2014年 4月の記事

旅立ちの時期♪

2014年04月06日  [ ファンダイビング

ポイント:竹富南・黒島・黒島
コンディション:東北東の風 気温25℃ 水温22℃ 透明度15m

今日も良い天気の石垣島で~~~~~す(^_^)/
本日は、黒島マンタを狙って黒島方面で潜ってきました♪
P4060001_640x480_2 P4060003_640x480_2 P4060006_640x480
その前に竹富の砂地でEntryです。コブシメフィーバーかと
思ったら産卵はしてなくて(・・;)
P4060008_640x480 P4060011_480x640 P4060014_640x480
だけど、前に生まれた卵達はハッチアウト寸前まできてますよ!!
卵の中に小さなコブシメちゃんが動き回ってますので、そろそろ
ハッチアウトして旅立って行くのでしょうね~~~~!(^^)!
P4060016_640x480_2 P4060018_640x480 P4060020_480x640
2本目からは、黒島で~~~~~~す♪
水面にはマンタは居なくて、水中では会えると信じてましたが
チンでした(@_@;)
P4060026_640x480 P4060023_640x480 P4060036_640x480
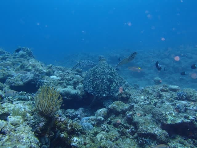
ラストは、カメさんを狙ってカメさん無事に一匹GETですヽ(^o^)丿
天気も良いので地形も楽しんできました♪
P4060030_640x480 P4060041_640x480 P4060043_480x640
可愛いウミウシたちも登場してくれたり、クマノミの卵もハッチアウト寸前
でしたよ~~~~~~~~~~~~~~~~~(^0_0^)
P4060046_640x480 P4060045_640x480
生き物達も旅立ちの時期が近付いてますね♪大きくなってしっかり戻ってきてね。

今日は半日だいびんぐ(*^_^*)

2014年04月06日  [ 体験ダイビング

ポイント:桜口
コンディション:北東の風 気温22℃ 水温22℃ 透明度20m

はいさぁい(*^_^*)
今日もお日様ぽかぽかの石垣になりました~♪

P4060001_640x480 P4060004_480x640 P4060003_640x480

北風がちょっぴり冷たかったですけどね、
ばっちり潜ってこれましたよんヽ(^o^)丿
本日はオオツカさん、ヒョウドウさんと半日コース!
2人も水泳やってたようで、泳ぎもすいすい(^^♪

P4060013_640x480 P4060015_640x480 P4060016_640x480

水中はちょぉっと寒かったですね・・・・・(^_^;)
次回は暖かい時にまた、まったり潜りにきてくださいね~(^O^)/

とっきーでした♪

(^0_0^)おおあたぁ~~~~りぃ~~~(^0_0^)

2014年04月05日  [ 体験ダイビング

ポイント:桜口 大崎 屋良部
コンディション:北東の風 気温25℃ 水温23℃ 透明度20m

どもどもっテルですよ(^◇^)ファミリーで
楽しんで来ちゃいました
いんやぁ~~~天気が良い事この上ないっ??
P4050002_640x467 P4050010_640x460
まずは青いあお~いポイントでスノーケル==
透明度とっても良くてまるで飛んでるみたいでした
P4050006_640x447 P4050004_640x473 P4050009_640x441
そしてお次のポイントはマンタが沢山浮いてるではないですか!!
水面はんママとヒマリちゃんはスノーケルでマンタ追跡開始!!
P4050004_480x640 P4050008_640x480_2
普通のマンタに交じってブラックマンタもGETでしたよん☆彡
水中班パパは優雅に水中遊泳@@
P4050026_461x640 P4050019_640x480_2
コブシメが産卵してたのでじっくり観察してきました~~
泳ぎも余裕ですてきでしたよん(V)o¥o(V)
P4050023_640x478 P4050027_640x464 P4050029_640x455
ランチ後は各チーム海へ!!
フィーバーするグルクン それを狙うツムブリに大興奮のスノーケル隊
P4050001_640x470 P4050010_640x474_2
水中もBIGBIG!!なイソマグロを間近で見て
むっはむっはの超興奮でした(●^o^●)
P4050036_478x640 P4050042_640x472 P4050043_480x640
スノーケル&体験で良いもの見過ぎじゃないの!?!?(@_@;)
ってなくらい満喫出来ちゃった本日のシーフレ体験チームでした(^^♪

久しぶりにマンタ!(^^)!

