2010年11月23日 [ ファンダイビング ]
ポイント:竹富×2
コンディション:北の風 気温25℃ 水温25℃ 透明度15~20m
はいさ~~~い!!昨日はイイ夫婦の日でしたねー★愛し合ってるかーい??な
『みんなのタクオ』です♪
今日の石垣islandは、朝は薄曇りでしたがお昼過ぎから
晴れ渡ってきましたよー(^○^)
そんな本日は、到着のお客様をお迎えしてから2ダイブでしたー!!
1本目は、大物を狙っていきましょーと言う事でエントリー↓
イイ感じに青くて、イイ感じにカスミチョウチョウウオが
わんさか群れております!!
そろそろ水温も下がってきたので、サメなどの大物も期待してドロップ沿いで
待っていると、沖の方から大きな黒い何かが近づいてくるじゃあーりませんか!!??
うっすらと姿が確認できる所まで来ると、みんなビックリ!!
マンタロウの登場ですっ!!!!!!!!!!!!!!!!!
目の前を優雅に泳ぎさっていきましたよ(^O^)ゲストも大興奮で
テンションも↑↑です!!
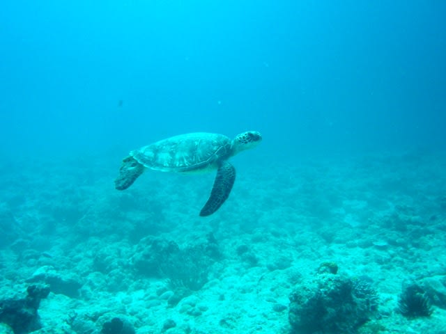
遠くには、カメさんも発見ですっ★しんくんチームはホワイトチップも
見れたみたいですよっ!!『みんなのタクオ』チームは…コンシボリガイも
見れちゃいましたし(^_^;)
続いて2本目は、ガラリと雰囲気を変えて砂地なマクロポイントへゴ→
定番なカクレクマノミやニセアカホシカクレエビ、ヤシャハゼや
ケラマハナダイなどなど。
カミソリウオは、2匹仲良くヒラヒラ漂ってましたし~(^o^)
『みんなのタクオ』の手がそんなに汚いのか…アカシマシラヒゲエビは
よってたかって手をクリーニングしてくれちゃいましたしー(^^ゞ
そんな感じで、大物からの~小物で終了ですっ!!
以上、アジア大会日本ガンバレ!!な『みんなのタクオ』がお送りしましたー(^_-)★
2010年11月22日 [ 体験ダイビング ]
ポイント:黒島×3
コンディション:北の風 気温25℃ 水温25℃ 透明度15m
はいはぁ~い!!カズヤです(^○^)
今日も海に行ってきましたよぉぉぉ(>_<)♪
南の島「黒島」で体験チームはスノーケリングをぉぉぉ~!!
泳ぎながら、素潜りまでもっ!!
バッチリ写真におさめましたよ(^^ゞ
ポイントを移動して
2本目は水中へ(^○^)
初めは緊張気味でガチガチだったゲストも
時間が経つにつれて、緊張もほぐれ
船に戻る前にはこんなに泳げるようにっ!!
初めてのダイビングを無事に終えた後は
お昼ご飯です♪
島弁当を食べて
3本目のポイントへぇ~(~_~)
お昼から風が強くなってきましたが
体験チームは本日2本目の水中へ♪
今度は砂地の海にまったりしながら
ハマクマノミや体が透けてるスカシテンジクダイ
触るとハゲるハナガササンゴを触ったりと
水中を楽しんできましたよぉ~(^_-)
お腹が空いてきたのでこのへんで
以上☆カズヤ☆でした♪
2010年11月22日 [ ファンダイビング ]
ポイント:黒島×3
コンディション:北の風 気温24℃ 水温25℃ 透明度15~20m
はいさーーーい!!月曜日だけど有休使って4連休中ですか??な
『みんなのタクオ』ですよ★水曜日お仕事キツイと思いますが…(^_^;)
本日の石垣島は、曇り空で肌寒い~~~(^^ゞ
でもでも、すんばらしい海が待ってましたよー!!
