のんびりロングダイブ

2026年03月08日  [ ファンダイビング

皆さんWBC見てますか?

昨日はとても良い試合でしたね!

興奮が収まりませんでした( ̄∇ ̄)

今日の試合も楽しみですっ!

今日は石垣島周りへ!昨日の風で北側はうねりが残っている為今日はマンタはお休みとします。

大崎・名蔵エリアでのんびりダイビングしてきました!

大崎アカククリの館にある大きなハマサンゴの下にはテンジクダイが沢山つき始めました!

これからいたる場所に増えていくでしょう!

水温がまだ少し低めなのでウミウシさんも健在です!

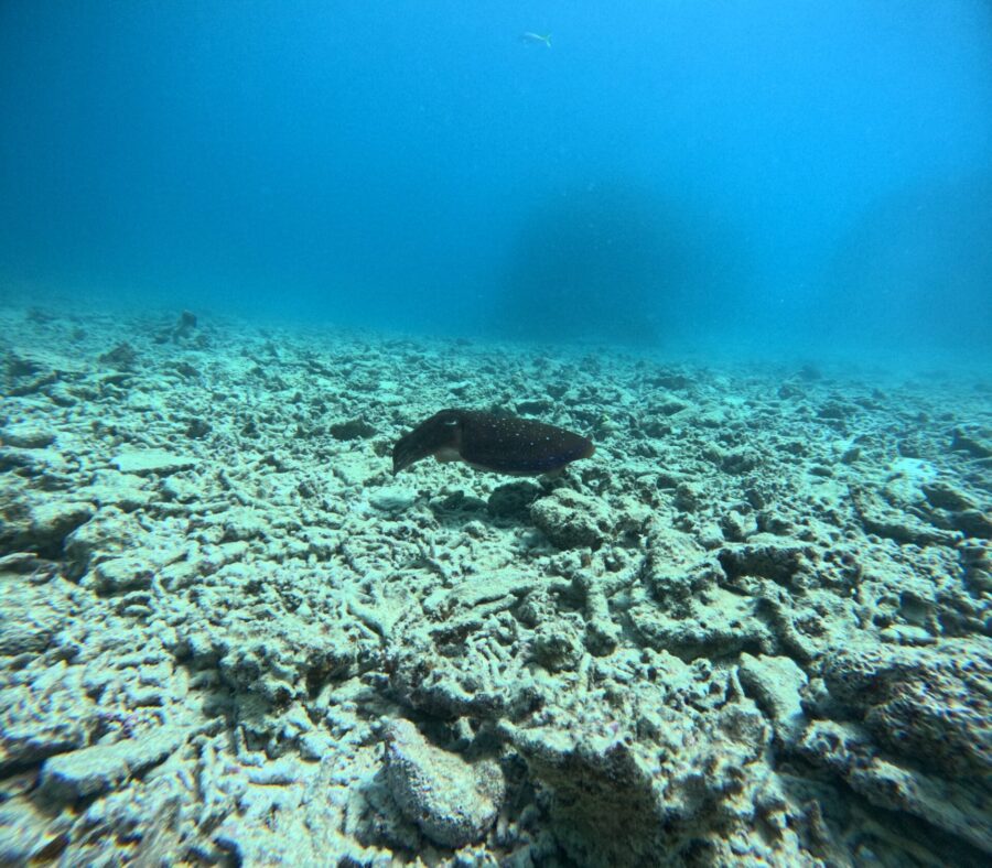
大崎ハナゴイリーフではこちらも時期が近づいているコブシメさんを探しに!

2匹のコブシメさんを発見!

無事に見れて良かったぁ!

今は冬と春の境目の海という感じでしょうか(*^^*)

色々生物たちが見れるので楽しいです(*ˊ˘ˋ*)

最後は名蔵ロコロックで!

生き生きもりもりサンゴ!

サンゴの周りには小さな生物が沢山!

そして今日は400本記念ダイブ!

おめでとうございます!

まだまだダイビングを楽しんでくださいっ!

ご参加いただきありがとうございました!

【本日のLOG】

ファンダイビング日記

体験ダイビング日記

日記カレンダー

2026年3月
 1
2345678
9101112131415
16171819202122
23242526272829
3031  

カテゴリー

コメント

アーカイブ

▲ページトップへ戻る▲ページトップへ戻る