2014年04月05日  [ ファンダイビング

ポイント:桜口・大崎・屋良部
コンディション:東北東の風 気温25℃ 水温22℃ 透明度15m

今日は、昨日の嵐の風もおさまりポイント選びも楽になりましたよ♪
そんな本日は、一本目はマクロ&地形ダイブです(^_^)/
P4050004_640x480 P4050008_640x480 P4050011_640x480
可愛いキンチャクガニにカールおじさんホヤにキイロウミコチョイウや
イチゴミルクウミウシなどみながら、地形も楽しんで来ました。
P4050014_480x640 P4050022_480x640 P4050019_640x480
二本目は、マンタが水面で捕食してましたので、急遽マンタランチポイント
と名を付けてエントリーです!(^^)!Entry早々船の後ろからビューン
P4050029_640x480 P4050027_640x480 P4050033_640x480
とマンタの登場にビックリ、後半はコブシメと遊んでるとまたまたマンタ
がビュービューとの登場してくれました。
P4050037_640x480 P4050038_640x480 P4050036_640x480
さすがマンタランチポイントですね(^^♪
ラストは、今が旬のマグロです!!!!!!!!!!!!!!!!!!!
本日も浅場では、大中小10匹以上のマグロがグルグルフィーバーして
ましたよ(^◇^)
P4050050_480x640 P4050053_640x480 P4050058_640x480
マグロも良いけどそろそろバラクーダーの群れが登場してくれて良さそう
なんですけどね(*^^)v
そんな感じで、今日は久しぶりにマンタに会えた日でした(^◇^)

北風吹いてましたが、熱かったです♪

2014年04月04日  [ 体験ダイビング

ポイント:桜口 宮良 大浜
コンディション:北北東の風 気温20℃ 水温22℃ 透明度20m

はいさぁい!(^^)!
今日は北風で、肌寒い1日でしたねぇ!!!
昨日から一気に4℃くらいも下がっちゃうと、なんだか寒さがしみちゃいますねぇ。

P4040001_640x480 P4040005 P4040006

でも、本日ゲストのみなさんは元気モリモリ(*^_^*)
スノーケルも波なんかへっちゃらで、スイスイ泳いでましたよん♪♪♪

P4040008_480x640 P4040017_640x480 P4040030_640x480

ポイントを変えて、ダイビングスタート!
ハマクマノミやカクレクマノミに!
クマノミオンパレードで、じっくり水中を楽しんじゃいましたヽ(^o^)丿

P4040033_640x480 P4040001_640x480_2 P4040015_480x640

キレイなウミウシもいろいろみて、水中満喫でしたね♪
午後からももう一本!
ソフトコーラルのお花畑の上をまったり遊泳(*^_^*)
みんなダイバーのように泳いで、まったくヨユーでした♪
寒さも吹っ飛ばすくらいで、がっつり潜ってこれましたねぇ(^_-)-☆

とっきーでした♪

(^0_0^)ファミリー貸切体験の巻(^0_0^)