今日は、黒島攻めで潜ってきましたよ♪
1本目は、南側のドロップ沿いへエントリー↓↓
気持ち良い青い海で泳いでいると、ノコギリダイの群れを発見ですっ(^o^)
小物もカイメンをかぶっているカイカムリやキンチャクガニ
しかーーーーも、オヤビッチャの卵がびっしり産み付けられていましたが
チョウチョウウオ達ががっついて食べてました…(>_<)
つづいて2本目は、そろそろ黒島マンタの季節かなーと思い潜ってみましたが…
でもでーも、ウミガメゲットンです!!からのーカマスの群れも
見れちゃいましたしー(^○^)ヒラムシもひらひら泳いでましたしー★
くさやの話で盛り上がった休憩の後の3本目は…
少し水面はシャバシャバしてますが、砂地の方へ行ってみましょーと言う事で
スーパーブルーな黒島砂地へゴ→
定番のハナヒゲウツボやスカシテンジクダイ、カクレクマノミやイソギンチャクエビ
ハナミノカサゴやネッタイミノカサゴなどなど♪
ニシキツバメガイやデストロイヤーボヤも見れちゃいましたしー(^_^;)
よっすぃーチームは、フリソデエビもゲットンしたらしいですよー(^O^)!!!!!!
2010年11月21日 [ ファンダイビング ]
ポイント:竹富南 御神崎 石崎
コンディション:東の風 気温26℃ 水温25℃ 透明度15~20m
どぉ~もぉ~カズヤです(^0_0^)
いやぁ~今日は良い天気になりましたねぇ♪
1本目は竹富で潜ってきました(^^)
透明度は抜群にキレイで
砂地の海をマッタリと楽しんできました♪
スカシテンジクダイやオトヒメエビ
ハナミドリガイと生き物がいっぱいいましたよぉぉぉ(^o^)
そして本日の2本目は御神崎!!
珊瑚ビッシリ、ソフトコーラルビッシリの
サンゴがチョーキレイな海でした(^0_0^)
みんなでウミガメを求めてサンゴの海を泳いだのですが
カメさんは今日は留守でした(;_;)
でもでも、カクレクマノミやイソギンチャクエビ
テングカワハギにハナゴイをキレイな魚を見て
2本目を終了しました(^^)
昼食をとってからは
奇跡的に今日はマンタを狙いにっ!!
ポイントには少しウネリがあり
バシャバシャしてましたが、水中は
わりと穏やかでした♪
そしてそして
結果は
今日もバッチリ見れましたよぉぉぉぉぉ(^_-)
2枚のマンタが常にホバーリングをしている状態で
みんなでじっくりマンタを眺めてきました♪
ただ、もう少し水がキレイだと、ハッキリクッキリ
見れて良いのになぁ~っとかなんとか思いつつ
お腹が空いてきたのでこのへんで
以上☆カズヤ☆でした♪
2010年11月20日 [ ファンダイビング ]
ポイント:大崎×2
コンディション:北東の風 気温26℃ 水温25℃ 透明度10~15m
本日の石垣島は、太陽がでるとポッカポッカな陽気で、
とっても気持ちの良いお天気でしたよ(^o^)
そんな今日は、着後のゲストをお迎えしてからの、
お昼前出港でした(^_-)
まずは、今日もカメを求めて御神崎へ船を走らせてみましたが、
あまりのウネリの大きさに断念して、大崎でカメを狙ってきました(^○^)
ヒレナガネジリンボウや、ガーデンイール、
カクレクマノミなどの定番の魚達をみつつ、カメ探し!
すると、今日もバッチリいてくれましたよ、カメさん(^0_0^)
今日もカメとの水中散歩を楽しんできちゃいましたよ(^^)
船にあがってお昼ご飯(^o^)
ちょっと長めの休憩をとったのですが、
あまりの暖かさで、みんな睡魔に勝てずにお昼寝タイムとなりました(^_^)
最後も大崎でガッツリダイビングです!!
