それぞれの泳ぎ方にもクセがあって楽しいですね~
レンズいっぱいに いやはみ出すほどたくさんのマンタ!!
これだからマンタって最高です(*^。^*)
明日も頑張って出港です!!
2015年08月19日 [ 体験ダイビング ]



2015年08月18日 [ 体験ダイビング ]



2015年08月18日 [ ファンダイビング ]
ポイント:竹富南やすらぎ 黒島マンタランチ 黒島仲本ケーブ
コンディション:北北西の風 気温34℃ 水温28℃ 透明度25m
北からの風がふんわ~りと吹く石垣です~
気温が高かったですが北風で和らいで過ごしやすかったですよ(^ム^)
1本目は砂地でのんびりからスタート♪
スカシテンジクダイの根ではアカシマシラヒゲエビのツインズが
クリーニングしたそうにこちらをこそっと見てましたよ(^0_0^)

次は黒島でカメさんダイブです
冬はマンタ狙いのポイントですが
常時3匹以上のカメが寝ているスーパーカメさんポイントなので
今日もばっちり一緒に泳げましたよ(*^_^*)

お気に入りのアーチもハタンポが青い海をバックに
ひらひらと舞いとってもキレイでしたねぇ~~♨♨
ランチが終わると2階からの飛び込み大会で盛り上がりました@@

午後もブルーな海 地形を堪能してきましたよ☆彡
メインのアーチは出入り口の青の光で
神々しさがすげぇ~んですっ(^◇^)
ドロップ沿いに群れているノコギリダイとアカヒメジの壁もたまりませんね
<ぎょぎょぎょーーーッッ!!!!!
最後は安全停止かねて浅場でモンツキとジリジリにらめっこしてきました
暑すぎず気持ちのいい今日を楽しんできましたよ(V)o¥o(V)
2015年08月17日 [ 体験ダイビング ]





2015年08月17日 [ ファンダイビング ]
ポイント:名蔵アカククリ 名蔵ロコロック 石崎マンタスクランブル
コンディション:南西のち北西の風 気温33℃ 水温28℃ 透明度20m
昨日の南風とはうって変わり、今日は穏やかな海況でほっとしました
朝市はアカククリでエントリースタートです♪

派手派手なオイランヨウジに まだ縁が一周あか~い
アカククリの幼魚もいましたよ
もちろん成魚の壁もどーーーんとすてきでした(^◇^)
次はのんびりまったりほっこりダイビングです~

大きなコモンシコロサンゴにはニシキテグリや
チョウチョウコショウダイ~ 高級魚のトガリエビスetc とたくさん群れてて楽しいです
ひろ~いリーフの上を埋め尽くすサンゴ畑も圧巻でした~(*^^)v
最後はマンタスクランブルへ!!

すれ違いのみのマンタ ぐるぐるホバリングのマンタ
しっかりと近距離でゲットできちゃいました!(^^)!
たまにはスクランブルで探し回る~ってのも良いですね★
いつから風あがるか心配な今日この頃でした(@^^)/~~~
2015年08月16日 [ 体験ダイビング ]



▲ページトップへ戻る
コメント