2014年04月03日  [ 体験ダイビング

ポイント:名蔵 大崎 屋良部
コンディション:北西の風 気温25℃ 水温23℃ 透明度20m

はぁ~~~~いいっ(^◇^)テルですよ♪
本日はコウノさんファミリーと楽しく体験ダイブですっ☆
P4030002_640x480 P4030003_640x480 P4030004_480x640
スノーケルはたくさんやったことあるので
最初のポイント サンゴもっさりも余裕で楽しめちゃいました
P4030008_640x480 P4030009_640x479 P4030013_453x640
素潜りもぶくぶく元気にやっちゃいましたよ
そしてドキドキのダイビング!!!!
皆でよぉ~~~く説明をきいて いざ行きましょ水中へ!!
P4030050_640x480 P4030023_640x480
潜降がちょっぴり不安でしたが下まで行けばもうこっちのもんです
みんな揃って優雅な水中散歩の始まりですよん♪♪
P4030026_480x640 P4030024_464x640 P4030027_471x640
かんわいいクマノミとご挨拶して~~
不思議な風貌のコブシメちゃんもげっとですよんヽ(^o^)丿
P4030030_640x480 P4030037_640x473 P4030034_640x475
子供達の頭の上すれすれをとおったりで大興奮でした(^◇^)
P4030052_640x435 P4030053_640x454 P4030056_466x640
ポカポカ陽気でランチ&フィッシング&飛び込みを楽しんだら
最後も元気にスノーケル(●^o^●)
程よい流れにつられて でっかいイソマグロがぐるぐる登場☆☆彡
P4030061_640x480 P4030065_477x640
浅場に沢山いたので超迫力を目と鼻の先で見れちゃいました
P4030067_640x457 P4030068_640x416
2mちかくあるマグロのぎょろ目はちょっと怖かったですけどね(^_^;)
最後までみんな楽しんではしゃぎつくしてきました♪♪

men’sデー(^0_0^)

2014年04月02日  [ ファンダイビング

ポイント:黒島・黒島・黒島
コンディション:東北東の風 気温25℃ 水温22℃ 透明度15~25m

今日は朝からベタ凪の石垣島で~~~~~~~~す(^_^)/
本日はのゲストの皆さんメンズデーです!!!!!!!
男達のリクエストはマンタ!!マンタ!!との事でしたので
黒島方面でマンタ探し行ってきましたよ!!!!!!!!!!!
P4020001_640x480 P4020002_480x640 P4020024_640x480
一本目は、V字ドロップでマンタには会えませんでしたけど、イソマグロが
グルグル2匹回っててくれましたよ!!!!!!!!!!!!!!!
浅場には、久しぶりに見るピカチュウーも登場してくれました。
P4020006_640x480 P4020011_640x480 P4020012_640x480
二本目こそはマンタと意気込んでエントリーでしたが、遠くの方にカメ
さんが、しかし逃げるのは早っ!!後半地形を楽しんで来ました♪
ラストは、潮がビンビンに流れててマンタや他の大物も出そうな気が
しましたが、大物は撃沈でしたけどね(・・;)
P4020015_640x480 P4020019_480x640 P4020022_480x640
今日は頑張っマンタを探してみましたが、何故かタイミングが合わなくて
1枚もみる事出来ませんでした・・・・
みなさん、次回はマンタリベンジお待ちしてます(^_^)/

お日様パワー炸裂です!

2014年04月01日  [ ファンダイビング

ポイント:竹富南 宮良 大浜
コンディション:北西の風 気温25℃ 水温22℃ 透明度15~25m

はいさ~い(^_-)-☆
今日も結果、ステキに良いお天気になった石垣です!
朝一は風も強くてワサワサでしたが、
竹富南は透明度、良かったですねぇ!(^^)!

P4010002_480x640 P4010003_640x480 P4010017_640x480

コブシメも迫力でかっこよかったです♪
二本目からは東海岸へ移動して、のんびりダイビング!

P4010014_640x479 P4010018_640x480 P4010021_640x483

ウミウシもいっぱいで、じっくり(*^_^*)
お昼休みは飛び込み大会!!!!!
みんなかっこよくキメてましたよ(^^♪

P4010025_640x480 P4010030_480x640 P4010034_481x640

お日さま、ピカピカで光もサンサン!!!
地形もがっつり満喫できちゃいました(^^)v

そろそろガッツリ日焼け止めが必要になってきましたよ~!
とっきーでした(^_^)/

ファンダイビング日記

体験ダイビング日記

日記カレンダー

2014年4月
 123456
78910111213
14151617181920
21222324252627
282930  

カテゴリー

コメント

アーカイブ

▲ページトップへ戻る▲ページトップへ戻る