この時期になってもまだまだスカシテンジクダイも群れていて、
ハナミノカサゴをいっぱい見てきましたよ(^○^)
ちょこっと顔をだしているリングアイジョーフィッシュや、
ハナゴイ、キンギョハナダイなどを眺めて、
今日も無事に終了です!
以上、本日は信でした♪
明日も晴れるといいな(^_-)
2010年11月19日 [ ファンダイビング ]
ポイント:名蔵・御神崎・屋良部
コンディション:北東の風 気温25℃ 水温25℃ 透明度10~15m
本日の石垣島は、朝は土砂降り(;_;)
船、出港できるのか??なんて、心配しちゃうくらいの雨が降っていましたが、
いざ出港の時には、なぜかパラパラと雨は残っていたものの、
太陽が出てきて、虹まで見えちゃいました(^O^)
まずは名蔵で、コガネシマアジ狙いでエントリー!
グルクンはいっぱい(^o^)
鮮やかなウメイロもドキも群れていて見ごたえあり(^_^)
ネオンテンジクダイはいつ見ても綺麗です(^^)
肝心のコガネシマアジは・・・不発(;_;)
2本目はカメを狙って御神崎でエントリー!!
今日の御神崎、カメ大フィーバーしてました(^○^)
もうあっちへ泳いでもカメ発見!
こっちへ泳いでもカメ発見!!
一体何匹のカメを見たのでしょうか???
今年は本当にカメの当たり年ですね(^o^)
これからは、マンタだけではなく、カメも見に来てくださいね~(^_-)
最後は、更な大物を狙って屋良部へ!!!
ここではエントリーしてすぐにマグロと遭遇(^0_0^)
しかも、結構ないいサイズで、迫力もあり!
それが数匹の群れで泳ぎ回っていて、
気がつけば、いつのまにか移動中にも近づいてきていたりと、
僕らを楽しませてくれました(^。^)
そんなこんなで、今日も無事に終了です!
以上、本日は信でした♪
2010年11月18日 [ ファンダイビング ]
ポイント:大崎×2・名蔵
コンディション:東北東の風 気温24℃ 水温25℃ 透明度10~15m
本日の石垣島は、雨が降りそうで降らず、
たまに太陽なんかも出ちゃうような、変なお天気(^_^;)
でも、久しぶりの太陽はやっぱり気持ちが良いものですね(^O^)
そんな中、今日はまず大物を狙って、屋良部へ!
しかし、様子見で水中に入ってみたところ、
ちょっと流れが強すぎた為、急遽ポイント変更(-_-;)
大崎で潜ってきました)^o^(
ハマクマノミやハナヒゲウツボの幼魚、
バブルコーラルシュリンプとか、キンギョハナダイ、
アカネハナゴイなどなど、さまざまな種類の魚達を見てきました(^_-)
2本目も大崎です!!
今度はカメを狙ってエントリー(^○^)
まずは砂地で小物探し!
ガーデンイールやヒレナガネジリンボウを見た後にカメ探し!!
根の上を泳いでいると、
コブシメを発見(^^)
いよいよコブシメの時期になってきましたね(^o^)
そして、今日もいましたよウミガメさん(^0_0^)
休憩中のところを、ちょっとお邪魔して、
写真を撮ってきましたよ(^_^)

最後は名蔵の浅いところでマッタリダイビングです!!!
サンゴパラダイスにスズメダイフィーバーでウハウハ(^O^)
ハナミノカサゴとアカククリに遭遇し、
ウミヘビにかじられかけ、キイロサンゴハゼに癒されて、
2010年11月17日 [ ファンダイビング ]
ポイント:屋良部 大崎
コンディション:北東の風 気温24℃ 水温25℃ 透明度15~20m
はいさいっ!!『みんなのタクオ』3日連続なシーフレ今日の海情報!!
早速スタートです★
1本目は、大物狙い(毎日言ってる??)で屋良部崎へゴーダイブ↓
ゆるやかな流れが大物の出現を期待させます>^_^<
良い感じにアカモンガラやグルクン、カスミチョウチョウウオが群れに群れて
ドキドキワクワクしながらー………………………………………………
40分経過(-_-;)あー今日は見れないかーと思って浅場に帰ってくると
なんと図太い大砲のようなイソマグロが目の前をっ!!!!
ビックリして、ふと横を見るとマグロ群れてるじゃないですかー!!!!
上がる直前だったので、嬉しさも倍増しちゃいましたよっ(^○^)
続けて、2本目は昨日カメを外してるのでリベンジで潜ってきましたよっ♪
結果から言うと…しんくんチームは見れたけどみんなのタクオチームは
外しちゃいました(;_;)が、しかーしヒレナガネジリンボーやカクレクマノミ
などなどに癒されてきましたよ(^O^)
そしてなんとここで、めでたく200本を迎えられた方もっ!!!!!!!!
おめでとーございます!!これからも沢山潜ってくださいね)^o^()^o^()^o^(
2010年11月16日 [ 体験ダイビング ]
ポイント: 大崎 名蔵湾
コンディション:東北東の風 気温24℃ 水温25℃ 透明度10~15m
朝から雨が降り続いている石垣島です(^_^;)
日に日に寒くなってる気がします。
そんな今日は大崎に行って来ました(^^ゞ
1本目はまず、スノーケリングで水&口呼吸に慣れて
その後、水中に潜ってきました♪
今日のゲストは体験ダイビング経験者だったのですが
久しぶりの海に少し緊張気味!!
しかぁ~し、1度水底まで行ってしまえば、不安も吹き飛びましたね)^o^(
海の中ではハマクマノミに指を甘噛みされたり
色とりどりのスズメダイを眺めたり、バブルリングを見たりと
水中を楽しんできました♪
船に戻ってからは
ポイントを移動して
続いては名蔵湾へ★
ここでも水中に潜ってきました(^^)
先日、このポイントでサメが出たとの情報を聞いていたので
ゲストとサメ探しをしちゃいました(^0_0^)
結果サメに遭遇することはありませんでしたが、カクレクマノミや
ウミウシ、沢山の魚の群れに、サンゴの間に隠れてたカニ
などなど、魚をガツガツ見て2本目の体験ダイビングを
無事に終えましたぁ~>^_^<
寒くなってきてますので風邪引かないよーにっ!!
そろそろお腹が空いてきたのでこのへんで
ではでは!!以上☆カズヤ☆でした♪
2010年11月16日 [ ファンダイビング ]
ポイント:大崎 名蔵
コンディション:北東の風 気温24℃ 水温25℃ 透明度15~20m
はいさ~~~い!!雨です…『みんなのタクオ』です…(-_-;)
今日の石垣島は、シトシト雨で肌寒いよーな…
でもでも、こんな時もダイビングでしょーと言う事で元気に
潜ってきましたよー♪♪
1本目は大崎にエントリー↓↓
ここのポイントは、最近カメさんが居付いていて高確率で見れるので
カメ狙いで入ったのですが…orz
が、しかし可愛らしいチンアナゴことガーデンイールやカクレクマノミ
ガラスハゼや大きなロクセンヤッコなど★浅場のキンギョハナダイと
アカネハナゴイのコラボに癒されてきちゃいましたよー(^O^)
続いて2本目は、名蔵湾にエントリーして大物狙いですっ!!
コガネシマアジの群れはもちろん、ココは前回スタッフとっきーが3m!?のサメと
遭遇したポイント!!!!期待半分ビビリ半分で潜ってきましたが…
が、しかしマンタより大きい!?マダラエイを発見しちゃいましたよっ♪
後ろに写っているのがよっすぃーなので、その大きさがお分かりになると思います!!
後半は、浅場のカクレクマノミやネオンテンジクダイ、ハナミノカサゴや
ニセアカホシカクレエビなどなど。昨日デジカメの撮り方をすこーしお教えしたので
とっても上手に撮れてましたしー★★
▲ページトップへ戻る
コメント